
Differential colocalization of estrogen receptor β (ERβ) with oxytocin and vasopressin in the paraventricular and supraoptic nuclei of the female rat brain: An immunocytochemical study
Stephen E Alves
Veronica Lopez
Bruce S McEwen
Nancy G Weiland
To whom reprint requests should be addressed at: Laboratory of Neuroendocrinology, Box 165, The Rockefeller University, 1230 York Avenue, New York, NY 10021. e-mail:alvess@rockvax.rockefeller.edu.
Contributed by Bruce S. McEwen
Accepted 1997 Dec 29.
Abstract
Evidence exists for the localization of the newly identified estrogen receptor β (ERβ) within the rat paraventricular nucleus (PVN) and supraoptic nucleus (SON), regions which lack ERα. Presently, we investigate whether ERβ-like-immunoreactivity (-ir) is found within cells of several major neuropeptide systems of these regions. Young adult Sprague–Dawley rats were ovariectomized (OVX), and 1 week later half of the animals received estradiol-17β (E). Dual-label immunocytochemistry was performed on adjacent sections by using an ERβ antibody, followed by an antibody to either oxytocin (OT), arginine-vasopressin (AVP), or corticotropin releasing hormone. Nuclear ERβ-ir was identified within SON and retrochiasmatic SON, and in specific PVN subnuclei: medial parvicellular part, ventral and dorsal zones, dorsal and lateral parvicellular parts, and in the posterior magnocellular part, medial and lateral zones. However, the ERβ-ir within magnocellular areas was noticeably less intense. OT-/ERβ-ir colocalization was confirmed in neurons of the parvicellular subnuclei, in both OVX and OVX+E brains (≈50% of OT and 25% of ERβ-labeled cells between bregma −1.78 and −2.00). In contrast, few PVN parvicellular neurons contained both AVP- and ERβ-ir. As well, very little overlap was observed in the distribution of cells containing corticotropin releasing hormone- or ERβ-ir. In the SON, most nuclear ERβ-ir colocalized with AVP-ir, whereas few OT-/ERβ-ir dual-labeled cells were observed. These findings suggest that estrogen can directly modulate specific OT and AVP systems through an ERβ-mediated mechanism, in a tissue-specific manner.
The newly identified estrogen receptor β (ERβ) has been shown to exist in rat (1), human (2), and mouse (3), but the physiological role(s) of this receptor remain(s) unknown. The ligand binding characteristics have been found to be generally similar to those of the “original” ER, now known as ERα, despite only a 55–60% homology in the C-terminal ligand binding domain of the two receptors (1–4). Likewise, ERβ appears capable of activating the expression of an estrogen response element-containing reporter gene construct, in a hormone-dependent manner, at very low hormone concentrations (1–3). This finding is not surprising, considering that the DNA binding domains of the two isoforms are 95–97% homologous. However, the remaining domains of these two steroid receptors show no homology, and recent evidence suggests that ERα and ERβ possess distinct transactivation functions (3,5).
Another clue for a distinct role for this “second” ER may be its anatomical distribution. Although there appears to be some overlap, the distribution of the two receptor subtypes appear to be quite different, based upon recent descriptions of ERβ transcript localization in the rat (4). In the rat brain specifically, the paraventricular nucleus (PVN) and the supraoptic nucleus (SON) have been identified as having large concentrations of cells containing ERβ mRNA (6,7) or immunoreactivity (8). Although [3H]estrogen-concentrating cells have been identified in the rat PVN and SON (9–12), little or no ERα appears to be found in these regions of the rat brain (refs.13 and14; S.E.A., unpublished results). Considering that these nuclei contain neural systems that are known to be estrogen regulated, particularly oxytocin (OT) and vasopressin (15–17), the ERβ may be a means for direct regulation. In the present study, we investigate possible colocalization of ERβ-like immunoreactivity (-ir) with several neuropeptide systems of the rat PVN and SON: OT, arginine-vasopressin (AVP), and corticotropin releasing hormone (CRH).
MATERIALS AND METHODS
Animals.
Animal-care maintenance and surgery were in accordance with the applicable portions of the Animal Welfare Act and the U.S. Department of Health and Human Services “Guide for the Care and Use of Laboratory Animals.” Young adult female Sprague–Dawley rats (Charles River Breeding Laboratories; 180–200 g,n = 8) were ovariectomized (OVX) under Metofane anesthesia. One week later, half of the animals received a 2-cm s.c. silastic implant of estradiol-17β (E; 200 μg/ml sesame oil) under Metofane anesthesia, whereas half were anesthetized but received no implant. Two days later, animals were deeply anesthetized with Metofane and transcardially perfused with 120 ml of ice cold 3.75% acrolein and 2% paraformaldehyde in 0.1 M sodium phosphate buffer (PB) (pH 7.4). We previously determined that this fixation protocol allows for the most sensitive detection of ERβ via immunocytochemistry, in our rat model. Brains were immediately removed and postfixed in 2% paraformaldehyde in 0.1 M PB at 4°C overnight, transferred to 0.1 M PB, coronally sectioned at 40 μm on a Vibratome, and stored in cryoprotectant (30% sucrose, 30% ethylene glycol in 0.1 M PB) at −20°C.
A separate group of OVX rats was administered colchicine 24 h before sacrifice to optimize CRH-ir. Briefly, these animals were anesthetized with sodium pentobarbital (50 mg/kg, i.p.) and securely placed in a stereotaxic frame (Kopf Instrument, Tujunga, CA). Colchicine (15 μl of 6 μg/μl saline;n = 4) was unilaterally infused intracerebroventricularly over 1 min, by using a Hamilton syringe, which was left in place for 3 min after infusion; stereotaxic coordinates were as follows: interaural line 0; anterior–posterior (AP), −0.8; medial–lateral (ML), −1.4; dorsal–ventral (DV), −3.6, according to Paxinos and Watson (18). Incisions were closed with surgical staples and animals were placed in clean cages. On the following day, these animals were killed as described above.
Immunocytochemistry.
Free-floating 40-μm sections were washed in ice cold 0.1 M PBS (pH 7.4) to thoroughly remove cryoprotectant. To deter nonspecific staining, sections were washed in 1% sodium borohydride (NaBH4) in PBS for 30 min at 4°C and rinsed 8–10 times with PBS to remove all NaBH4. Endogenous peroxidase activity was inhibited by washing tissue with 0.3% H2O2 in 40% methanol in PBS for 30 min. Following several washes in PBS, tissue was blocked with 2% normal goat serum in PBS with 0.1% Triton X-100 (PBST) for 1 h. Tissue was then incubated with an affinity-purified rabbit polyclonal antibody to ERβ (2.0 μg/ml; Affinity BioReagents, Golden, CO) in PBST and 1% goat serum over three nights at 4°C. This antibody (PA1-310) was synthesized against a synthetic peptide corresponding to amino acids 467–485 of the ERβ C terminus, a region with no homology to the ERα protein. PA1-310 has been characterized and demonstrated to be specific for ERβ; it reacts with various cells types in wild type and ERα knockout mice, and no Western blot cross-reactivity has been observed with ERα (Affinity BioReagents, unpublished results). To test for specificity of label in our immunocytochemistry protocol, adjacent tissue sections were incubated in antibody that had been preabsorbed with the synthesizing peptide (PEP-007 in a 1:1 molar ratio; Affinity BioReagents), whereas other sections were incubated in buffer without primary antibody.
Following primary antibody incubation, all sections were washed in PBS and exposed to a biotinylated secondary rabbit antibody, made in goat (1:600; Vector Laboratories) in PBST and 1% normal serum, for 1 h at room temperature. Following several PBS washes, sections were exposed to the avidin-biotin complex (ABC, Vector Elite kit) in PBS for 45 min. Following several washes, tissue was exposed to the substrate, 3,3′-diaminobenzidine tetrachloride (DAB; Sigma) with nickel sulfate (Sigma) in a 0.175 M sodium acetate buffer and 0.003% H2O2. The reaction product appears as a blue/black punctate, nuclear stain. Following several PBS washes, the tissue was incubated overnight at room temperature with an affinity-purified polyclonal antibody to either CRH (rabbit, 1:15,000; donated by Wylie Vale, The Salk Institute), OT, or AVP (guinea pig, 1:5,000; Peninsula Laboratories). The next day, tissue was washed in PBS and incubated with a biotinylated secondary antibody to the appropriate species (Vector Laboratories; 1:300) for 1 h. Following PBS washes, sections were exposed to either fluoroscein avidin D (Vector Laboratories; 1:300) in the dark for 1 h, or ABC followed by standard DAB (Sigma) as described above. Tissue was washed in PBS, mounted onto gelatin-coated slides, and air-dried in the dark, overnight. Sections were dehydrated and cleared in increasing concentrations of ethanol and finally xylene, coverslipped with DePex (Electron Microscopy Sciences, Ft. Washington, PA), and observed with a Nikon light microscope. Photographs were taken by using Kodak technical pan film. Slides were stored in the dark at 4°C.
Tissue Analysis.
Sequential 40-μm sections through the hypothalamus of OVX or OVX+E rats, were immunostained as described above. Each section was categorized anatomically according to distance from bregma (B), by using brain maps by Swanson (19) as a guide. Initially, the distributions of ir for ERβ, OT, AVP, and CRH were observed to determine whether colocalization between ERβ and any of these peptides was possible. In the PVN, the number of cells demonstrating ir to either ERβ, OT, or both ERβ and OT were counted in sections between B −1.78 and −2.00. Values were expressed as mean (±SD) number of cells counted on either side of the third ventricle in a 40 μm section, and the percentage of colocalized cells was determined. The high density of AVP- or OT-labeled cells in the SON made it difficult to count with accuracy the number of cells colocalized with ERβ-ir; therefore, actual cell numbers were not determined for this nucleus. Quantified data from the PVN were compared between groups by using the Student’st test. The significance level was set atP < 0.05.
RESULTS
Large concentrations of cells demonstrating nuclear ERβ-ir were observed within the PVN and the SON of the hypothalamus in both OVX and OVX+E animals. Scattered cells containing ERβ-ir were also observed within the bed nucleus of the stria terminalis, the medial preoptic area, the PVN, and the anterior hypothalamus of both groups. In agreement with a recent study that used the same commercially available ERβ antibody (8), this nuclear immunoreactivity was completely absent from sections that were exposed to the preabsorbed antibody and from sections incubated without the primary antibody.
Although nuclear ERβ-ir was abundant within the PVN, it was not evenly distributed through the nucleus. Rostrally, the first ERβ-labeled cells observed within the PVN were found between approximately B −1.50 and 1.60 (Fig.1). Some light labeling was seen in the posterior magnocellular part, medial zone (pmmPVN), along with a few, more darkly labeled cells, dorsally, in the parvicellular area. A small cluster of cells demonstrating nuclear ERβ-ir was also observed out in the rostral aspect of the posterior magnocellular part, lateral zone (pmlPVN). Cells demonstrating dark, well-defined nuclear ERβ-ir were numerous by B −1.78. Concentrations of labeled cells were observed within the medial parvicellular part, ventral zone (mpvPVN), dorsal zone (mpdPVN), dorsal parvicellular part (dpPVN), as well as in the pmlPVN. The ERβ-ir within the magnocellular region was noticeably less intense. ERβ-labeled nuclei continued caudally through these PVN subregions, and extended into the lateral parvicellular part (lpPVN) at B −2.00 (Fig.1).
Figure 1.
Brain maps are modified from Swanson (19) and represent coronal sections from three levels of the brain measured from bregma (B). Approximate distributions of cells containing nuclear ERβ-ir in the PVN (PVH in the figure) and SON (SO in the figure) of the female rat hypothalamus are illustrated. Each dot represents approximately two labeled cells within a 40-μm section. fx, Fornix; ME, median emminence; opt, optic tract; sup, supraoptic commissures; V3, third ventricle; sudivisions of the PVN: dp, dorsal parvicellular; lp, lateral parvicellular; mpd, medial parvicellular, dorsal zone; mpv, medial parvicellular, ventral zone; pv, periventricular part; pmm, posterior magnocellular, medial zone; pml, posterior magnocellular, lateral zone; SOr, retrochiasmatic SON; ARH, arcuate nucleus; PV, periventricular nucleus; VMH, ventromedial nucleus.
Nuclear ERβ-ir was first observed within the SON at approximately B −0.83. From this area, nuclear ERβ-ir was observed through the extent of the SON, including the retrochiasmatic SON.
A good deal of overlap in the distribution of nuclear ERβ-ir and OT-labeled cells was observed within the PVN and the SON. However, cellular colocalization of these two antigens was observed primarily in the PVN (Fig.2A andB). The largest concentrations of OT/ERβ dual-labeled cells were located specifically within the mpvPVN, mpdPVN, and lpPVN of this nucleus, approximately between B −1.78 and −2.00. No significant differences in the number of single- or double-labeled cells were found between OVX or OVX+E animals (Table1). Through this level of the PVN, a population representing just over 50% of the OT-labeled cells and 25% of the ERβ-labeled cells demonstrated colocalization (Table1). Cells containing OT-ir within the more caudal PVN were fewer in number, but the majority of these OT cells also contained ERβ-ir. Although OT-labeled cells were fairly abundant in the rostral PVN, very little colocalization with ERβ-ir was observed there.
Figure 2.
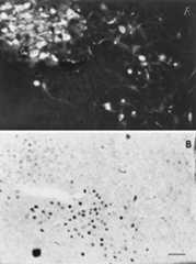
Fluorescent OT-ir (A) and light-field nuclear ERβ-ir (B) in the PVN of a 40-μm-thick section at the level of approximately B −1.90. Arrowheads denote examples of dual-labeled cells (compare arrowheads inA andB). Note the absence of cell soma AVP-ir at a comparable level (C), where numerous cells containing nuclear ERβ-ir are seen (D). Photomicrographs were taken at ×200 under a Nikon light microscope and a 35 mm camera by using Kodak technical pan film. v, Third ventricle. (Bar = 40 μm.)
Table 1.
Immunoreactive cells in the parvicellular subnuclei of the PVN of the hypothalamus in the female rat
| Group treatment | ERβ | OT | ERβ and OT | Colocalized, % | |
|---|---|---|---|---|---|
| ERβ | OT | ||||
| OVX | 114.50 ± 45.08 | 66.87 ± 18.22 | 33.13 ± 8.53 | 28.93 | 49.54 |
| OVX+E | 141.67 ± 31.26 | 54.25 ± 16.62 | 29.33 ± 3.62 | 20.70 | 54.06 |
Values represent mean (±SD) number of cells counted within a 40-μm section representative of bregma levels −1.78 to −2.00 (n = 4/group). No significant differences were found between groups.
Some areas of the PVN that contained distinct OT/ERβ double-labeled cells had very few and in some cases no cell bodies demonstrating AVP-ir (Fig.2C andD). Although there were areas of overlap in the distribution of AVP- and ERβ-ir within the PVN, as shown in Fig.3, most of the cells demonstrating dark nuclear ERβ-ir were located ventral to the primarily magnocellular AVP-labeled cells. There were occasional ERβ-labeled cells within the parvicellular regions that contained AVP-ir as well; however, the AVP-ir of these cells was consistently lighter in intensity than cells containing only AVP-ir.
Figure 3.
Fluorescent AVP-ir (A) and light-field nuclear ERβ-ir (B) in the PVN of a 40-μm section, approximately at B −1.78. Note the very dark, well-defined nuclear ERβ-ir within the lower, central half of panel (B), which corresponds primarily to the medial parvicellular, ventral, and dorsal zones. In contrast, note the very light, yet distinct ERβ-ir in the upper left corner ofB, which corresponds to the posterior magnocellular part, lateral zone. Scattered cells containing AVP-ir were found in the parvicellular regions, but only an occasional cell appeared to contain both AVP- and ERβ-ir (none demonstrated here). Most ERβ-ir within the magnocellular area appeared to be located adjacent to, but not in, the AVP-ir magnocellular neurons. Photomicrographs were taken at ×200 under a Nikon light microscope and a 35 mm camera by using Kodak technical pan film. (Bar = 40 μm.)
Within the magnocellular regions of the PVN, where the majority of large, darkly labeled OT or AVP cells were located, nuclear ERβ-ir was also observed (Fig.3). However, the ERβ-ir within these areas was consistently less intense compared with what was seen in the more ventral, parvicellular regions (Fig.3B). Although found in the same vicinity, we could not identify individual magnocellular neurons that contained both ERβ- and AVP- or OT-ir. Upon close inspection, the majority of cell nuclei containing ERβ-ir were located adjacent to, but not within, the cytoplasmicly labeled OT or AVP magnocellular neurons.
Different distributions were generally observed for cells containing CRH-ir or ERβ-ir in the PVN (data not shown). Although both immunolabels were observed at similar levels, cells containing CRH-ir were generally located dorsal to receptor-labeled cells. Similar to AVP-ir in this nucleus, only a rare occasional parvicellular neuron was found that appeared to contain both CRH and ERβ. Although colchicine treatment enhanced the intensity of the CRH-ir, it did not induce CRH labeling to any great extent within the region containing the majority of ERβ immunopostive cell nuclei.
In the SON, more cells were observed to contain OT- or AVP-ir than ERβ-ir. However, many of the ERβ-labeled cells observed within this nucleus also contained AVP-ir (Fig.4). In contrast, only occasional cells within the SON appeared to colocalize ERβ- and OT-ir. As in the magnocellular PVN, due to the density of the magnocellular neurons within the SON, we were unable to get an accurate number or percentage of ERβ-/AVP-ir or ERβ-/OT-ir colocalized cells. However, as Fig.4 demonstrates, much of the nuclear ERβ-ir was found within AVP-labeled cells. Although cells containing OT-ir or ERβ-ir were observed within the preoptic area, the OT-labeled cells were more dorsal and extended laterally from the third ventricle, whereas the receptor-labeled cells were more medial and ventral.
Figure 4.
Fluorescent AVP-ir (A) and light-field nuclear ERβ-ir (B) in the SON of a 40-μm section, at approximately B −1.08. Arrowheads denote examples of dual-labeled cells (compare arrowheads inA andB). Throughout the SON, many of the ERβ-labeled cells also contained AVP-ir. Photomicrographs were taken at ×200 under a Nikon light microscope and a 35 mm camera by using Kodak technical pan film. opt, Optic tract. (Bar = 40 μm.)
DISCUSSION
The findings of the present study demonstrate the localization of nuclear ERβ-ir within discrete populations of OT or AVP-containing neurons in the female rat hypothalamus. Although ERβ-ir appears to colocalize primarily with OT-ir in the PVN, it seems to be found primarily in AVP-ir-containing cells through the SON, including the retrochiasmatic aspect of this nucleus. These findings suggest that estrogens can directly act upon particular OT or AVP neurons, specifically via an ERβ-mediated mechanism. Furthermore, the localization of ERβ-ir within these populations of neurons in the rat, which do not demonstrate ERα-ir (13,14), provides an explanation for previous observations of [3H]estrogen-concentrating cells in the rat PVN and SON (9–12), and perhaps for estrogen regulation of OT and AVP systems (15–17). Because very little overlap in the distributions of cells containing ERβ-ir or CRH-ir was observed, the majority of CRH cells do not appear to contain nuclear ERβ. Thus, we are currently investigating the neurochemical phenotype(s) of ERβ-labeled cells which were not identified as OT or AVP labeled.
The distribution of ERβ-ir that we are describing within the hypothalamus is in agreement with recent reports of ERβ mRNA (6,7) and immunostaining using the same commercially available antibody (8). The ERβ-ir observed in the present study appears to be very specific, as antibody that had been preadsorbed with the synthesizing peptide did not result in any nuclear stain. This result has been recently demonstrated by Liet al. (8). Furthermore, the hypothalamic regions where the most abundant ERβ-ir was seen (PVN and SON) do not correspond with ERα-ir distribution in the rat (refs.13 and14; S.E.A., unpublished results). Thus, the ERβ antibody that we used does not appear to recognize ERα, confirming the claim of Affinity BioReagents (unpublished results). The affinity-purified antibodies to OT and AVP also appeared to be very specific, as demonstrated by the distinct distributions of OT- and AVP-ir within the PVN (Fig.2).
The majority of OT-labeled neurons that demonstrate dark, nuclear ERβ-ir are located within parvicellular neurons of the mpv-, mpd-, and lpPVN. Only a few neurons demonstrating light AVP-ir within these subnuclei of the PVN appeared to contain ERβ-ir. In contrast, most of the nuclear ERβ-ir observed within the magnocellular SON was found colocalized with cytoplasmic AVP-ir. Considering the general lack of ERα-ir within these two nuclei in the rat (13,14), these findings suggest that estrogen directly regulates primarily OT-containing parvicellular neurons, but mainly AVP-producing magnocellular neurons, through the ERβ. Although it was difficult to identify distinct nuclear ERβ-ir within individual magnocellular neurons in the PVN, evidence exists for [3H]estrogen-concentrating magnocellular OT or AVP neurons there (9–11). It may be that these PVN magnocellular cells have a lower concentration of ERβ as compared with the parvicellular or SON magnocellular estrogen targets that we have identified.
Although the majority of magnocellular cells of the PVN and SON project to the posterior pituitary, most of the neurons within the parvicellular subdivisions of the PVN form descending projections to the autonomic brainstem (i.e., dorsal vagal complex) or spinal cord (20–22). It has been shown that about 70% of [3H]estrogen-concentrating neurons within the mpv- and lpPVN send axons directly to the medulla (12). However, a subgroup of parvicellular cells specifically within the middle third of the mpdPVN have been identified to project directly to the median eminence (23). The identification of distinct cellular colocalization between ERβ-/OT-ir within the mpdPVN, as well as in the primarily descending projecting populations (in the mpv- and the lpPVN), suggests that estrogen may regulate anterior pituitary function as well as mediate specific autonomic functions through these ERβ-containing cells. Furthermore, colocalization between ERβ- and AVP- or OT-ir within magnocellular neurons in the SON provides a means by which estrogen can directly regulate the secretion of these neuropeptides from the posterior pituitary into the systemic circulation.
An interesting comparison can be made between our findings and those by a group that examined androgen receptor (AR) localization in OT or AVP-containing neurons in the male rat (24). Although approximately one-half of the OT neurons, but only about 5% of the AVP population, specifically within the mpvPVN were found to contain AR-ir, no OT or AVP-containing magnocellular neurons were found to contain AR-ir in the PVN nor the SON (24). Although we did not include male rats in the current study, we have observed a similar distribution of ERβ-ir in both sexes (S.E.A., unpublished results). Whether the AR-containing cells in the parvicellular PVN are the same as those demonstrating ERβ-ir, or represent the other “half” of the OT population, we cannot say at this time. Interestingly, in the rat bed nucleus of the stria terminalis and medial amygdala, the majority (≈90%) of AVP-containing cells appear to demonstrate both ERα-ir (14) and AR-ir (24). Thus, data from Zhouet al. (24), together with the present findings, indicate that a population of parvicellular OT neurons (and perhaps a small number of AVP cells) in the rat PVN can be directly modulated via androgenic and/or estrogenic action. However, magnocellular neurons appear to be directly regulated specifically via an ER-mediated action. The present findings indicate that direct estrogen regulation is likely to occur specifically through the ERβ isoform.
Two to 3 days of estrogen exposure results in a decrease in nuclear ERα-ir in several brain regions (25,26), whereas 1 h exposure, sufficient time for hormone-receptor binding, does not alter ERα-ir (26). These findings suggest a ligand-induced down-regulation of the ERα. We did not observe down-regulation of ERβ in OVX+E compared with OVX groups based upon the immuno-intensity, or in the number of labeled cells. Together, these findings suggest that ligand-mediated regulation of ERβ expression may differ from that of the ERα isoform. In addition, no significant hormone-mediated differences were found in the number of cells demonstrating OT-ir within the quantifiable parvicellular regions. This finding is in agreement with previous findings, which demonstrated that the OT-ir of cells found outside of the PVN and SON, but not within these nuclei, is sensitive to estrogen modulation (27).
Species differences in estrogen regulation of the PVN and SON systems may exist. For example, the majority of OT-containing magnocellular neurons within the guinea pig PVN and SON have been shown to demonstrate immunolabel against a rat mAb to ER (28), presumably to the α isoform. This result would be in sharp contrast with the rat, which does not appear to express ERα within these nuclei. Furthermore, not all of the OT-ir-containing cells in the rat PVN and SON appear to be estrogen targets. We are not certain whether the antibody used in the guinea pig experiment several years ago was specific to ERα, or whether it could cross react with the recently identified β isoform. To our knowledge, the ERβ isoform has not yet been identified in the guinea pig. It will be interesting to see if, and when, identification will occur in this species, and whether all species will eventually be found to contain the ERβ.
In summary, the localization of ERβ-ir within OT and AVP neurons of the PVN and SON demonstrates a likely means by which E can modulate these specific neuropeptide systems in the rat brain. In a broader sense, these data serve as an additional piece to the puzzle that has existed in the literature, namely the inconsistencies between the distributions of estrogen-concentrating cells and ER-ir. Thus, it now seems clear that it is via the ERβ that OT neurons of the PVN concentrate [3H]estrogen. Future studies involving ERβ distribution and regulation will undoubtably uncover many more pieces to this puzzle.
Acknowledgments
We thank Dr. Wylie Vale of the Salk Institute for the generous donation of the CRH antibody, Dr. Lawrence Reagen for his insightful discussions and advice, and Dr. Miyuki Sadamatsu for her technical assistance on this project. This work was supported by National Institutes of Health Grants F32 NS10047 to S.E.A., NS07080 to B.S.M., and NS30105 to N.G.W.
ABBREVIATIONS
- ERβ
estrogen receptor β
- PVN
paraventricular nucleus
- SON
supraoptic nucleus
- -ir
immunoreactivity
- OVX
ovariectomized
- E
estradiol-17β
- AVP
arginine-vasopressin
- CRH
corticotropin releasing hormone
- OT
oxytocin
- mpvPVN
medial parvicellular part, ventral zone
- mpdPVN
medial parvicellular part, dorsal zone
- lpPVN
lateral parvicellular part
- B
bregma
References
- 1.Kuiper G G J M, Enmark E, Pelto-Huikko M, Nilsson S, Gustafsson J-A. Proc Natl Acad Sci USA. 1996;93:5925–5930. doi: 10.1073/pnas.93.12.5925. [DOI] [PMC free article] [PubMed] [Google Scholar]
- 2.Mosselman S, Polman J, Dijkema R. FEBS Lett. 1996;392:49–53. doi: 10.1016/0014-5793(96)00782-x. [DOI] [PubMed] [Google Scholar]
- 3.Tremblay G B, Tremblay A, Copeland N G, Gilbert D J, Jenkins N, Labrie F, Giguere V. Mol Endocrinol. 1997;11:353–365. doi: 10.1210/mend.11.3.9902. [DOI] [PubMed] [Google Scholar]
- 4.Kuiper G G J M, Carlsson B, Grandien K, Enmark E, Haggblad J, Nilsson S, Gustafsson J-A. Endocrinology. 1997;138:863–870. doi: 10.1210/endo.138.3.4979. [DOI] [PubMed] [Google Scholar]
- 5.Paech K, Webb P, Kuiper G G J M, Nilsson S, Gustafsson J-A, Kushner P, Scanlan T S. Science. 1997;277:1508–1510. doi: 10.1126/science.277.5331.1508. [DOI] [PubMed] [Google Scholar]
- 6.Shughrue P J, Komm B, Merchenthaler I. Steroids. 1996;61:678–681. doi: 10.1016/s0039-128x(96)00222-x. [DOI] [PubMed] [Google Scholar]
- 7.Shughrue P J, Lane M V, Merchenthaler I. J Comp Neurol. 1997;388:507–525. doi: 10.1002/(sici)1096-9861(19971201)388:4<507::aid-cne1>3.0.co;2-6. [DOI] [PubMed] [Google Scholar]
- 8.Li X, Schwartz P E, Rissman E F. Neuroendocrinology. 1997;66:63–67. doi: 10.1159/000127221. [DOI] [PubMed] [Google Scholar]
- 9.Sar M, Stumpf W E. Neurosci Lett. 1980;17:179–184. doi: 10.1016/0304-3940(80)90081-6. [DOI] [PubMed] [Google Scholar]
- 10.Rhodes C H, Morrell J I, Pfaff D W. Neuroendocrinology. 1981;33:18–23. doi: 10.1159/000123195. [DOI] [PubMed] [Google Scholar]
- 11.Rhodes C H, Morrell J I, Pfaff D W. J Neurosci. 1982;2:1718–1724. doi: 10.1523/JNEUROSCI.02-12-01718.1982. [DOI] [PMC free article] [PubMed] [Google Scholar]
- 12.Corodimas K P, Morrell J I. J Comp Neurol. 1990;291:609–620. doi: 10.1002/cne.902910408. [DOI] [PubMed] [Google Scholar]
- 13.Cintra A, Fuxe K, Harfstrand A, Agnati L F, Miller L S, Greene J L, Gustaffson J-A. Neurochem Int. 1986;8:587–595. doi: 10.1016/0197-0186(86)90196-8. [DOI] [PubMed] [Google Scholar]
- 14.Axelson J F, Van Leeuwen F W. J Neuroendocrinol. 1990;2:209–216. doi: 10.1111/j.1365-2826.1990.tb00852.x. [DOI] [PubMed] [Google Scholar]
- 15.Skowsky W R, Swan L, Smith P. Endocrinology. 1979;104:105–108. doi: 10.1210/endo-104-1-105. [DOI] [PubMed] [Google Scholar]
- 16.Yamaguchi K, Akaishi T, Negoro H. Endocrinol Jpn. 1979;26:197–205. doi: 10.1507/endocrj1954.26.197. [DOI] [PubMed] [Google Scholar]
- 17.Mohr E, Schmitz E. Mol Brain Res. 1991;9:293–298. doi: 10.1016/0169-328x(91)90075-9. [DOI] [PubMed] [Google Scholar]
- 18.Paxinos G, Watson C. The Rat Brain in Stereotaxic Coordinates. Sydney: Academic; 1986. [DOI] [PubMed] [Google Scholar]
- 19.Swanson L W. Brain Maps: Structure of the Rat Brain. New York: Elsevier; 1992. [Google Scholar]
- 20.Swanson L W, Kuypers H G J M. J Comp Neurol. 1980;194:555–570. doi: 10.1002/cne.901940306. [DOI] [PubMed] [Google Scholar]
- 21.Swanson L W, Sawchenko P E. Neuroendocrinology. 1980;31:410–417. doi: 10.1159/000123111. [DOI] [PubMed] [Google Scholar]
- 22.Sawchenko P E, Swanson L W. J Comp Neurol. 1982;205:260–272. doi: 10.1002/cne.902050306. [DOI] [PubMed] [Google Scholar]
- 23.Swanson L W, Sawchenko P E, Weigand S J, Price J L. Brain Res. 1980;198:190–195. doi: 10.1016/0006-8993(80)90354-6. [DOI] [PubMed] [Google Scholar]
- 24.Zhou L, Blaustein J D, De Vries G J. Endocrinology. 1994;134:2622–2627. doi: 10.1210/endo.134.6.8194487. [DOI] [PubMed] [Google Scholar]
- 25.Weiland N G, Hayashi S, Orikasa C, McEwen B S. J Comp Neurol. 1997;388:603–612. doi: 10.1002/(sici)1096-9861(19971201)388:4<603::aid-cne8>3.0.co;2-6. [DOI] [PubMed] [Google Scholar]
- 26.Alves S E, Weiland N G, Hayashi S, McEwen B S. J Comp Neurol. 1998;391:322–334. [PubMed] [Google Scholar]
- 27.Jirikowski G F, Caldwell J D, Pedersen C A, Stumpf W E. Neuroscience. 1988;25:237–248. doi: 10.1016/0306-4522(88)90022-x. [DOI] [PubMed] [Google Scholar]
- 28.Warembourg M, Poulain P. Neuroscience. 1991;40:41–53. doi: 10.1016/0306-4522(91)90173-l. [DOI] [PubMed] [Google Scholar]



