
Neural network detected in a presumed vestigial trait: ultrastructure of the salmonid adipose fin
J A Buckland-Nicks
M Gillis
T E Reimchen
Author for correspondence (jbucklan@stfx.ca).
Received 2011 May 12; Accepted 2011 Jun 14; Issue date 2012 Feb 7.
Abstract
A wide variety of rudimentary and apparently non-functional traits have persisted over extended evolutionary time. Recent evidence has shown that some of these traits may be maintained as a result of developmental constraints or neutral energetic cost, but for others their true function was not recognized. The adipose fin is small, fleshy, non-rayed and located between the dorsal and caudal fins on eight orders of basal teleosts and has traditionally been regarded as vestigial without clear function. We describe here the ultrastructure of the adipose fin and for the first time, to our knowledge, present evidence of extensive nervous tissue, as well as an unusual subdermal complex of interconnected astrocyte-like cells equipped with primary cilia. The fin contains neither adipose tissue nor fin rays. Many fusiform actinotrichia, comprising dense striated macrofibrils, support the free edge and connect with collagen cables that link the two sides. These results are consistent with a recent hypothesis that the adipose fin may act as a precaudal flow sensor, where its removal can be detrimental to swimming efficiency in turbulent water. Our findings provide insight to the broader themes of function versus constraints in evolutionary biology and may have significance for fisheries science, as the adipose fin is routinely removed from millions of salmonids each year.
Keywords: brown trout, adipose fin, nerve network, astrocytes, primary cilia, fisheries
1. Introduction
The long-term persistence of traits that are rudimentary or vestigial and lacking in any clear function is a significant conceptual element within the modern evolutionary synthesis (see [1] for review). Multiple instances of incomplete loss such as remnants of the pelvis in cetaceans and eyes in blind cavefish may reflect progressively weaker selection on traits that are neither functional nor costly to produce [2], or possibly reflect developmental constraints on the capacity for independent loss of characters in an integrated system [3,4]. Alternatively, some rudimentary traits previously thought to have only marginal function, for example, the dew claw of wild felids and the human coccyx, may persist owing to skeleto-muscular and behavioural functionalities [5,6].
A plesiomorphic and rudimentary structure in some bony fishes is the adipose fin. This is a small, fleshy, non-rayed fin, located between the dorsal and caudal fin in eight groups of basal euteleost fishes including salmonids [7,8]. The fin is typically thought to lack sensory innervation and any obvious function and is routinely clipped off as a method of marking hatchery-reared salmonids [9]. Many studies have shown that adipose fin removal has only minor effects on the survival or manoeuvrability of the fish [9–15], although this view is by no means universal [16]. The adipose fin is sexually dimorphic in salmonids and larger on males than females relative to body size [17,18] and there is evidence, at least in brown trout (Salmo trutta), that females exhibit preference for males with larger adipose fins relative to their body size [19]. However, it is not known whether size of the adipose fin is developmentally coupled to other traits under selection, or whether the fin is directly selected [18]. A light microscope study has shown that the basic structure of the adipose fin is similar among different salmonids and is reasonably conserved in relative size over ontogeny [8]. Webb [20] and Blake [21] speculate that, similar to the hydrodynamically important finlets on tuna [22], the passive movement of the adipose fin may directly control vortices and reduce transverse flow across the caudal peduncle, allowing greater swimming velocities. Recent flow chamber experiments using steelhead trout (Oncorhynchus mykiss) indicate reduced swimming efficiency following adipose fin removal across multiple flow velocities leading to a hypothesis that the adipose fin may act as a precaudal flow sensor when swimming in turbulent water [23]. Such a flow sensor could detect the chaotic vortices before they enveloped the caudal fin providing direct feedback to the central nervous system and subsequent improved caudal fin motion during swimming. This hypothesis can account for the sexual dimorphism in adipose fin development in salmonids [23] and predicts the geographical and interspecific variability of the adipose fin in Siluriformes [24]. An explicit prediction emerging from this hypothesis of a precaudal flow sensor and which differentiates this from alternate hypotheses of direct control of vortices requires that the fin be innervated. However, there is no evidence from previous studies for the presence of nervous tissue in the adipose fin.
The purpose of this study was to characterize the ultrastructure of the adipose fin and to test for any neural elements and potential role as a sensory and functional trait. Our results show for the first time to our knowledge, unambiguous evidence of nervous tissue revealing a neural network throughout the fin which is consistent with a sensory function of the adipose fin.
2. Material and methods
(a). Sample collection
Brown trout (S. trutta) fry ranging from 2.4 to 5.1 cm in standard length were obtained from the Fraser's Mills hatchery in St Andrews, Nova Scotia, Canada. Fish were held in tanks of fresh water at 7–9°C until euthanized by placing in a bucket of water containing 500 mg l−1 MS222 to induce deep anaesthesia, followed by decapitation (CCAC protocol no. 05002-n). Under a dissecting microscope, adipose fins together with 1–2 mm of tissue beneath, were carefully removed with a razor blade and prepared for light and electron microscopy.
(b). Tissue preparation for light and electron microscopy
Ten excised fins were immersed in a primary fixative consisting of 2 per cent glutaraldehyde and 2 per cent paraformaldehyde in 0.1 M sodium phosphate buffer (pH 7.4) for 1 h on ice and then allowed to warm to room temperature overnight. In the morning, the fins were washed in 0.1 M sodium phosphate buffer (pH 7.4) containing 0.25 M sucrose and further dissected while bathed in the same solution. Six fins were cut into four transverse sections and most of the muscle tissue beneath the fin was also removed. Next, the fin sections were transferred into 1.25 per cent osmium tetroxide in 0.1 M sodium phosphate buffer (pH 7.4) with 0.2 M sucrose for 1 h.
Fixed tissues were dehydrated in an ethanol series to 100 per cent and exchanged through propylene oxide before infiltrating with a 1:1 mixture of Spurr's and EMbed-812 (EM Sciences). The fully infiltrated tissues were placed in Beem capsules, labelled, filled with fresh resin and baked overnight at 60°C. Polymerized blocks were sectioned with a diamond knife (Diatome, Switzerland) mounted in an RMC MT2C ultramicrotome (Soquelec, Canada). Sections of 1 µm thick were stained for 10–15 s with 1 per cent toluidine blue (Sigma Chemical Co., Oakville) adjusted with sodium bicarbonate to pH 9. Thin sections (80–90 nm) were collected on 150 mesh copper grids or formvar-coated slot grids. All grids were stained with aqueous uranyl acetate for 20 min followed by lead citrate for 4 min. The stained grids were examined and photographed with a Philips 410 transmission electron microscope (TEM) (Philips/FEI, The Netherlands).
Four whole fins were processed for scanning electron microscopy (SEM) in order to view the surface of the fin. Following fixation and dehydration for electron microscopy, as above, the fins were critical point dried in a Samdri PVT-3B critical point dryer (Cedar Lane) and mounted onto stubs coated with carbon sticky tabs (EM Sciences), with the adipose fin perpendicular to the plane of the stub. The fins were then sputter-coated with gold in an SPI-Module Sputter-Coater (SPI Supplies) and viewed and photographed in a JEOL 5300 SEM (Soquelec).
(c). Tissue preparation for silver staining prior to observation with SEM
Six more adipose fins were stained with silver nitrate to detect nervous tissue, following the procedure detailed by Rowell [25]. The fins were dehydrated in an ethanol series to 100 per cent then infiltrated and embedded in LR White resin (London Resin Co.). Infiltrated specimens were placed into gelatin capsules that had been flushed with nitrogen for 1 min and filled with pure LR White resin. Capsules were positioned upright in holes drilled in an aluminium block (to maintain even temperature while curing) and baked overnight in an oven at 55°C. The capsules were removed from hardened plastic blocks by placing them in water to dissolve the gelatin. After trimming, thick sections were taken and mounted directly onto stubs coated with carbon sticky tabs (EM Sciences) and carbon-coated as before, then viewed on the JEOL 5300 SEM using a back-scatter electron detector and photographed.
3. Results
The adipose fin of juvenile brown trout (S. trutta) (figure 1a,b) comprises four main layers: epidermis, dermis, hypodermis and subdermal space. The first three of these are continuous with the layers of the integument of the trout (figure 1c). The combined epidermis and dermis taper in thickness from base to apex of the fin, measuring about 95 µm at the base and 65 µm at the apex (figure 1c). The subdermal space is a region of loose connective tissue bridged by roughly 2 µm thick collagen cables spanning the two sides of the fin (figure 1d). In the intervening space, one finds numerous astrocyte-like cells (ALCs), fibroblasts, a few small blood vessels (figure 1d), nerves and groups of collagen fibres often in bundles, but no adipose tissue.
Figure 1.
Light micrographs of brown trout adipose fin. (a) Brown trout parr with characteristic dark vertical bars along its silvery side. Note adipose fin (arrow) anterior to caudal fin. Scale bar, 1 cm. (b) Adipose fin of brown trout showing point of attachment to body. Scale bar, 2 mm. (c) Cross section of entire adipose fin stained with toluidine blue and viewed with brightfield light microscopy. The outer epidermis (ED) is distinguishable from the deeper dermis (D) and these layers are contiguous with those of the fish's integument (In). The less dense subdermal space (SD) contains a network of cells and collagen fibres. The base of the fin is reinforced with additional collagen fibres (arrow) that tie into the dermal collagen and the underlying tissue. Scale bar, 500 µm. (d) Enlarged area of (c) showing the collagen cables (CC) connecting the two sides of the fin. The epidermis (ED), dermis (D) and hypodermis (HD) are clearly demarcated. Note also: many astrocyte-like cells (ALCs), a small blood vessel (BV), body muscles (Mu) and lipid droplet (L) below fin. Scale bar, 100 µm.
(a). Nervous tissue in the subdermal space
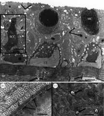
TEM revealed several nerves in the subdermal space, often associated with the collagen cables that linked the two sides of the fin as well as ALCs (figure 2a). These nerves sometimes contained both myelinated and unmyelinated axons (figure 2a,b), or just unmyelinated ones (figure 2c), surrounded by neuroglial cells. Within the axons, we observed neurofibrils (about 12 nm diameter) and outside the axons, in the cytoplasm of a neuroglial supporting cell, there were many neurotubules (about 24 nm diameter;figure 2d). Serial 1 µm long sections of the fin stained with toluidine blue revealed in the subdermal space a network of ALCs in close association with nerves (figure 3a,b). At the caudal free edge of the fin, numerous rod-like actinotrichia were seen (figure 3a). Silver-stained tissue observed in the SEM with a back-scatter electron detector, revealed that both nerves and ALCs and their radiating processes were impregnated with silver but not some nearby fibroblasts and pigment cells. The network of ALCs was readily apparent, presenting as bright cells against a dark background (figure 3c). Nerves were observed in both long and cross section, often more than one axon was visible and some with ALC processes connected to them (figure 3d). Preliminary evidence obtained from adipose fins that had been stained with zn-12 antibody, revealed six to eight nerves entering the cut surface of the fin and anastomizing inside the fin to form a neural network (figure 3e, micrograph courtesy of Dr Roger Croll, Dalhousie University).
Figure 2.
Electron micrographs of nervous tissue in adipose fin. (a) Nerve (Ne) containing dense nuclei (N) of neurons and several myelinated (MA) and unmyelinated (UA) axons, are suspended from a collagen cable (CC). More than one ALC is connected to the nerve (arrows). Scale bar, 5 µm. (b) Cross section of a nerve with three myelinated axons (MA) and unmyelinated axons (UA), which are surrounded by processes of glial cells (GC). Scale bar, 1 µm. (c) Nerve containing UA and a GC. Scale bar, 0.5 µm. (d) Close up of (b) showing neurotubules in GC outside myelin sheath (My) of axon and neurofilaments (NF) inside axon. Scale bar, 0.2 µm.
Figure 3.
Light micrographs of adipose fin. (a) Longitudinal section through caudal portion of the adipose fin, showing actinotrichia (A) as dark fusiform rods supporting the free edge of the fin. On the left side, a network of astrocyte-like cells (ALCs) surround a small nerve (Ne). Scale bar, 40 µm. (b) Enlarged portion of subdermal space showing network of ALCs adjacent to collagen bundles (CB) seen in cross section and a nerve (Ne). Scale bar, 5 µm. (c) Back scatter electron (BSE) micrograph of silver-stained subdermal tissue revealing ALCs interconnected with each other by long processes. Scale bar, 10 µm. (d) BSE micrograph of silver-stained subdermal tissue revealing a nerve connected with an ALC process (arrow). Scale bar, 5 µm. (e) Lightly compressed whole adipose fin stained with a primary antibody (zn-12 monoclonal mouse antibody to zebrafish neuronal membrane: Developmental Studies Hybridoma Bank, Iowa City, IA, USA) followed by a secondary antibody (goat-anti-mouse IgG conjugated to Alexa Fluor 555) (from Molecular Probes, Invitrogen, Eugene, OR, USA). Micrograph shows nerves entering cut edge of fin (arrows) and anastomizing. Courtesy of Dr Roger Croll, Dalhousie University. Scale bar, 100 µm.
(b). Structure of ALCs and the subdermal space
There was no adipose tissue inside the ‘adipose’ fin. A few lipid droplets were observed beneath the fin (figure 1c). Rather, the subdermal space was filled with a connective tissue matrix containing loose collagen fibres and collagen cables, interspersed by a few fibroblasts and numerous ALCs (figure 3b). The ALCs had round cell bodies with a diameter of 5–10 µm and several long cytoplasmic processes extending outwards, up to three times the length of the corresponding diameter (figures3b and4a). The nuclei of ALCs were lobular with fine granular euchromatin and little heterochromatin (figure 4b,c). Active Golgi bodies in the cytoplasm released numerous small secretory vesicles (figure 4b,c). Rough endoplasmic reticulum (RER), though not as extensive as in fibroblasts and other protein-secreting cells, extended cisternae into the cytoplasmic processes (figure 4a,b). Cytoplasmic processes were interconnected via gap junctions (figure 4a, inset), close appositions (figure 4a,b) or by ‘peg and socket’ interdigitation (figure 4a). Frequently membranes at the site of close appositions were thickened, forming ‘membrane-associated dense bands’ (figure 4a,b).
Figure 4.
Electron micrographs of ALCs. (a) Three adjacent ALCs are connected by a peg and socket (PS) junction and a close apposition (CA). Scale bar, 1 µm. (Inset) Gap junction (arrow) between adjacent ALCs makes possible the passage of silver between cells in silver-stained preparations. Scale bar, 0.1 µm. (b) ALC processes connected via close apposition junctions (CA). Typical cell contents are a pale nucleus (N) with little heterochromatin, an extensive Golgi body (G) releasing numerous vesicles, endoplasmic reticulum projecting into cytoplasmic process (RER), several small mitochondria (M) and membrane-associated dense bands (arrows). Scale bar, 1 µm. (c) Two ALCs connected by close appositions (CA) and exhibiting pale nuclei (N) with little heterochromatin, a primary cilium (PC), numerous mitochondria (M), Golgi body (G) and small vesicles. Scale bar, 1 µm. (Inset) Cross section of the basal body of primary cilium showing characteristic outer triplet microtubules. Scale bar, 0.1 µm.
On several occasions, primary cilia were located on ALCs projecting towards the interior of the subdermal space (figure 4c). These primary cilia lacked the central microtubules, as well as the dynein arms typical of motile cilia but had typical triplet microtubules in the basal body (figure 4c, inset). Blood vessels were observed in the subdermal space (figure 1d), running from the base to the apex of the fin.
(c). Structure of the hypodermis
The hypodermis lies between the subdermal space and dermis and typically links the dermis to the underlying muscle of the integument but is continuous with the subdermal space in the adipose fin, which has no muscles. Fibroblasts are found there (figure 5a,b), as well as fusiform actinotrichia (figure 5a,c) which are comprised of many macrofibrils, similar to collagen. Where collagen cables exit the dermis and hypodermis to cross the subdermal space, fibres of the actinotrichia appear to be enmeshed in them (figure 5c).
Figure 5.
TEMs of adipose fin hypodermis. (a) Section of dermis and hypodermis showing collagen cable (CC) emerging from densely packed dermal collagen adjacent to fibroblasts (F) and actinotrichia (A) on way to subdermal space. Scale bar, 2 µm. (b) CC is emerging from hypodermis into the subdermal space, where a nerve (Ne) is attached. Note also melanophore (Me) and ALC. Scale bar, 2 µm. (c) Micrograph of interaction (asterisk) between collagen fibres of a CC and elastoidin fibres (EF) of an actinotrichium (A). Scale bar, 2 µm.
The hypodermis is also characterized by one or two layers of three types of chromatophores (pigment cells), termed melanophores, xanthophores and iridophores. Melanophores contain numerous small electron-dense vesicles, called melanosomes, which measure on average 0.6 µm in diameter (figures5b and6a,d). Xanthophores are characterized by larger electron-lucent vesicles, called xanthosomes, measuring on average 1 µm in diameter (figure 6a,c,d). Iridophores contain in their cytoplasm, long rectangular reflecting vesicles (0.1 × 4 µm) arranged in groups parallel to each other (figure 6a,c).
Figure 6.
TEMs of adipose fin hypodermis. (a) Section of hypodermis showing a melanophore (Me), xanthophore (Xa) and iridophore (Ir). Fibroblast cell (F) lies adjacent to the layers of dermal collagen. Scale bar, 3 µm. (b) Fibroblast with dense elongate nucleus containing much heterochromatin (N), numerous cisternae of rough endoplasmic reticulum (RER) and mitochondria (M), surrounded by dense arrays of collagen fibres (CF) that it secretes. Scale bar, 1 µm. (c) Ir showing characteristic crystalline reflecting vesicles (RV) and numerous mitochondria, next to an Xa with characteristic xanthosomes (arrows). Scale bar, 1 µm. (d) An Xa and Me are visible at the bottom next to compact layers of dermal collagen, containing fibroblasts and more melanophores. At top the stratum compactum (SC) borders the epidermis (ED). Scale bar, 5 µm.
(d). Structure of the dermis
The dermis largely comprises collagen fibres secreted by numerous elongate (up to 20 µm in length) fibroblast cells, which have oval to elongate nuclei with much heterochromatin, extensive RER and many mitochondria (figure 6b,d). In the uppermost 5 µm (or more), adjacent to the epidermis, the dermis lacks cells and consists of highly organized collagen fibres forming the ‘stratum compactum’ (also called the ‘collagenous dermal stroma’; figures6b,d and7a,b). These collagen fibres are arranged in alternating layers perpendicular to each other, like plywood construction, so that a section reveals both longitudinal and transverse profiles (figures6b and7b). The collagen of the dermis forms undulating bands, running parallel to the surface of the skin (figures6d and7a). Interspersed among the collagen fibres in the layers adjacent to the hypodermis are found more melanophores and xanthopohores (figure 6d).
Figure 7.
Electron micrographs of adipose fin. (a) Section of skin of adipose fin showing goblet mucous cell (MC) opening between pavement epithelial cells (PE). The stratified epidermis containing layers of round epithelial cells (RC). In the basal stratum of the epidermis, columnar epithelial cells (CE) sit on the basal lamina adjacent to the layers of the stratum compactum (SC). Scale bar, 5 µm. (Inset) Solitary chemosensory cell (SCC). Scale bar, 7 µm. (b) Section of junction between dermis and epidermis separated by basal lamina (BL). Hemidesmosomes (HD) with numerous intermediate filaments are visible in the columnar epithelial cell cytoplasm. Adjacent to the basal lamina are collagen fibres of the SC cut alternately in cross and long sections. Scale bar, 1 µm. (c) SEM of fin surface showing characteristic ridge maze pattern of pavement epithelial cells with goblet mucous cells opening at the surface between them (arrows). Scale bar, 5 µm.
(e). Structure of the epidermis
The epidermis is made up of three distinct layers: the superficial stratum, intermediate stratum and basal stratum. Pavement epithelial cells comprise the superficial stratum and below it is the intermediate stratum which is three to four cells thick comprising mainly round epithelial cells and goblet mucous cells (figure 7a). The goblet mucous cells have basal nuclei but open onto the surface at pore-like crypts between the pavement epithelial cells (figure 7a). Cells in this layer are anchored to one another and to the cells of the superficial stratum and basal epithelium by desmosomes. Also observed in this layer were cells with a morphology characteristic of solitary chemosensory cells having a large nucleus with a distinctive pattern of granular euchromatin, as well as a pronounced nucleolus and several mitochondria (figure 7a, inset). The basal stratum of the epidermis comprises mainly columnar epithelial cells with extensive RER, lobed nuclei and large secretory vacuoles (figure 7a). These cells are attached to the basal lamina by numerous hemidesmosomes that overlie the dense arrays of dermal collagen fibres (figure 7b).
The surface structure of the adipose fin, observed by SEM, showed the presence of secretions from the mucous glands, as well as the epidermal ridge mazes of the pavement epithelial cells (figure 7c). Characteristic, species-specific patterns are formed by these ridges, which cover the entire apical surface of the superficial layer of epidermal cells.
4. Discussion
(a). Nervous tissue in the adipose fin
We have presented, for the first time to our knowledge, unambiguous evidence that the salmonid adipose fin is innervated. We used brown trout for this investigation on the assumption that the adipose ultrastructure would be relatively representative given the conserved body shape and hydrodynamic life histories within the Salmonidae [7]. It is clear from our observations of nerves and interconnecting silver-stained cells that a neural network exists in the adipose fin that appears to be coupled with ALCs. This possibility extends from the fact that ALCs but not other cells of the subdermal space and hypodermis, behave like neurons in staining with preparations of silver nitrate, which is a technique specifically designed to stain the nervous system and one that, although not perfect, has recognized many improvements [25–27], since the beginning of this century [28]. Further experimentation will be necessary to determine whether the interconnecting ALCs are in fact some type of neuroglia or even specialized neurons.
Detection of the extensive neural network throughout the adipose fin suggests that it is operating as a mechanosensory organ. This was predicted and is consistent with the precaudal sensor hypothesis of Reimchen & Temple [23]. This evidence does not exclude other functionality of the fin, such as direct control of transverse waterflow over the peduncle as with the finlets on tuna [20,21], because both functions could improve swimming efficacy. There are also suggestions that the adipose fin has a potential role during courtship as males have a larger fin than females and the latter appear to prefer males with a relatively larger adipose fin [18,19]. Reimchen & Temple [23] propose that both these factors may reflect a selective landscape in streams where males are subject to greater swimming demands than that of females. The occurrence of a larger adipose fin in males may relate to hydrodynamic functionality owing to the greater complexity and density of the nerve net in a larger fin.
(b). ALCs
ALCs have some of the morphological characteristics of light astrocytes from the central nervous system [29]. Astrocytes are star-shaped cells that possess a round cell body with many long cytoplasmic processes. The cytoplasmic processes contact neurons, blood vessels and other astrocytes forming intricate microdomains [30]. This type of network may be similar to the situation found in the adipose fin, where the ALCs in the subdermal space form an interconnected network that also contacts nerves. ALCs in the adipose fin form close appositions with nerves and gap junctions and ‘peg and socket’ interdigitation of membranes with other ALCs.
ALCs, like most astrocytes [31], bear primary cilia which have been shown to have mechanosensory properties [32]. Furthermore, ALCs have highly active nuclei mostly containing euchromatin with little heterochromatin and several active Golgi bodies but relatively little RER compared with fibroblasts or other protein-secreting cells, properties which tend to characterize astrocytes.
Research in recent years has revealed that besides their supportive roles, mammalian astrocytes are capable of bidirectional communication with neurons and are active participants in synaptic transmission [33,34]. Whether the components of the adipose fin sensory system include the active participation of ALCs, requires further study but the existence of a neural network in the adipose fin is beyond question.
(c). Adipose fin integument
Observations of the ultrastructure of the adipose fin integument are consistent with previous descriptions at the light microscope level [8], as well as the integument of fins of teleost fishes at the electron microscope level [35–40]. Weisel [8] showed that among salmonids there was very little difference in basic structure of the adipose fin and all species lacked adipose tissue in the fin, although sometimes lipid droplets were present. One exception among other fishes that possess adipose fins is the black bullhead (catfish)Ictalurus melas, which contains large amounts of adipose tissue in the fin core [8].
Ridge maze patterns formed on the surface of pavement epithelial cells are species-specific and active fish tend to have well-defined ones, whereas the ridge patterns on more sessile species are reduced or absent [36]. Following Fishelson's [36] guidelines, it was established that brown trout possess accentric, coil-maze ridge patterns (ridges do not form spirals or clear focal points but the ridge lines are either straight or sinusoidal).
Within the intermediate strata of the epidermis, cells having a morphology similar to solitary chemosensory cells were observed. These cells possess a large nucleus with a distinctive pattern of granular euchromatin, as well as a pronounced nucleolus and several mitochondria [40]. Solitary chemosensory cells in fishes are implicated in chemoreception linked to the avoidance of predators [41]. Further research is required to examine the type and distribution in the salmonid adipose fin, of these and any other chemosensory cells, such as epidermal taste buds [8,42], which may be contributing to the complex of sensory information provided by the fin.
(d). Origin of the adipose fin
The adipose fin is thought to have originated as a fleshy fin in teleost fishes [43], rather than being a reduced version of a larger rayed one. However, the presence of actinotrichia supporting the caudal free edge of the fin might indicate truncation of normal fin development, as actinotrichia usually are correlates of fin ray development by lepidotrichia [44,45].
Actinotrichia observed in other fins are reported to be made up of the protein elastoidin [46], comprising collagen and at least one non-collagenous protein yet to be identified [22,47]. In actinotrichia, the striated fibres are highly condensed giving the entire structure a faintly striated appearance in sections. It is clear that at intersections with collagen cables, fibres from the actinotrichia become enmeshed in the collagen cable. This connection between actinotrichia and collagen cables may be part of a unique support system of the adipose fin, as it has not been reported elsewhere. Just how this system interacts with the nerves that are frequently connected to the collagen cables is not known but we suspect that it forms part of a mechanosensory system that ties into flexion of the fin.
(e). Importance of the adipose fin as a mechanosensory organ
The adipose fin has evolved as a very flexible fin lacking muscles that is passively moved from side to side by water currents. This is enhanced by a connective tissue matrix in the subdermal space [8] that is supported by collagen cables, as well as actinotrichia at the free edge. However, there are no lepidotrichia (true fine rays) which would make the fin stiffer. Passive flexion of the adipose fin by water currents is predicted to stimulate the internal neural network and provide sensory input to the fish. Primary cilia on ALCs may play a role in mechanosensation, if movements of the matrix in the subdermal space stimulate their response, as occurs with primary cilia of chondrocytes when moved by the cartilage matrix [48].
If the adipose fin is in fact functioning as a precaudal flow sensor, allowing optimal manoeuvrability in turbulent water, as suggested by Reimchen & Temple [23], then it is logical that swimming in non-turbulent waters would be largely unaffected by removal of the adipose fin. This hypothesis could explain why previous studies found that clipping of the adipose fin had no effect on stamina, susceptibility to predation [12,14] or growth [10], as these studies were conducted in non-turbulent water. Saunders & Allen [16], however, did find that growth was significantly affected by adipose fin clipping when fish were swimming in turbulent water. The major complexity in flow regime over the precaudal zone in fishes that can now be identified with digital particle image velocimetry [22,47,49–52] offers a direct test of the precaudal sensor hypothesis.
The adipose fin is removed as a routine marking technique applied extensively at hatcheries on millions of fish that are then used for stocking lakes and rivers. Although extensive experimental evidence indicates that such removal has less impact than removal of other fins [9], our results indicate substantive caution in the removal of a sensory and functional trait on individuals already subject to major demographic and environmental impact [53].
There is considerable theoretical and empirical evidence in the modern evolutionary synthesis to indicate that retention and persistence of vestigial or non-functional traits represent a trade-off or compromise, owing to developmental integration and constraints [1,3,4]. However, our data on the adipose fin supplement some of the recent literature in which long-established viewpoints on seemingly neutral or non-functional traits, such as the human coccyx, are challenged, as they appear to be biologically relevant [5].
Acknowledgements
The experiment was approved by St Francis Xavier University Animal Care Committee according to CCAC protocol no. 05002-n.
Thanks are owing to Dr Roger Croll for providing an unpublished micrograph and for valuable criticisms of an earlier draft of the manuscript; Dr Glenys Gibson for hosting M. Gillis at Acadia University; Dr George Robertson and Dr Moira Galway for help converting plates to Photoshop; and to two anonymous reviewers who offered many helpful criticisms and comments resulting in a much improved document. We also want to thank Darryl Morent and the staff at the Fraser's Mills fish hatchery for their help with procuring fish samples at preferred stages. This study was supported by NSERC Discovery grants to J.B.-N. (NRC 46205) and T.E.R. (NRC 2354) and by an NSERC.USRA to M.G.
References
- 1.Futuyma D. J. 2009. Evolution, 2nd edn. Sunderland, MA: Sinauer Associates [Google Scholar]
- 2.Fong D. W., Kane T. C., Culver D. C. 1995. Vestigialization and loss of non-functional characters. Annu. Rev. Ecol. Syst. 26, 249–268 10.1146/annurev.es.26.110195.001341 (doi:10.1146/annurev.es.26.110195.001341) [DOI] [Google Scholar]
- 3.Gould S. J., Eldridge N. 1977. Punctuated equilibria: the tempo and mode of evolution reconsidered. Paleobiology 3, 115–151 [Google Scholar]
- 4.Schlichting C. D., Pigliucci M. 1998. Phenotypic evolution: a reaction norm perspective. Sunderland, MA: Sinauer Associates Inc [Google Scholar]
- 5.Bo K., Lilleas F., Talseth T., Hedland H. 2001. Dynamic MRI of the pelvic floor muscles in an upright sitting position. Neurourol. Urodynam. 20, 167–174 (doi:10.1002/1520-6777(2001)20:2<167::AID-NAU19>3.0.CO;2-4) [DOI] [PubMed] [Google Scholar]
- 6.Londei T. 2000. The cheetah (Acinonyx jubatus) dew-claw: specialization overlooked. J. Zool. 251, 535–547 10.1017/S095283690021813X (doi:10.1017/S095283690021813X) [DOI] [Google Scholar]
- 7.Nelson J. S. 1994. Fishes of the world. New York, NY: John Wiley & Sons [Google Scholar]
- 8.Weisel G. F. 1968. The salmonoid adipose fin. Copeia 3, 626–627 10.2307/1442040 (doi:10.2307/1442040) [DOI] [Google Scholar]
- 9.Vander Haegen G. E., Blankenship H. L., Hoffmann A., Thompson D. A. 2005. The effects of adipose fin clipping and coded wire tagging on the survival and growth of spring Chinook salmon. N. Am. J. Fish. Manage. 25, 1161–1170 10.1577/M04-011.1 (doi:10.1577/M04-011.1) [DOI] [Google Scholar]
- 10.Armstrong G. C. 1949. Mortality, rate of growth, and fin regeneration of marked and unmarked lake trout fingerlings at the provincial fish hatchery, Port Arthur, Ontario. Trans. Am. Fish. Soc. 77, 129–140 10.1577/1548-8659(1947)77[129:MROGAF]2.0.CO;2 (doi:10.1577/1548-8659(1947)77[129:MROGAF]2.0.CO;2) [DOI] [Google Scholar]
- 11.Baumgartner J. D., Schuck M. L., Blankenship H. L. 2009. Returns of hatchery steelhead with different fin clips and coded wire tag lengths. N. Am. J. Fish Manage. 29, 903–913 10.1577/M07-155.1 (doi:10.1577/M07-155.1) [DOI] [Google Scholar]
- 12.Horak D. L. 1969. The effect of fin removal on stamina of hatchery reared rainbow trout. Prog. Fish Cult. 31, 217–220 10.1577/1548-8640(1969)31[217:TEOFRO]2.0.CO;2 (doi:10.1577/1548-8640(1969)31[217:TEOFRO]2.0.CO;2) [DOI] [Google Scholar]
- 13.Sharpe C. S. 1998. Effects of routine handling and tagging procedures on physiological stress responses in juvenile Chinook salmon. Prog. Fish. Cult. 60, 81–87 (doi:10.1577/1548-8640(1998)060<0081:EORHAT>2.0.CO;2) [DOI] [Google Scholar]
- 14.Shetter D. 1951. The effect of fin removal on fingerling lake trout (Cristovomer naymaycush). Trans. Am. Fish. Soc. 80, 260–277 10.1577/1548-8659(1950)80[260:TEOFRO]2.0.CO;2 (doi:10.1577/1548-8659(1950)80[260:TEOFRO]2.0.CO;2) [DOI] [Google Scholar]
- 15.Shetter D. 1952. The mortality and growth of marked and unmarked trout fingerlings in the presence of predators. Trans. Am. Fish. Soc. 81, 17–34 10.1577/1548-8659(1951)81[17:TMAGOM]2.0.CO;2 (doi:10.1577/1548-8659(1951)81[17:TMAGOM]2.0.CO;2) [DOI] [Google Scholar]
- 16.Saunders A., Allen K. R. 1967. Effects of tagging and of fin-clipping on the survival and growth of Atlantic salmon between smolt and adult stages. J. Fish. Res. Bd Can. 24, 2595–2611 10.1139/f67-208 (doi:10.1139/f67-208) [DOI] [Google Scholar]
- 17.Beacham T. D., Murray C. B. 1983. Sexual dimorphism in the adipose fin of pacific salmon (Oncorhynchus). Can. J. Fish. Aquat. Sci. 40, 2019–2024 10.1139/f83-231 (doi:10.1139/f83-231) [DOI] [Google Scholar]
- 18.Westley P. A. H., Carlson S. M., Quinn T. P. 2008. Among-population variation in adipose fin size parallels the expression of other secondary sexual characteristics in sockeye salmon (Oncorhyncus nerka). Environ. Biol. Fish 81, 439–446 10.1007/s10641-007-9236-3 (doi:10.1007/s10641-007-9236-3) [DOI] [Google Scholar]
- 19.Petersson E., Jarvi T., Olsen H., Mayer I., Hedenskog M. 1999. Male–male competition and female choice in brown trout. Anim. Behav. 57, 777–783 10.1006/anbe.1998.1043 (doi:10.1006/anbe.1998.1043) [DOI] [PubMed] [Google Scholar]
- 20.Webb P. W. 1975. Hydrodynamics and the energetics of fish propulsion. Bull. Fish. Res. Bd Can. 190, 1–159 [Google Scholar]
- 21.Blake R. W. 1983. Fish locomotion. Cambridge, MA: Cambridge University Press [Google Scholar]
- 22.Nauen J. C., Lauder G. V. 2001. Locomotion in scombrid fishes: visualization of flow around the caudal peduncle and finlets of the chub mackerelScomber japonicus. J. Exp. Biol. 204, 2251–2263 [DOI] [PubMed] [Google Scholar]
- 23.Reimchen T. E., Temple N. F. 2004. Hydrodynamic and phylogenetic aspects of the adipose fin in fishes. Can. J. Zool. 82, 910–916 10.1139/z04-069 (doi:10.1139/z04-069) [DOI] [Google Scholar]
- 24.Temple N. F., Reimchen T. E. 2008. Adipose fin condition and flow regime in catfish. Can. J. Zool. 86, 1079–1082 10.1139/Z08-086 (doi:10.1139/Z08-086) [DOI] [Google Scholar]
- 25.Rowell C. H. F. 1963. A general method for silvering invertebrate central nervous systems. Q. J. Microsc. Sci. 104, 81–87 [Google Scholar]
- 26.Rager G., Lausmann S., Gallyas F. 1979. An improved silver stain for developing nervous tissue. Stain Technol. 54, 193–200 [DOI] [PubMed] [Google Scholar]
- 27.Von Langsdorff D., Ali S. S., Nurnberger F. 1990. An improved silver-staining technique as an alternative nuclear or combined nuclear nerve-fiber impregnation for comparative light, secondary and backscattered electron scanning microscopy. J. Neurosci. Meth. 35, 3–8 10.1016/0165-0270(90)90088-W (doi:10.1016/0165-0270(90)90088-W) [DOI] [PubMed] [Google Scholar]
- 28.Bielschowsky M. 1909. Eine Modifikation meines Silberimprägnationsverfahrens zur Darstellung der Neurofibrillen. J. Psychol. Neurol. 12, 135–137 [Google Scholar]
- 29.Stensaas L. J. 1977. The ultrastructure of astrocytes, oligodendrocytes, and microglia in the optic nerve of urodele amphibians (A. punctatum,T. pyrrhogaster,T. viridescens). J. Neurocytol. 6, 269–286 10.1007/BF01175191 (doi:10.1007/BF01175191) [DOI] [PubMed] [Google Scholar]
- 30.Ransom B., Behar T., Nedergaard M. 2003. New roles for astrocytes (stars at last). Trends Neurosci. 26, 520–522 10.1016/j.tins.2003.08.006 (doi:10.1016/j.tins.2003.08.006) [DOI] [PubMed] [Google Scholar]
- 31.Moser J. J., Fritzler M. J., Rattner J. B. 2009. Primary ciliogenesis defects are associated with human astrocytoma/glioblastoma cells. BMC Cancer 9, 448. [DOI] [PMC free article] [PubMed] [Google Scholar]
- 32.Satir P., Pedersen L. B., Christensen S. T. 2010. The primary cilium at a glance. J. Cell Sci. 123, 499–503 10.1242/jcs.050377 (doi:10.1242/jcs.050377) [DOI] [PMC free article] [PubMed] [Google Scholar]
- 33.Newman E. 2003. New roles for astrocytes: regulation of synaptic transmission. Trends Neurosci. 26, 536–542 10.1016/S0166-2236(03)00237-6 (doi:10.1016/S0166-2236(03)00237-6) [DOI] [PubMed] [Google Scholar]
- 34.Stevens B. 2008. Neuron-astrocyte signaling in the development and plasticity of neural circuits. Neurosignals 16, 278–288 10.1159/000123038 (doi:10.1159/000123038) [DOI] [PubMed] [Google Scholar]
- 35.Becerra J., Montes G. S., Bexiga S. R. R., Junqueira L. C. U. 1983. Structure of the tail fin in teleosts. Cell Tissue Res. 230, 127–137 10.1007/BF00216033 (doi:10.1007/BF00216033) [DOI] [PubMed] [Google Scholar]
- 36.Fishelson L. 1984. A comparative study of ridge-mazes on surface epithelial cell membranes of fish scales (Pisces, Teleostei). Zoomorphology 104, 231–238 10.1007/BF00312036 (doi:10.1007/BF00312036) [DOI] [Google Scholar]
- 37.Harris J. E., Hunt S. 1975. The fine structure of the epidermis of two species of salmonid fish, the Atlantic salmon, (Salmo salar L.) and the brown trout (Salmo trutta L.). Cell Tissue Res. 163, 535–543 10.1007/BF00218498 (doi:10.1007/BF00218498) [DOI] [PubMed] [Google Scholar]
- 38.Le Guellec D., Morvan-Dubois G., Sire Y. 2004. Skin development in bony fish with particular emphasis on collagen deposition in the dermis of the zebrafish (Danio rerio). Int. J. Biol. 48, 217–231 10.1387/ijdb.15272388 (doi:10.1387/ijdb.15272388) [DOI] [PubMed] [Google Scholar]
- 39.Whitear W. 1970. The skin surface of bony fishes. J. Zool. Lond. 160, 437–454 10.1111/j.1469-7998.1970.tb03091.x (doi:10.1111/j.1469-7998.1970.tb03091.x) [DOI] [Google Scholar]
- 40.Whitear W. 1971. Cell specialization and sensory function in fish epidermis. J. Zool. Lond. 163, 237–264 10.1111/j.1469-7998.1971.tb04533.x (doi:10.1111/j.1469-7998.1971.tb04533.x) [DOI] [Google Scholar]
- 41.Kotrschal K. 1991. Solitary chemosensory cells: taste common chemical sense or what? Rev. Fish Biol. Fish. 1, 3–22 10.1007/BF00042659 (doi:10.1007/BF00042659) [DOI] [Google Scholar]
- 42.Varatharan N., Croll R. P., Franz-Odenaal T. 2009. Taste bud development and patterning in sighted and blind morphs ofAstyanax mexicanus. Dev. Dyn. 238, 3056–3064 10.1002/dvdy.22144 (doi:10.1002/dvdy.22144) [DOI] [PubMed] [Google Scholar]
- 43.Sandon H. 1956. An abnormal specimen ofSynodontis membranaceus (Teleostei, Siluroidea), with a discussion on the evolutionary history of the adipose fin in fish. Proc. Zool. Soc. Lond. 127, 453–460 [Google Scholar]
- 44.Géraudie J., Landis W. 1982. The fine structure of the developing pelvic fin dermal skeleton in the troutSalmo gairdneri. Am. J. Anat. 163, 141–156 10.1002/aja.1001630204 (doi:10.1002/aja.1001630204) [DOI] [PubMed] [Google Scholar]
- 45.Johanson Z., Burrow C., Warren A., Garvey J. 2005. Homology of fin lepidotrichia in osteichthyan fishes. Lethaia 38, 27–36 10.1080/00241160510013141 (doi:10.1080/00241160510013141) [DOI] [Google Scholar]
- 46.Kimura S., Kubota M. 1966. Studies on elastoidin. I. Some chemical and physical properties of elastoidin and its components. J. Biochem. 60, 615–620 [DOI] [PubMed] [Google Scholar]
- 47.Zhang J., Wagh P., Guay D., Sanchez-Pulido L., Padhi B. K., Korzh V., Andrade-Navarro M. A., Akimenko M. A. 2010. Loss of fish actinotrichia proteins and the fin-to-limb transition. Nature 466, 234–237 10.1038/nature09137 (doi:10.1038/nature09137) [DOI] [PubMed] [Google Scholar]
- 48.McGlashan S. R., Knight M. M., Chowdury T. T., Joshi P., Jensen C. G., Kennedy S., Poole C. A. 2010. Mechanical loading modulates chondrocyte primary cilia incidence and length. Cell Biol. Int. 34, 441–446 10.1042/CBI20090094 (doi:10.1042/CBI20090094) [DOI] [PubMed] [Google Scholar]
- 49.Drucker E. G., Lauder G. V. 2005. Locomotor function of the dorsal fin in rainbow trout: kinematic patterns and hydrodynamic forces. J. Exp. Biol. 208, 4479–4494 10.1242/jeb.01922 (doi:10.1242/jeb.01922) [DOI] [PubMed] [Google Scholar]
- 50.Lauder G. V. 2000. Function of the caudal fin during locomotion in fishes: kinematics, flow visualization and evolutionary patterns. Am. Zool. 40, 101–122 10.1668/0003-1569(2000)040[0101:FOTCFD]2.0.CO;2 (doi:10.1668/0003-1569(2000)040[0101:FOTCFD]2.0.CO;2) [DOI] [Google Scholar]
- 51.Liao J., Beal D. N., Lauder G. V., Triantafyllou M. S. 2003. Fish exploiting vortices decrease muscle activity. Science 302, 1566–1569 10.1126/science.1088295 (doi:10.1126/science.1088295) [DOI] [PubMed] [Google Scholar]
- 52.Standen E. M., Lauder G. V. 2007. Hydrodynamic function of dorsal and anal fins in brook trout (Salvelinus fontinalis). J. Exp. Biol. 210, 325–339 10.1242/jeb.02661 (doi:10.1242/jeb.02661) [DOI] [PubMed] [Google Scholar]
- 53.Gresh T., Lichatowich J., Schoonmaker J. 2000. An estimation of historic and current levels of salmon production in the Northeast Pacific Ecosystem: evidence of a nutrient deficit in the freshwater systems of the Pacific Northwest. Fisheries 25, 15–21 (doi:10.1577/1548-8446(2000)025<0015:AEOHAC>2.0.CO;2) [DOI] [Google Scholar]






