























본 발명은 학습 기구에 관한 것으로서, 더욱 상세하게는 화상 이미지를 사용하는 학습 기구에 관한 것이다.BACKGROUND OF THE
사용자의 학습을 돕기 위한 학습 보조 기구로 영 단어집과 같은 책부터, 전자 사전, 동영상 강의 및 깜빡이라 불리는 전자장비까지 다양한 기자재가 개발되었고 시판되고 있다. 또한, 사용자가 암기학습을 하기 위한 방법으로, 마인드맵이나 공간을 활용하여 암기를 수행하는 다수의 암기법이 알려져 있다.A variety of equipment, from books such as English vocabulary, electronic dictionaries, video lectures, and electronic equipment called blinks, have been developed and marketed as learning aids to help users learn. In addition, as a method for users to learn memorization, there are known a plurality of memorizing methods for memorizing by utilizing a mind map or a space.
그러나 학습이나 암기를 수행하도록 보조하여 주는 장비는 단순한 반복학습 및 반복 암기 방법 만을 사용자에게 제시하여 사용자는 학습 및 암기학습을 비효율적으로 진행하게 된다.However, the equipment that assists learning or memorization provides the user with only simple iterative learning and iterative memorization methods, and the user proceeds inefficiently learning and memorizing learning.
공간을 활용하여 암기를 수행하게 하는 방법들은 사용자가 상상력을 발휘하거나, 일일이 그림을 수기로 그려가며 수행하여야 하여 번거롭다는 단점이 존재한다.There are disadvantages in that the methods for performing memorization by utilizing space are troublesome because the user has to perform imagination or to perform the drawing by hand in drawing.
상기한 문제를 해결하기 위한 본 발명의 목적은 학습 시 화상 이미지의 위치에 따른 배열을 사용하여 사용자의 학습을 보조하는 방법 및 장치를 제공하는 것이다.SUMMARY OF THE INVENTION An object of the present invention is to provide a method and apparatus for assisting a user in learning by using an arrangement according to the position of an image at the time of learning.
상기한 문제를 해결하기 위한 본 발명의 일 실시 예들에 따른 학습 시뮬레이션 모델 방법은 화상장치에서 수행되는 학습 시뮬레이션 모델 방법에 있어서, 학습내용을 기록하기 위한 이미지를 표시하는 단계; 상기 이미지에서 학습 내용이 기록될 기록 위치를 입력 받는 단계; 상기 기록 위치에 기록될 학습 내용을 입력 받는 단계; 및 상기 기록 위치와 상기 학습 내용을 관련 지어 저장하는 단계를 포함한다.According to another aspect of the present invention, there is provided a learning simulation model method for performing a learning simulation on an image device, the method comprising: displaying an image for recording learning contents; Receiving a recording position at which a learning content is to be recorded in the image; Receiving learning contents to be recorded at the recording position; And storing the recording position and the learning contents in association with each other.
상기 이미지는 삼차원 이미지일 수 있다.The image may be a three-dimensional image.
상기 이미지에서 학습 내용이 기록될 기록 위치를 입력 받는 단계는, 사용자의 기록 위치 입력이 있을 때, 입력 위치를 나타내는 아이콘이 지정하는 위치를 상기 이미지에서 학습 내용이 기록될 위치로 선택하는 단계를 포함할 수 있다.The step of receiving the recording position in which the learning content is to be recorded in the image includes a step of selecting a position designated by the icon indicating the input position as a position at which the learning content is to be recorded in the image when the recording position of the user is input can do.
상기 학습내용을 기록하기 위한 이미지를 표시하는 단계는, 삼차원 이미지 맵에서 관측 위치에 따라 상기 삼차원 이미지를 생성하고, 상기 관측 위치를 사용자의 입력에 따라 변경하는 단계; 상기 삼차원 이미지 맵에서 상기 변경된 관측 위치에 따라 상기 삼차원 이미지를 생성하는 단계; 및 상기 생성된 삼차원 이미지를 표시하는 단계를 포함할 수 있다.The step of displaying an image for recording the learning contents may include: generating the 3D image according to an observation position in a 3D image map and changing the observation position according to a user's input; Generating the three-dimensional image according to the changed observation position in the three-dimensional image map; And displaying the generated three-dimensional image.
상기 학습내용을 기록하기 위한 이미지를 표시하는 단계는 상기 삼차원 이미지 맵에서 관측 위치가 변경될 수 있는 위치를 표시하는 단계를 더 포함할 수 있다.The step of displaying the image for recording the learning contents may further comprise the step of displaying a position where the observation position can be changed in the three-dimensional image map.
상기 기록 위치에 해당되는 영상의 부분은 사용자의 입력에 따라 변형되어 표시될 수 있다.The portion of the video corresponding to the recording position may be displayed in a modified form according to the input of the user.
상기 기록 위치에 기록될 학습 내용을 입력 받는 단계는 상기 학습 내용을 마인드맵, 표면단위, 단어연관, 이해단계, 연관트리, 심층연관, 및 추상그림 중 적어도 어느 하나의 형식으로 입력 받는 단계를 포함할 수 있다.The step of receiving the learning contents to be recorded in the recording position includes receiving the learning contents in the form of at least one of a mind map, a surface unit, a word association, an understanding step, an association tree, a deep association, can do.
상기 기록 위치는 복수 개 존재하고, 상기 하나의 기록 위치를 다른 적어도 하나의 기록 위치와 연관시키는 단계를 더 포함할 수 있다.The recording position may be plural, and the recording position may further include associating the single recording position with at least one other recording position.
상기 저장된 상기 복수의 학습 내용을 시나리오화 하여 표현하는 단계를 포함할 수 있다.And displaying the stored learning contents in a scenario form.
상기 시나리오화 하는 단계는 상기 학습 내용을 저장한 선택 위치의 위치별 관계, 상기 선택 시점의 날자, 시간적 관계 중 어느 하나를 사용하여 상기 학습 내용의 개요 및 상세 내용 중 적어도 하나를 표시할 수 있다.The scenario making step may display at least one of an outline and a detailed content of the learning contents using any one of a positional relationship of the selected position storing the learning contents, a date of the selection time point, and a temporal relationship.
또한, 상기한 문제를 해결하기 위한 본 발명의 일 실시 예들에 따른 학습 시뮬레이션 모델 장치는 학습 시뮬레이션을 제공하는 화상장치에 있어서, 학습내용을 기록하기 위한 이미지를 표현하는 화면 표시부; 상기 이미지에서 학습 내용이 기록될 위치인 기록 위치 및 상기 기록 위치에 기록될 학습 내용을 입력 받는 입력부; 상기 기록 위치와 상기 학습 내용을 저장하는 데이터 저장부; 및 상기 화면 표시부에 상기 이미지를 표현하고, 상기 기록 위치와 상기 학습 내용을 관련 지어 데이터 저장부에 저장하는 제어부를 포함한다.According to another aspect of the present invention, there is provided an apparatus for providing a learning simulation, the apparatus including: a screen display unit for displaying an image for recording learning contents; An input unit for inputting a recording position in which the learning content is to be recorded in the image and a learning content to be recorded in the recording position; A data storage unit for storing the recording position and the learning contents; And a control unit for expressing the image on the screen display unit and storing the recording position and the learning content in a data storage unit in association with each other.
상기 이미지는 삼차원 이미지일 수 있다.The image may be a three-dimensional image.
상기 입력부는 사용자의 시선 방향을 인식하여 상기 이미지에서 학습 내용이 기록될 위치를 선택할 수 있도록 사용자의 입력 위치를 나타내는 아이콘을 조작하는 시선 추적 장치일 수 있다.The input unit may be a gaze tracking device that recognizes a user's gaze direction and operates an icon representing a user's input position so that the user can select a location where the learning content is to be recorded in the image.
상기 제어부는 상기 삼차원 이미지를 삼차원 이미지 맵에서의 관측 위치에 따라 생성하고, 상기 관측 위치는 사용자의 입력에 따라 변경될 수 있다.The controller generates the three-dimensional image according to the observation position in the three-dimensional image map, and the observation position may be changed according to the input of the user.
상기 화면표시부는 상기 삼차원 이미지 맵에서 관측 위치가 변경될 수 있는 위치를 더 포함하여 상기 삼차원 이미지를 표시하는 표현하는 단계를 더 포함할 수 있다.The screen display unit may further include a step of displaying the three-dimensional image by further including a position at which the observation position can be changed in the three-dimensional image map.
상기 제어부는 상기 기록 위치에 해당되는 영상의 부분을 사용자의 입력에 따라 변형하여 표시할 수 있다.The control unit may display a portion of the image corresponding to the recording position in accordance with a user's input.
상기 제어부는 상기 학습 내용을 마인드맵, 표면단위, 단어연관, 이해단계, 연관트리, 심층연관, 및 추상그림 중 적어도 어느 하나의 형식으로 표현할 수 있다.The control unit may represent the learning contents in at least one of a mind map, a surface unit, a word association, an understanding step, an association tree, a deep association, and an abstract picture.
상기 기록 위치는 복수개 존재하고, 상기 제어부는 상기 하나의 기록 위치를 다른 적어도 하나의 기록 위치와 연관시킬 수 있다.The plurality of recording positions are present, and the control unit may associate the one recording position with at least one other recording position.
상기 데이터 저장부는 복수의 학습내용을 포함하고, 상기 제어부는 상기 복수의 상기 학습 내용을 시나리오화 하여 표현할 수 있다.The data storage unit may include a plurality of learning contents, and the control unit may render the plurality of learning contents in a scenario form.
상기 제어부는 상기 학습 내용을 저장한 선택 위치의 위치별 관계, 상기 선택 시점의 날자, 시간적 관계 중 어느 하나를 사용하여 상기 학습 내용을 시나리오화하고, 상기 학습 내용의 개요 및 상세 내용 중 적어도 하나를 표시할 수 있다.Wherein the control unit makes the learning content a scenario by using any one of a positional relationship of the selection position storing the learning content, a date of the selection time point, and a temporal relationship, and at least one of an outline and a detailed content of the learning content Can be displayed.
전술한 본 발명의 일 실시 예들에 따른 학습 시뮬레이션 모델 방법 및 장치는 이차원 또는 삼차원 이미지로 생성된 가상 공간에 학습 내용을 매칭하고, 이를 시뮬레이션 하며 시나리오로 저장하여 사용자가 반복학습 할 수 있도록 하여 사용자의 학습 능률을 향상시키는 효과를 가진다.The learning simulation model method and apparatus according to one embodiment of the present invention can match learning contents to a virtual space generated by a two-dimensional or three-dimensional image, simulate the learning contents, store them as scenarios, It has an effect of improving the learning efficiency.
도 1은 본 발명의 일 실시 예에 따른 학습 시뮬레이션 모델 장치의 블록도이다.
도 2는 본 발명의 일 실시 예에 따른 학습 시뮬레이션 모델이 적용된 스탠드를 도시한 도면이다.
도 3은 본 발명의 일 실시 예에 따른 학습 시뮬레이션 모델 방법의 순서도이다.
도 4a 내지 도 4c는 본 발명의 일 실시 예에 따른 학습 시뮬레이션 모델 방법에 따라 화면이 전환되는 과정에서 표시되는 화면이다.
도 5a 내지 도 5d는 본 발명의 일 실시 예에 따른 학습 시뮬레이션 모델 방법에 따라 학습내용이 기록되는 과정에서 표시되는 화면이다.
도 6a 내지 도 6c는 본 발명의 일 실시 예에 따른 학습 시뮬레이션 모델 방법에 따라 링크가 생성되는 과정에서 표시되는 화면이다.
도 7a 내지 도 7b는 본 발명의 일 실시 예에 따른 학습 시뮬레이션 모델 방법에 따라 링크가 사용되는 과정에서 표시되는 화면이다.
도 8a 내지 도 8c는 본 발명의 일 실시 예에 따른 학습 시뮬레이션 모델 방법이 3차원 지도를 사용하는 경우에 표시되는 화면이다.
도 9a 내지 도 9b는 본 발명의 일 실시 예에 따른 학습 시뮬레이션 모델 방법이 3차원 지도를 사용하는 경우에 표시되는 화면이다.
도 10a 내지 도 10b는 본 발명의 일 실시 예에 따른 학습 시뮬레이션 모델 방법이 시뮬레이션을 생성하는 경우에 표시되는 화면이다.
도 11은 본 발명의 일 실시 예에 따른 학습 시뮬레이션 모델 방법이 시뮬레이션을 생성하는 순서를 도시한 순서도이다.
도 12는 본 발명의 일 실시 예에 따른 학습 시뮬레이션 모델 방법에서 사용되는 마인드맵을 도시한 도면이다.1 is a block diagram of a learning simulation model apparatus according to an embodiment of the present invention.
 2 is a diagram showing a stand to which a learning simulation model according to an embodiment of the present invention is applied.
 3 is a flowchart of a learning simulation modeling method according to an embodiment of the present invention.
 4A to 4C are screens displayed in the course of screen switching according to the learning simulation modeling method according to an embodiment of the present invention.
 5A to 5D are screens displayed in a process of recording learning contents according to a learning simulation model method according to an embodiment of the present invention.
 6A to 6C are screens displayed in a process of generating a link according to a learning simulation model method according to an embodiment of the present invention.
 FIGS. 7A and 7B are screens displayed in a process of using a link according to a learning simulation model method according to an embodiment of the present invention.
 8A to 8C are views displayed when the learning simulation model method according to an embodiment of the present invention uses a three-dimensional map.
 FIGS. 9A and 9B are screens displayed when the learning simulation model method according to an embodiment of the present invention uses a three-dimensional map.
 10A and 10B are screens displayed when the learning simulation model method according to an embodiment of the present invention generates a simulation.
 11 is a flowchart showing a sequence of generating a simulation by a learning simulation model method according to an embodiment of the present invention.
 12 is a diagram showing a mind map used in a learning simulation modeling method according to an embodiment of the present invention.
본 발명은 다양한 변경을 가할 수 있고 여러 가지 실시 예를 가질 수 있는 바, 특정 실시 예들을 도면에 예시하고 상세하게 설명하고자 한다.While the invention is susceptible to various modifications and alternative forms, specific embodiments thereof are shown by way of example in the drawings and will herein be described in detail.
그러나, 이는 본 발명을 특정한 실시 형태에 대해 한정하려는 것이 아니며, 본 발명의 사상 및 기술 범위에 포함되는 모든 변경, 균등물 내지 대체물을 포함하는 것으로 이해되어야 한다.It should be understood, however, that the invention is not intended to be limited to the particular embodiments, but includes all modifications, equivalents, and alternatives falling within the spirit and scope of the invention.
제1, 제2 등의 용어는 다양한 구성요소들을 설명하는데 사용될 수 있지만, 상기 구성요소들은 상기 용어들에 의해 한정되어서는 안 된다. 상기 용어들은 하나의 구성요소를 다른 구성요소로부터 구별하는 목적으로만 사용된다. 예를 들어, 본 발명의 권리 범위를 벗어나지 않으면서 제1 구성요소는 제2 구성요소로 명명될 수 있고, 유사하게 제2 구성요소도 제1 구성요소로 명명될 수 있다. 및/또는 이라는 용어는 복수의 관련된 기재된 항목들의 조합 또는 복수의 관련된 기재된 항목들 중의 어느 항목을 포함한다.The terms first, second, etc. may be used to describe various components, but the components should not be limited by the terms. The terms are used only for the purpose of distinguishing one component from another. For example, without departing from the scope of the present invention, the first component may be referred to as a second component, and similarly, the second component may also be referred to as a first component. And / or < / RTI > includes any combination of a plurality of related listed items or any of a plurality of related listed items.
어떤 구성요소가 다른 구성요소에 "연결되어" 있다거나 "접속되어" 있다고 언급된 때에는, 그 다른 구성요소에 직접적으로 연결되어 있거나 또는 접속되어 있을 수도 있지만, 중간에 다른 구성요소가 존재할 수도 있다고 이해되어야 할 것이다. 반면에, 어떤 구성요소가 다른 구성요소에 "직접 연결되어" 있다거나 "직접 접속되어" 있다고 언급된 때에는, 중간에 다른 구성요소가 존재하지 않는 것으로 이해되어야 할 것이다.It is to be understood that when an element is referred to as being "connected" or "connected" to another element, it may be directly connected or connected to the other element, . On the other hand, when an element is referred to as being "directly connected" or "directly connected" to another element, it should be understood that there are no other elements in between.
본 출원에서 사용한 용어는 단지 특정한 실시 예를 설명하기 위해 사용된 것으로, 본 발명을 한정하려는 의도가 아니다. 단수의 표현은 문맥상 명백하게 다르게 뜻하지 않는 한, 복수의 표현을 포함한다. 본 출원에서, "포함하다" 또는 "가지다" 등의 용어는 명세서상에 기재된 특징, 숫자, 단계, 동작, 구성요소, 부품 또는 이들을 조합한 것이 존재함을 지정하려는 것이지, 하나 또는 그 이상의 다른 특징들이나 숫자, 단계, 동작, 구성요소, 부품 또는 이들을 조합한 것들의 존재 또는 부가 가능성을 미리 배제하지 않는 것으로 이해되어야 한다.The terminology used in this application is used only to describe a specific embodiment and is not intended to limit the invention. The singular expressions include plural expressions unless the context clearly dictates otherwise. In the present application, the terms "comprises" or "having" and the like are used to specify that there is a feature, a number, a step, an operation, an element, a component or a combination thereof described in the specification, But do not preclude the presence or addition of one or more other features, integers, steps, operations, elements, components, or combinations thereof.
다르게 정의되지 않는 한, 기술적이거나 과학적인 용어를 포함해서 여기서 사용되는 모든 용어들은 본 발명이 속하는 기술 분야에서 통상의 지식을 가진 자에 의해 일반적으로 이해되는 것과 동일한 의미를 가지고 있다. 일반적으로 사용되는 사전에 정의되어 있는 것과 같은 용어들은 관련 기술의 문맥 상 가지는 의미와 일치하는 의미를 가진 것으로 해석되어야 하며, 본 출원에서 명백하게 정의하지 않는 한, 이상적이거나 과도하게 형식적인 의미로 해석되지 않는다.
Unless defined otherwise, all terms used herein, including technical or scientific terms, have the same meaning as commonly understood by one of ordinary skill in the art to which this invention belongs. Terms such as those defined in commonly used dictionaries should be interpreted as having a meaning consistent with the meaning in the context of the relevant art and are to be interpreted in an ideal or overly formal sense unless explicitly defined in the present application Do not.
이하, 첨부한 도면들을 참조하여, 본 발명의 바람직한 실시 예를 보다 상세하게 설명하고자 한다. 본 발명을 설명함에 있어 전체적인 이해를 용이하게 하기 위하여 도면상의 동일한 구성요소에 대해서는 동일한 참조부호를 사용하고 동일한 구성요소에 대해서 중복된 설명은 생략한다.
Hereinafter, preferred embodiments of the present invention will be described in detail with reference to the accompanying drawings. In order to facilitate the understanding of the present invention, the same reference numerals are used for the same constituent elements in the drawings and redundant explanations for the same constituent elements are omitted.
본 발명의 일 실시 예에 따른 학습 시뮬레이션 모델 장치는 사용자의 시각 인지력과 공간 인지력을 활용하여 사용자가 학습을 수행하도록 하는 공간 인지 학습 방법이다.The learning simulation model device according to an embodiment of the present invention is a space cognitive learning method that allows a user to perform learning using visual perception and spatial perception of a user.
본 발명의 일 실시 예에 따른 학습 시뮬레이션 모델 장치는 특정 이미지를 제공하고, 그 이미지의 특정 부분에 단어를 관련 지어 시나리오로 생성하여 사용자에게 제시함으로써, 사용자가 이미지의 특정 부분과 제시된 단어를 함께 인식함으로써 단어를 보다 쉽게 학습할 수 있도록 한다.The learning simulation model device according to an embodiment of the present invention provides a specific image, associates words with a specific part of the image, creates a scenario as a scenario, and presents the scenario to a user so that a user can recognize a specific part of the image and a presented word together So that words can be learned more easily.
본 발명의 일 실시 예에 따른 학습 시뮬레이션 모델 장치가 제시하는 이미지의 특정 부분은 제시되는 단어와 의미적으로 관련되는 사물이나 감정을 표현하는 추상적 이미지일 수 있다.A specific portion of the image presented by the learning simulation model device according to an embodiment of the present invention may be an abstract image expressing objects or emotions that are semantically related to the presented word.
본 발명의 일 실시 예에 따른 학습 시뮬레이션 모델 장치는 제시되는 단어를 이야기로 꾸며 시나리오화 하여 전술한 방법으로 특정 이미지와 관련지어 사용자에게 제시할 수도 있다.
The learning simulation model apparatus according to an embodiment of the present invention can present presented words to a user by associating them with a specific image in the manner described above by decorating the presented words into scenarios.
도 1은 본 발명의 일 실시 예에 따른 학습 시뮬레이션 모델 장치의 블록도이다. 본 발명의 일 실시 예에 따른 학습 시뮬레이션 모델 장치는 사용자로부터 데이터 입력을 받는 입력부(120), 사용자에게 데이터를 표시하는 표시부(130), 데이터를 저장하는 데이터 저장부(140) 및 데이터 처리를 수행하고 입력부(120), 표시부(130) 및 데이터 저장부(140)를 제어하는 제어부(110)를 포함한다. 본 발명의 일 실시 예에 따른 학습 시뮬레이션 모델 장치는 특정 이미지에 사용자가 기억하고자 하는 내용을 연관 지어 기록한다.1 is a block diagram of a learning simulation model apparatus according to an embodiment of the present invention. The learning simulation model apparatus according to an embodiment of the present invention includes an
제어부(110)는 입력부(120), 표시부(130) 및 데이터 저장부(140)를 제어한다. 제어부(110)는 표시부(130)를 사용하여 사용자에게 표현될 이미지와 학습 내용을 생성한다. 제어부(110)는 이미지의 특정 부분에 학습 내용이 표현되도록 이미지와 학습 내용의 관계를 생성하고, 이를 사용하여 표시부(130)를 통해 표현될 영상 이미지를 생성함으로써, 제어부(110)는 표시부(130)를 통해 이미지와 학습내용을 함께 표시하고, 이미지 또는 이미지의 특정 부분과 학습내용의 관계를 사용자가 인식할 수 있게 한다.The
표시부(130)를 통해 표현되는 이미지는 이차원 이미지이거나 삼차원 이미지 일수 있다. 또한, 표시되는 이미지는 시간이 고정된 스틸 이미지나 사진 이미지 일수 있고, 시간에 따라 변하는 동영상 이미지 일 수도 있다.The image represented through the
제어부(110)는 입력부(120)에서 받은 사용자의 입력에 따라 또는 기 설정된 값에 따라 이미지를 선정한다. 제어부(110)는 추후 학습 내용에 따라 이미지를 선정할 수도 있다.The
제어부(110)는 표시부(130)를 통해 삼차원 이미지를 사용자에게 나타내는 경우 삼차원 이미지 데이터를 생성한다. 제어부(110)는 삼차원 이미지 맵에서의 특정 관측 위치에 따라 보여지는 대로 삼차원 이미지를 생성한다. 삼차원 이미지 맵을 달리할 경우 생성되는 삼차원 이미지는 상이하고, 같은 삼차원 이미지 맵을 사용하더라도 삼차원 이미지 맵 상에서의 관측 위치, 관측 방향에 따라 생성되는 삼차원 이미지는 상이하다.The
관측 위치와 관측 방향은 사용자의 입력에 따라 변경될 수 있다. 제어부(110)는 관측 위치와 관측 방향을 입력부(120)을 사용하여 사용자로부터 인식한다. 제어부(110)는 관측 위치 및 관측 방향 중 적어도 어느 하나를 입력부(120)로부터 인가 받아 관측위치 및 관측 방향 중 적어도 어느 하나를 변경하여 삼차원 이미지 맵에 적용하여 변경된 삼차원 이미지를 생성할 수 있다.The observation position and the observation direction can be changed according to the input of the user. The
제어부(110)는 사용자가 선택 가능한 관측 위치와 관측 방향을 사용자에게 표시부(130)를 통하여 제시할 수 있다. 이러한 경우, 제어부(110)는 삼차원 이미지 맵과 삼차원 이미지 맵에서 관측 위치가 변경될 수 있는 위치를 생성하여 표시부(130)를 통하여 사용자에게 나타낼 수 있다. 또는 제어부(110)는 생성되는 삼차원 이미지에 삼차원 이미지에서 사용자가 선택할 수 있는 관측 위치와 관측 방향을 표시하여 표시부(130)를 통해 사용자에게 나타낼 수 있다. 제어부(110)는 이러한 관측 위치와 방향을 지시선을 사용하여 사용자에게 나타낼 수 있다. 이외에, 제어부(110)는 기타 공지의 방법을 사용하여 삼차원 이미지를 생성할 수도 있다.
The
제어부(110)는 사용자가 입력부(120)를 사용하여 입력한 학습 내용 및 학습내용이 이미지와 관련되는 이미지의 특정 부분인 기록 위치를 입력부(120)로부터 전달 받는다. 제어부(110)는 기록 위치를 사용하여 학습 내용과 이미지의 특정 부분을 연관 지어 표시부(130)를 통해 사용자에게 표시하고, 데이터 저장부(140)에 저장한다. 제어부(110)는 학습 내용을 이미지의 특정 부분에 표시 하는 것으로 이러한 연관을 표현할 수 있다.The
제어부(110)는 상기 학습 내용을 마인드맵, 표면단위, 단어연관, 이해단계, 연관트리, 심층연관, 및 추상그림 중 적어도 어느 하나의 형식으로 나타낼 수 있다. 여기서 표면단위는 단어를 시간적 또는 공간적으로 사용자에게 순차적으로 제시하는 형식이다. 단어 연관은 학습 하려는 다수의 단어를 단어들의 조합 관계나 연결관계와 함께 나타내는 형식이다. 이해단계는 학습 하려는 다수의 단어 간 의미가 내포되는 부위를 함께 나타내는 형식이다. 연관트리는 학습 하려는 단어와 의미 연관되는 다른 단어나 이미지를 함께 나타내는 형식이다. 심층연관은 학습하려는 단어와 그로부터 파생되는 단어나 이미지를 포함하여 나타내는 형식이다. 마인드맵은 학습 단어로부터 연관 관계를 가지는 단어들이 파생되어 나가는 형식이다. 그리고 추상 그림은 학습하려는 개념으로부터 연상되는 이미지를 나타내는 형식이다.The
 도 12는 마인드맵의 예를 도시한다. 도 12는 본 발명의 일 실시 예에 따른 학습 시뮬레이션 모델 방법에서 사용되는 마인드맵을 도시한 도면이다. 도 12를 참조하여 마인드맵을 간단히 설명한다. 도 12의 정 중앙에 위치한 삼각형(1210)으로부터 의미 연관을 가지며 파생된 단어들의 집합이 복수의 루트로 도시되어 있다. 일 예로, 그 중 한 루트는 삼각형(1210)으로부터 피타고라스(1220)까지 의미 연관을 가지며 단어들이 파생되어 나가는 것이 나타나 있다. Fig. 12 shows an example of a mind map. 12 is a diagram showing a mind map used in a learning simulation modeling method according to an embodiment of the present invention. The mind map will be briefly described with reference to FIG. A set of derived words having a semantic association from the
제어부(110)는 사용자로부터 마인드맵, 표면단위, 단어연관, 이해단계, 연관트리, 심층연관, 및 추상그림 중 적어도 어느 하나의 형식으로 작성된 학습 내용을 입력 받을 수 있다. 또는 제어부(110)는 사용자로부터 학습 내용을 입력 받고 기존에 설정된 방식에 따라 입력된 학습 내용을 마인드맵, 표면단위, 단어연관, 이해단계, 연관트리, 심층연관, 및 추상그림 중 적어도 어느 하나의 형식으로 변경하여 새로운 학습 내용으로 저장할 수 있다.The
제어부(110)는 입력 받은 학습 내용을 전술한 이미지와 관련 짓는다. 학습 내용과 이미지와의 관련은 사용자의 입력에 따라 수행될 수 있다. 입력부(120)에서 전달된 사용자의 입력에 따라 제어부(110)는 학습내용을 이미지의 특정 부분과 관련짓는다. 또는 기존에 사용자가 설정한 방식에 따라 제어부(110)는 학습 내용을 이미지의 특정 부분인 기록 위치와 관련 지을 수 있다.The
이때, 입력 받은 학습 내용이 복수개이고, 하나의 이미지에 복수개의 기록위치가 존재하는 경우, 제어부(110)는 하나의 기록 위치인 제1 기록 위치를 적어도 다른 하나의 기록 위치인 제2 기록 위치와 연관 지을 수 있다. 제어부(110)는 제1 기록 위치에 제2 기록 위치로의 링크를 설정하여 둠으로써 제1 기록 위치와 제2 기록 위치와의 연관을 나타낼 수 있다.At this time, if there are a plurality of input learning contents and a plurality of recording positions exist in one image, the
또한, 제어부(110)는 복수개의 기록 위치가 존재하는 경우 각 기록 위치간의 관계를 나타낼 수 있다. 기록 위치간의 관계는 기록 위치에 기록된 학습 내용의 의미상 선후관계일 수 있고, 기록위치의 생성 시간적 선후관계일 수 있으며, 학습 내용을 선택한 시점의 날자나 시간적 관계와 같은 기 설정된 관계값일 수 있다. 제어부(110)는 기록 위치간의 관계를 사용하여 사용자에게 기록 위치간의 관계를 나타내어 사용자가 어떤 순서로 기록 위치들을 인식하여야 하는지 인식 순서를 나타낼 수 있다. 제어부(110)는 기록 위치간의 관계를 지시선, 지시라벨 등의 방법으로 사용자에게 나타낼 수 있다. 또한 제어부(110)는 이러한 기록 위치 간의 관계를 사용하여 사용자에게 학습 내용을 문장이나 슬라이드와 같은 시나리오로 나타낼 수 있다. 제어부(110)는 학습 내용의 개요 및 상세 내용 중 적어도 하나를 표시할 수 있다. 제어부(110)는 시나리오를 기 설정된 방법에 따라 입력된 학습 내용을 기초로 자동적으로 생성할 수 있으며, 이를 타이머를 설정하여 데이터 저장부(140)에 저장한 후 기억 망각 곡선을 활용하여 일정한 시점마다 사용자에게 저장된 시나리오를 보여주며 해당 학습 내용에 대한 사용자의 학습이 반복적으로 이루어질 수 있도록 할 수 있다.Also, the
또한 제어부(110)는 사용자가 이미지의 기록 위치와 학습 내용을 연관하여 생성된 학습 시나리오를 열람하는 과정에서 생성되는 페이지간 이동, 학습내용의 열람, 이미지의 변경 등과 같은 열람 기록을 사용하여 열람한 순서대로 별도의 시나리오를 생성하고, 생성된 시나리오를 전술한 방법과 같이 데이터 저장부에 저장하여 반복적으로 사용자에게 제공할 수도 있다.In addition, the
제어부(110)는 기록 위치에 해당되는 영상의 부분을 사용자의 입력에 따라 변형하여 표시할 수 있다. 예를 들어, 학습 내용이 기록될 이미지는 책상이고, 기록 위치는 컵이라고 할 때, 이미지에서 컵이 차지하는 면적에 비하여 학습 내용이 기록되어야 할 면적이 더 클 경우, 기록 위치인 컵의 이미지는 확대되어 이미지에 존재할 수 있다. 또는, 제어부(110)는 컵이 이미지의 다른 부분에 비하여 잘 인식 되도록, 사용자의 입력을 받아 컵의 색상, 크기, 길이 등을 변경하거나, 컵을 다른 이미지로 변경하거나, 컵에 스티커나 마크업 등을 수행하여 기록 위치에 해당하는 영상의 부분을 변경하여 표시할 수 있다.The
또한, 제어부(110)는 입력된 학습 내용, 시나리오에 저장된 학습내용 및 기록 위치 등을 입력부(120)에 입력된 사용자의 질의에 따라 검색하여 표시부(130)를 통하여 사용자에게 제공할 수 있다.In addition, the
입력부(120)는 상기 이미지에서 학습 내용이 기록될 위치인 기록 위치 및 상기 기록 위치에 기록될 학습 내용을 사용자로부터 입력 받아 제어부(110)로 전달한다. 입력부(120)는 키보드, 마우스 또는 사용자의 시선 방향을 인식하는 시선 처리 장치 일 수 있다. 입력부(120)는 사용자가 이미지에서 학습 내용이 기록될 위치를 선택할 수 있도록 사용자의 입력 위치를 나타내는 아이콘을 조작할 수 있도록 사용자의 입력을 받아들인다.제어부(110)는 선택 입력이 있을 때, 아이콘의 위치에 따라 기록 위치를 특정할 수 있다.The
또한, 본 발명의 일 실시 예에 따른 학습 시뮬레이션 모델 장치는 사용자 인증 장치가 얼굴을 인식해서 이름을 입력할 수 있는 것처럼, 이미지나 공간상의 도형이나 일정패턴을 자동적으로 인식하여 인식된 패턴의 조합을 바탕으로, 패턴의 경계면을 인식하여 사용자에게 패턴의 경계를 나타내고, 사용자의 시선 데이터를 기초로 상기 패턴의 경계면 및 특정 패턴 중 선택되는 패턴에 따른 영역을 사용자의 선택으로 제시함으로써 사용자가 위치의 지정을 쉽게 할 수 있도록 하여, 사용자는 아이트레킹을 통하여도 영역을 손쉽게 지정할 수 있게 하고, 데이터의 심화 내용 추적도 용이하게 할 수 있다.In addition, the learning simulation model device according to an embodiment of the present invention can automatically recognize a figure or a certain pattern on an image or a space, and can recognize a combination of recognized patterns as if the user authentication device can recognize a face and input a name The boundary of the pattern is recognized by the user, the boundary of the pattern is displayed on the basis of the user, and the user selects the area corresponding to the selected pattern from the boundary of the pattern and the specific pattern based on the user's line of sight data. So that the user can easily designate the area through the eye trekking and also can easily trace the deepening data of the data.
사용자는 이러한 패턴의 경계면을 눈으로 따라가면서 시각과 공간적 반복되는 시각 탐색 과제의 자극 배열 형태가 암묵적으로 학습되어 공간적 주의를 효율적으로 유도한다는 맥락 단서 효과(contextual cueing effect)에 따른 학습을 수행할 수 있다. 반복되고 익숙한 시각 탐색은 장기 기억이라는 다른 기제에 대한 접근을 용이하게 한다.The user can perform the learning according to the contextual cueing effect that the visual stimuli of the visual search task and the stimulus arrangement pattern of the visual search task are learned implicitly by following the eye of the boundary of the pattern and efficiently induce the spatial attention have. Repeated and familiar visual search facilitates access to other mechanisms of long-term memory.
또한, 본 발명의 일 실시 예에 따른 학습 시뮬레이션 모델 장치는 사용자의 음성을 입력 수단으로 할 수도 있다. 사용자의 음성을 이용하여 자동 선택 지정된 패턴에 따른 기록 위치와 지정된 기록 위치간의 순서에 학습 내용의 입력이 가능하여 그곳에 데이터를 바로 링크하고 음성에 대응되는 이미지를 삽입하고, 음성으로 학습 내용들이나 이미지 또는 시나리오들을 링크시키고 다른 데이터와 연결시키는 방식을 활용 할 수도 있다.
In addition, the learning simulation model apparatus according to an embodiment of the present invention may use a user's voice as input means. Automatic selection using the voice of the user The learning contents can be input in the order between the recording position and the designated recording position according to the designated pattern, and the data can be directly linked there, the image corresponding to the voice can be inserted, You can also take advantage of linking scenarios and linking them with other data.
표시부(130)는 제어부(110)의 제어에 따라 사용자에게 이미지, 학습 내용 및 제어부(110)로부터의 제어신호를 사용자에게 표시한다. 표시부(130)는 이미지에서 학습 내용이 기록될 위치를 선택할 수 있도록 사용자의 입력 위치를 나타내는 아이콘을 나타낼 수 있다.The
데이터 저장부(140)는 이미지, 기록 위치, 학습 내용 및 기록 위치와 학습내용의 관계 등을 저장한다.
The
도 2는 본 발명의 일 실시 예에 따른 학습 시뮬레이션 모델이 적용된 스탠드를 도시한 도면이다. 발명의 일 실시 예에 따른 학습 시뮬레이션 모델은 화상 장비를 가진 다양한 장비에 구현될 수 있다. 예를 들어 모니터, TV, 핸드폰, 컴퓨터 또는 노트북 들에 구현될 수 있다. 또한, 도 2와 같이 프로젝터를 가진 스탠드에도 구현될 수 있다.2 is a diagram showing a stand to which a learning simulation model according to an embodiment of the present invention is applied. The learning simulation model according to an embodiment of the invention can be implemented in various equipment with imaging equipment. For example, a monitor, a TV, a mobile phone, a computer, or a laptop. It can also be implemented in a stand with a projector as shown in Fig.
도 2를 참조하여 본 발명의 일 실시 예에 따른 학습 시뮬레이션 모델이 적용된 스탠드를 보다 상세히 설명한다. 본 발명의 일 실시 예에 따른 학습 시뮬레이션 모델이 적용된 스탠드는 받침과 스탬드 암 및 조명을 가진 일반적인 스탠드의 구성에 핸드폰 거치대(210)와 빔 프로젝터(220)를 더 포함한다.A stand to which a learning simulation model according to an embodiment of the present invention is applied will be described in more detail with reference to FIG. The stand to which the learning simulation model according to an embodiment of the present invention is applied further includes a
핸드폰 거치대(210)에는 핸드폰(211)이 거치되고 핸드폰(211)은 본 발명의 일 실시 에에 따른 학습 시뮬레이션 모델의 제어부(110), 입력부(120), 및 데이터 저장부(130)의 기능을 수행한다. 즉 핸드폰(211)의 프로세서는 제어부(110)의 기능을 수행하고, 핸드폰(211)의 전면 또는 후면 카메라, 터치키보드 및 입력키 중 적어도 어느 하나는 입력부(120)의 기능을 수행하며 핸드폰(211)의 메모리는 데이터 저장부(130)의 기능을 수행할 수 있다.The
빔 프로젝터(220)는 본 발명의 일 실시 예에 따른 학습 시뮬레이션 모델의 표시부(130)의 기능을 수행한다. 빔 프로젝터(220)에서 조사되는 빛은 책상이나 기타 다른 면에 도달하여 이미지를 사용자에게 표현한다.The
다른 실시 예에서, 본 발명의 일 실시 예에 따른 학습 시뮬레이션 모델이 적용된 스탠드는 핸드폰(211)의 적용 없이 스탠드가 모든 구성 요소를 포함하여 작동할 수도 있다.In another embodiment, the stand to which the learning simulation model according to one embodiment of the present invention is applied may operate with all the components including the stand without the application of the
도 3은 본 발명의 일 실시 예에 따른 학습 시뮬레이션 모델 방법의 순서도이다. 이하 본 발명의 일 실시 예에 따른 시뮬레이션 장치가 수행하는 본 발명의 일 실시 예에 따른 학습 시뮬레이션 모델 방법의 작동 순서를 설명한다. 먼저 시뮬레이션 장치는 가상공간을 생성한다(S310). 가상 공간이란, 학습내용이 기록될 이차원 이미지 또는 삼차원 이미지이다. 시뮬레이션 장치는 사용자에게 가상 공간을 표현한다. 다음으로, 시뮬레이션 장치는 사용자의 입력에 따라 기록 지점을 선택한다(S320). 그리고 시뮬레이션 장치는 사용자의 입력에 따라 학습 내용을 기록한다(S330). 여기서 시뮬레이션 장치가 기록 지점을 선택하는 단계와 학습 내용을 기록하는 단계는 순서가 바뀌거나 동시에 일어날 수 있다. 예를 들어, 기록 지점의 선택 없이 학습 내용이 기록 된 후에 기록 지점이 선택되고, 학습 내용이 기록 지점을 가지도록 수행될 수 있다. 마지막으로, 시뮬레이션 장치는 기록지점과 학습내용을 관련 지어 사용자에게 표시하고, 저장 장치에 저장한다(S340).3 is a flowchart of a learning simulation modeling method according to an embodiment of the present invention. Hereinafter, an operation sequence of a learning simulation model method according to an embodiment of the present invention performed by a simulation apparatus according to an embodiment of the present invention will be described. First, the simulation apparatus creates a virtual space (S310). The virtual space is a two-dimensional image or a three-dimensional image to which the learning contents are to be recorded. The simulation device represents the virtual space to the user. Next, the simulation apparatus selects a recording point according to a user's input (S320). The simulation apparatus records the learning contents according to the input of the user (S330). Here, the step of selecting the recording point by the simulation apparatus and the step of recording the learning contents may be changed in sequence or simultaneously. For example, the recording point may be selected after the learning content is recorded without selecting the recording point, and the learning content may be performed so as to have the recording point. Finally, the simulation apparatus associates the recording point with the learning content, displays it to the user, and stores it in the storage device (S340).
다른 실시 예에서, 도 3의 예에서 설명한 학습 시뮬레이션 모델 방법은 각 단계의 수행되는 순서를 달리하여 실시될 수 있다. 예를 들어, 학습 내용을 기록한다. 그리고 기 설정된 방법에 따라 시뮬레이션 장치가 이미지를 생성하거나, 시뮬레이션 장치에 저장된 복수의 이미지 중에서 사용자의 선택에 따라 학습내용에 연관된 이미지가 선택되어 학습내용에 연관될 이미지가 생성된다. 다음으로 시뮬레이션 장치가 기 설정된 방식에 따른 이미지의 기록 위치에 학습 내용을 연관 시키거나, 시뮬레이션 장치가 사용자의 선택에 따른 이미지의 기록 위치에 학습 내용을 연관시킬 수 있다.In another embodiment, the learning simulation model method described in the example of FIG. 3 may be implemented in a different order in which the steps are performed. For example, record your learning. The simulation apparatus generates an image according to a predetermined method, or an image related to the learning content is selected from a plurality of images stored in the simulation apparatus according to a user's selection, thereby generating an image to be associated with the learning content. Next, the simulation apparatus may associate the learning content with the recording position of the image according to the predetermined scheme, or the simulation apparatus may associate the learning content with the recording position of the image according to the user's selection.
이하 도 4 내지 도 10을 사용하여 본 발명의 일 실시 예에 따른 학습 시뮬레이션 모델 방법의 실시 예를 설명한다.Hereinafter, an embodiment of a learning simulation modeling method according to an embodiment of the present invention will be described with reference to FIGS. 4 to 10. FIG.
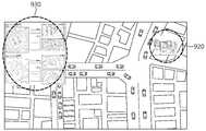
도 4a 내지 도 4c는 본 발명의 일 실시 예에 따른 학습 시뮬레이션 모델 방법에 따라 화면이 전환되는 과정에서 표시되는 화면이다. 도 4a 내지 도 4c를 참조하여 본 발명의 일 실시 예에 따른 학습 시뮬레이션 모델 장치의 화면 전환을 설명한다.4A to 4C are screens displayed in the course of screen switching according to the learning simulation modeling method according to an embodiment of the present invention. 4A to 4C, screen switching of the learning simulation model device according to an embodiment of the present invention will be described.
도 4a는 가상 공간을 나타내는 이미지를 도시한다. 도 4a는 이차원 이미지이지만, 다른 실시 예에서 삼차원 이미지로 사용자에게 제공될 수도 있다. 도 4b는 도 4a의 이미지의 선택 가능한 특정 부분(410)을 도시한다. 도시된 예와 달리 선택 가능한 특정 부분은 복수 개 일 수 있고, 선택 가능한 특정 부분은 도 4b와 같이 사용자에게 표시될 수 있으며, 또는 별도 표시 없이 존재할 수도 있다.  선택 가능한 특정 부분(410)을 사용자가 선택하면, 본 발명의 일 실시 예에 따른 학습 시뮬레이션 모델 장치는 해당 영역에 해당하는 장면을 도 4c와 같이 사용자에게 도시한다. 도 4c의 가상공간은 도 4b에서 선택된 특정 부분에 해당되는 가상 공간으로, 선택된 특정 부분에 의미적 연관을 가지는 공간으로, 아파트의 테라스를 사용자에게 나타난다. 도 4c의 예에서 420의 영역은 학습 내용이 기록된 기록위치이다. 사용자는 도 4c에서 기록위치(420)를 선택하여 학습 내용을 열람할 수 있다.
4A shows an image representing a virtual space. 4A is a two-dimensional image, but in another embodiment it may be provided to the user as a three-dimensional image. FIG. 4B illustrates a selectable portion 410 of the image of FIG. 4A. Unlike the illustrated example, there may be a plurality of selectable specific portions, and the selectable specific portions may be displayed to the user as shown in FIG. 4B, or may exist without a separate indication. When the user selects a selectable specific part 410, the learning simulation model device according to an embodiment of the present invention shows a scene corresponding to the corresponding area to the user as shown in FIG. 4C. The virtual space in FIG. 4C is a virtual space corresponding to a specific portion selected in FIG. 4B, and a terrace of the apartment is displayed to the user as a space having a semantic association with a selected specific portion. In the example of FIG. 4C, the
도 5a 내지 도 5d는 본 발명의 일 실시 예에 따른 학습 시뮬레이션 모델 방법에 따라 학습내용이 기록되는 과정에서 표시되는 화면이다. 도 5a 내지 도 5d를 참조하여 본 발명의 일 실시 예에 따른 학습 시뮬레이션 모델 장치가 학습내용을 기록하는 과정을 설명한다.5A to 5D are screens displayed in a process of recording learning contents according to a learning simulation model method according to an embodiment of the present invention. 5A to 5D, a process of recording learning contents by the learning simulation model device according to an embodiment of the present invention will be described.
도 5a는 도 4c와 같은 이미지이다. 도 4c와 같이 학습 내용을 기록하고 있는 기록 위치(420)를 포함하고 있다. 여기서 설명의 편의를 위하여 기록위치(420)은 제1 기록위치라 명한다. 도 5b는 사용자가 새로운 기록위치로 제2 기록위치를 선정하는 화면을 도시한다. 사용자는 입력부를 사용하여 이미지에 영역을 설정한다. 이는 도 5b의 선택 영역(510)과 같이 원형의 도형을 사용한 영역의 설정으로 수행될 수 있고, 또는 단순히 위치의 선택으로 진행될 수 있다. 제2 기록위치가 선정되면, 본 발명의 일 실시 예에 따른 학습 시뮬레이션 모델 장치는 학습 내용을 입력 받는다. 본 발명의 일 실시 예에 따른 학습 시뮬레이션 모델 장치는 도 5c와 같이 사용자로부터 학습 내용을 기록 받는다. 학습 내용의 기록이 종료되면, 도 5d와 같이 학습 내용은 이미지의 제2 기록 위치(520)에 표현된다. 시안성을 위하여 학습내용의 전체가 표시되지 않고 제목 또는 최 빈도로 나타나는 키워드가 이미지의 기록 위치에 나타날 수 있다.
5A is an image as shown in FIG. And a
도 6a 내지 도 6c는 본 발명의 일 실시 예에 따른 학습 시뮬레이션 모델 방법에 따라 링크가 생성되는 과정에서 표시되는 화면이다. 도 6a 내지 도 6c를 참조하여 본 발명의 일 실시 예에 따른 학습 시뮬레이션 모델 장치에 내용을 부가하거나, 다른 학습 내용 또는 가상 공간으로 링크를 생성하는 과정을 설명한다.6A to 6C are screens displayed in a process of generating a link according to a learning simulation model method according to an embodiment of the present invention. 6A to 6C, a process of adding contents to a learning simulation model apparatus according to an embodiment of the present invention, or generating links to other learning contents or virtual spaces will be described.
먼저 본 발명의 일 실시 예에 따른 학습 시뮬레이션 모델 장치는 사용자의 입력(610)을 받아 도 6a의 가상 공간 이미지에서 제1 학습내용(620)을 사용자에게 표시한다. 그리고 도 6b와 같이 사용자는 제1 학습 내용(620)에 제1 학습내용인 양배추와 관련되는 다른 제2 학습 내용(623)인 자장면을 학습 내용으로 추가한다. 제2 학습 내용은 다른 가상 공간 이미지로의 링크를 포함할 수 있다. 또한, 제1 학습 내용에 추가되는 개체는 학습 내용이 아니라, 다른 가상공간으로의 링크일 수 있다. 내용의 추가가 끝난 화면이 도 6c에 나타나 있다. 도 6c의 화면에서 제1 학습 내용(620)은 제2 학습내용(630)을 표현하고 있다.First, the learning simulation model device according to an embodiment of the present invention receives the
도 7a 내지 도 7b는 본 발명의 일 실시 예에 따른 학습 시뮬레이션 모델 방법에 따라 링크가 사용되는 과정에서 표시되는 화면이다. 본 발명의 일 실시 예에 따른 학습 시뮬레이션 모델 장치에서 학습내용은 다른 이미지로의 화면 전환을 일으키는 링크를 포함한다. 도 7a는 도 6에서 설명된 제1 학습 내용(620)에 포함된 제2 학습내용(630)을 도시한다. 제2 학습내용(630)은 다른 이미지로의 링크를 포함한다. 예를 들어, 본 발명의 일 실시 예에 따른 학습 시뮬레이션 모델 장치는 입력부로 제2 학습 내용(630)의 선택 입력을 받으면, 제2 학습 내용에 연관된 이미지인 도 7b 이미지로 화면의 전환을 수행한다. 도 7b의 이미지에 제2 학습내용(630) 및 그의 선택 영역(730)이 나타나 있다.
FIGS. 7A and 7B are screens displayed in a process of using a link according to a learning simulation model method according to an embodiment of the present invention. In the learning simulation model apparatus according to an embodiment of the present invention, the learning contents include a link causing screen switching to another image. FIG. 7A shows a
도 8a 내지 도 8c는 본 발명의 일 실시 예에 따른 학습 시뮬레이션 모델 방법이 3차원 지도를 사용하는 경우에 표시되는 화면이다. 도 8a는 3차원 지도의 전체 구역(810)을 도시한다. 도 8a의 지도를 선택 영역(811)을 기준으로 확대하여 일부 영역(820) 표시한 것이 도 8b의 지도이다. 도 8c는 확대된 이미지에서 본 발명의 일 실시 예에 따른 학습 시뮬레이션 모델 장치가 사용자의 입력을 받아 입력에 대응되는 기록위치(830)에 기록된 학습 내용(840)을 사용자에게 나타내는 화면을 도시한다.8A to 8C are views displayed when the learning simulation model method according to an embodiment of the present invention uses a three-dimensional map. Figure 8A shows the
도 9a 내지 도 9b는 본 발명의 일 실시 예에 따른 학습 시뮬레이션 모델 방법이 3차원 지도를 사용하는 경우에 표시되는 화면이다. 도 8의 경우와 마찬가지로, 도 9a의 기록 위치(910)에 사용자의 입력이 존재할 경우, 도 9b와 같이 제1 학습내용(920) 및 제2 학습내용(930)이 화면에 나타난다. 도 9b에 도시된 바와 같이 학습 내용은 사용자가 기록 위치를 선택할 경우에만 대응되어 화면에 나타날 수도 있다.
FIGS. 9A and 9B are screens displayed when the learning simulation model method according to an embodiment of the present invention uses a three-dimensional map. As in the case of Fig. 8, when the user's input is present at the recording position 910 of Fig. 9A, the
도 10a 내지 도 10b는 본 발명의 일 실시 예에 따른 학습 시뮬레이션 모델 방법이 시뮬레이션을 생성하는 경우에 표시되는 화면이다. 도 10a는 학습 시뮬레이션이 생성될 이미지를 도시하고, 도 10b는 도 10a의 도서관 이미지에 학습 내용이 기록 위치에 자동적으로 대응되어 기록된 예를 도시한다. 도 11은 본 발명의 일 실시 예에 따른 학습 시뮬레이션 모델 방법이 시뮬레이션을 생성하는 순서를 도시한 순서도이다. 도 10 및 도 11을 참조하여 본 발명의 일 실시 예에 따른 학습 시뮬레이션 모델 장치가 박물관을 배경으로 학습 시뮬레이션을 생성하는 과정을 설명한다.10A and 10B are screens displayed when the learning simulation model method according to an embodiment of the present invention generates a simulation. 10A shows an image in which a learning simulation is to be generated, and FIG. 10B shows an example in which learning contents are automatically recorded in correspondence with recording positions in the library image of FIG. 10A. 11 is a flowchart showing a sequence of generating a simulation by a learning simulation model method according to an embodiment of the present invention. 10 and 11, a process of generating a learning simulation based on a museum as a learning simulation model device according to an embodiment of the present invention will be described.
먼저, 본 발명의 일 실시 예에 따른 학습 시뮬레이션 모델 장치는 도 10a와 같이 학습내용을 기록하기 위한 이미지를 생성한다(S1110). 학습 내용을 기록하기 위한 이미지는 기 설정된 방법으로 저장된 이미지에서 선택되거나, 사용자의 선택에 따라 선택된다.First, the learning simulation model apparatus according to an embodiment of the present invention generates an image for recording learning contents as shown in FIG. 10A (S1110). An image for recording the learning contents is selected from a stored image in a preset manner or selected according to a user's selection.
다음으로, 본 발명의 일 실시 예에 따른 학습 시뮬레이션 모델 장치는 학습 내용을 입력 받는다(S1120). 도 10의 예에서, 학습 내용은 백악관, 셀룰로오드, 베타알파포도당, 아스날, 스승의 날, 젠틀맨 및 신세계이다.Next, the learning simulation model apparatus according to an embodiment of the present invention receives learning contents (S1120). In the example of FIG. 10, the content of the learning is White House, Celluloid, Beta Alpha Glucose, Arsenal, Teacher's Day, Gentlemen and New World.
다음으로, 본 발명의 일 실시 예에 따른 학습 시뮬레이션 모델 장치는 이미지에서 학습 내용이 기록될 위치를 선정하고(S1130), 이미지의 선정된 위치에 학습 내용을 기록(S1140)한다. 학습내용이 선정된 위치에 학습 내용이 기록된 예가 도 10b에 도시되어 있다. 학습 내용이 기록될 위치는 도 10b의 가상공간 이미지에서 사용자가 가상공간 내에서 의식적으로 이동하는 동선인 제1 동선(1010) 및 제 2동선 (1020)을 기준으로 배치된다. 즉, 1030, 1040, 1050, 1060, 1070, 1080 및 1090의 기록 위치가 순차적으로 선정되고, 학습내용이 순차적으로 기록 위치에 기록된다. 즉 1030에는 백악관이, 1040에는 셀룰로오드가, 1050에는 베타알파포도당이, 1060에는 아스날, 1070에는 스승의 날, 1080에는 젠틀맨이 기록되고, 1090에는 신세계가 기록된다.Next, the learning simulation model device according to an embodiment of the present invention selects a position at which the learning content is to be recorded in the image (S1130), and records the learning content at the selected position of the image (S1140). FIG. 10B shows an example in which the learning contents are recorded at the positions where the learning contents are selected. The location at which the learning content is to be recorded is arranged on the basis of the
마지막으로, 본 발명의 일 실시 예에 따른 학습 시뮬레이션 모델 장치는 선정 위치, 선정 위치의 순서 및 입력된 학습 내용의 순서 중 적어도 하나에 따라 시나리오를 생성(S1150)하여 사용자에게 표시하거나 데이터 저장부에 저장한다. 예를 들어 생성되는 시나리오는 전술한 가상공간인 박물관을 사용자가 이동할 때 보여지는 대로 영상을 생성하여 비디오 클립으로 생성된 동영상일 수 있고, 그러한 프리젠테이션 슬라이드 일수 있다. 또는 입력된 학습 내용의 순서대로 저장되어 있는 문장 템플릿에 학습 내용을 대입하여 문장으로 작성될 수도 있다. 문장 템플릿이 “()시대에 벽화에 () 라는 인간의 기록이 기록되어 있고 ()을 낳았다. 그는 ()과 함께 ()이라는 땅굴에서 ()을 발견하여 ()와 함께 기뻐 춤을 추었다” 일 때, 학습 내용이 문장 템플릿의 괄호에 각각 대입되어 학습 시나리오가 문장으로 작성된 예를 들면, “(백악관)시대에 벽화에 (셀룰로오드) 라는 인간의 기록이 기록되어 있고 (알파베타포도당)을 낳았다. 그는 (아스날)과 함께 (스승의날)이라는 땅굴에서 (젠틀맨)을 발견하여 (신세계)와 함께 기뻐 춤을 추었다”이다.Finally, the learning simulation model apparatus according to an embodiment of the present invention generates a scenario according to at least one of the order of the selection position, the selection position, and the order of the input learning contents (S1150) . For example, the generated scenario may be a video generated as a video clip by generating an image as viewed when a user moves the museum, which is the virtual space described above, and may be such a presentation slide. Alternatively, the learning contents may be substituted into a sentence template stored in the order of the inputted learning contents, and the sentence template may be prepared as a sentence. In the () era of the sentence template, human records of () are recorded and (). He finds () in the tunnel () and finds () and dances happily with (). "When the content of the learning is assigned to the brackets of the sentence template respectively and the learning scenario is written as a sentence, During the (White House) era, a man's record (celluloid) was recorded on the murals (alpha-beta-glucose). He found (Gentlemen) in the tunnel (Arthur 's Day) with (Arsenal) and danced happily with (New World). "
또는, 본 발명의 일 실시 예에 따른 학습 시뮬레이션 모델 장치는 입력된 학습 내용의 중요단어로 데이터 저장부에 저장된 문장들을 검색하여 가장 연관이 많은 문장을 각각 인용함으로써 스토리를 만들어 사용자에게 제시할 수 있다. 전술한 시나리오를 생성하는 과정(S1150)은 본 발명의 일 실시 예에 따른 학습 시뮬레이션 모델 장치가 자동적으로 수행할 수 있다.
Alternatively, the learning simulation model apparatus according to an embodiment of the present invention may search for sentences stored in the data storage unit as important words of input learning contents, and present a story to a user by citing each of the most related sentences . The process of generating the scenario described above (S1150) can be performed automatically by the learning simulation model apparatus according to an embodiment of the present invention.
본 발명의 일 실시 예에 따른 학습 시뮬레이션 모델 장치는 인터넷 어플리케이션과 같은 시각적 이미지를 제공하는 프로그램에서 수행될 수 있다. 인터넷 상에서 제공되는 서비스를 예로 들면, 사용자가 공간감을 느낄 수 있는 지도 이미지나 가상공간 및 단순 공간을 제공하는 로드 뷰나 구글 맵과 같은 인터넷 서비스에서 사용자는 본 발명의 일 실시 예에 따른 학습 시뮬레이션 모델 장치를 사용하여 제공 되는 서비스의 지도 또는 가상공간 및 단순 공간 상의 이미지에 학습과 기억의 저장을 위한 데이터를 입력할 수 있다. 본 발명의 일 실시 예에 따른 학습 시뮬레이션 모델 장치는 웹 브라우저에 플러그 인의 형태로 제공되어 인터넷 서비스가 제공되는 웹 브라우저 상에서 직접 수행될 수 있다. 또한, 작업, 저장, 공유를 할 수 있는 클라우드 기술이 본 발명의 일 실시 예에 따른 학습 시뮬레이션 모델 장치에 함께 적용될 수 있다. 이러한 경우 서로 다른 지역에 있는 사용자들이 인터넷을 사용한 협업을 통해 하나의 시나리오를 만들 수 있다.The learning simulation model apparatus according to an exemplary embodiment of the present invention may be implemented in a program that provides a visual image such as an Internet application. In an Internet service such as a road view or a Google Map, which provides a map image, a virtual space, and a simple space in which a user can feel a sense of space, a user provides a learning simulation model device , Data for storage of learning and memory can be input to a map of a service provided or a virtual space and an image on a simple space. The learning simulation model apparatus according to an embodiment of the present invention may be provided in the form of a plug-in to a web browser and directly executed on a web browser provided with an internet service. In addition, a cloud technology capable of work, storage, and sharing can be applied together with the learning simulation model device according to an embodiment of the present invention. In this case, users in different regions can create a single scenario through collaboration using the Internet.
또한, 본 발명의 일 실시 예에 따른 학습 시뮬레이션 모델 장치는 온라인 이나 협동으로 데이터를 저장하고 체계화 할 때 그림을 바탕으로 공유하거나 온라인 협동 활동을 할 수 있다. 사용자들은 아바타로 시각화되어 나타나며 아바타를 활용하여 동료들의 위치와 작업 내용을 시각화 함으로써 보다 직관적이고 효과적인 협동 환경을 제공할 수 있다. 사용자를 나타내는 라벨을 사용자의 작업 이력, 이미지, 공간 또는 시나리오에 적용하여 사용자들은 특정 이미지, 공간, 또는 시나리오를 작업한 사람 또는 사용한 사람을 인식할 수 있다. 본 발명의 일 실시 예에 따른 학습 시뮬레이션 모델 장치는 웹 상에서 공간 스토리를 만들어 학습장을 만들고 실시간으로 공유할 수 있다. 온라인 협업기능을 통해 공간정보 아이디어 및 정보를 손쉽게 공유하고 이러한 자료를 활용하는 스케줄이나 메모장으로 활용함으로써 개인의 스케줄 관리나 교육이나 연구 분야에 있어 활용을 기대할 수 있다.
In addition, the learning simulation model device according to an embodiment of the present invention can share pictures or perform online collaboration activities when data is stored and organized in on-line or cooperative manner. Users are visualized as an avatar, and they can visualize the location and work contents of their colleagues using the avatar, thereby providing a more intuitive and effective collaboration environment. By applying a label representing a user to a user's work history, image, space, or scenario, users can recognize a person or person who worked on a particular image, space, or scenario. The learning simulation model device according to an embodiment of the present invention can create a space story on the web to create a learning space and share it in real time. Through the online collaborative function, it is possible to easily share spatial information idea and information, and utilize it as a schedule or a notepad to utilize such data, so that it can be expected to be used in individual schedule management or education or research.
이상에서 설명한 본 발명은 일련의 기능 블록들을 기초로 설명되고 있지만, 전술한 실시 예 및 첨부된 도면에 의해 한정되는 것이 아니고, 본 발명의 기술적 사상을 벗어나지 않는 범위 내에서 여러 가지 치환, 변형 및 변경이 가능하다는 것이 본 발명이 속하는 기술분야에서 통상의 지식을 가진 자에게 있어 명백할 것이다.While the invention has been shown and described with reference to certain preferred embodiments thereof, it will be understood by those of ordinary skill in the art that various changes in form and details may be made therein without departing from the spirit and scope of the invention as defined by the appended claims. It will be apparent to those skilled in the art that the present invention can be carried out without departing from the spirit and scope of the invention.
전술한 실시 예들의 조합은 전술한 실시 예에 한정되는 것이 아니며, 구현 및/또는 필요에 따라 전술한 실시 예들 뿐만 아니라 다양한 형태의 조합이 제공될 수 있다.The combination of the above-described embodiments is not limited to the above-described embodiment, and various combinations of types as well as the above-described embodiments may be provided according to implementation and / or necessity.
전술한 실시 예들에서, 방법들은 일련의 단계 또는 블록으로서 순서도를 기초로 설명되고 있으나, 본 발명은 단계들의 순서에 한정되는 것은 아니며, 어떤 단계는 상술한 바와 다른 단계와 다른 순서로 또는 동시에 발생할 수 있다. 또한, 당해 기술 분야에서 통상의 지식을 가진 자라면 순서도에 나타난 단계들이 배타적이지 않고, 다른 단계가 포함되거나, 순서도의 하나 또는 그 이상의 단계가 본 발명의 범위에 영향을 미치지 않고 삭제될 수 있음을 이해할 수 있을 것이다.In the above-described embodiments, the methods are described on the basis of a flowchart as a series of steps or blocks, but the present invention is not limited to the order of steps, and some steps may occur in different orders or in a different order than the steps described above have. It will also be understood by those skilled in the art that the steps depicted in the flowchart illustrations are not exclusive and that other steps may be included or that one or more steps in the flowchart may be deleted without affecting the scope of the invention You will understand.
전술한 실시 예는 다양한 양태의 예시들을 포함한다. 다양한 양태들을 나타내기 위한 모든 가능한 조합을 기술할 수는 없지만, 해당 기술 분야의 통상의 지식을 가진 자는 다른 조합이 가능함을 인식할 수 있을 것이다. 따라서, 본 발명은 이하의 특허청구범위 내에 속하는 모든 다른 교체, 수정 및 변경을 포함한다고 할 것이다.
The foregoing embodiments include examples of various aspects. While it is not possible to describe every possible combination for expressing various aspects, one of ordinary skill in the art will recognize that other combinations are possible. Accordingly, it is intended that the invention include all alternatives, modifications and variations that fall within the scope of the following claims.
| Application Number | Priority Date | Filing Date | Title | 
|---|---|---|---|
| KR1020130057118AKR101505174B1 (en) | 2013-05-21 | 2013-05-21 | Methods and apparatuses of an learning simulation model using images | 
| Application Number | Priority Date | Filing Date | Title | 
|---|---|---|---|
| KR1020130057118AKR101505174B1 (en) | 2013-05-21 | 2013-05-21 | Methods and apparatuses of an learning simulation model using images | 
| Publication Number | Publication Date | 
|---|---|
| KR20140136713A KR20140136713A (en) | 2014-12-01 | 
| KR101505174B1true KR101505174B1 (en) | 2015-03-26 | 
| Application Number | Title | Priority Date | Filing Date | 
|---|---|---|---|
| KR1020130057118AExpired - Fee RelatedKR101505174B1 (en) | 2013-05-21 | 2013-05-21 | Methods and apparatuses of an learning simulation model using images | 
| Country | Link | 
|---|---|
| KR (1) | KR101505174B1 (en) | 
| Publication number | Priority date | Publication date | Assignee | Title | 
|---|---|---|---|---|
| KR20210088907A (en) | 2020-01-07 | 2021-07-15 | 윤준상 | System and Method for Learning Service using simulation | 
| Publication number | Priority date | Publication date | Assignee | Title | 
|---|---|---|---|---|
| US11199506B2 (en)* | 2018-02-21 | 2021-12-14 | Applied Materials Israel Ltd. | Generating a training set usable for examination of a semiconductor specimen | 
| Publication number | Priority date | Publication date | Assignee | Title | 
|---|---|---|---|---|
| JP2001324914A (en) | 2000-05-17 | 2001-11-22 | Nippon Telegr & Teleph Corp <Ntt> | Collaborative learning system using digital images | 
| KR100806682B1 (en) | 2006-10-13 | 2008-02-26 | 김달호 | Phonics Learning Device Using Alphabet Block and Its Method | 
| KR100834904B1 (en)* | 2006-12-08 | 2008-06-03 | 한국전자통신연구원 | Augmented Reality Content Authoring System and Method Supporting Marker-based User Interaction | 
| KR20110123334A (en)* | 2010-05-07 | 2011-11-15 | (주)코아블루 | Virtual Reality Education System Production Tools and Methods | 
| Publication number | Priority date | Publication date | Assignee | Title | 
|---|---|---|---|---|
| JP2001324914A (en) | 2000-05-17 | 2001-11-22 | Nippon Telegr & Teleph Corp <Ntt> | Collaborative learning system using digital images | 
| KR100806682B1 (en) | 2006-10-13 | 2008-02-26 | 김달호 | Phonics Learning Device Using Alphabet Block and Its Method | 
| KR100834904B1 (en)* | 2006-12-08 | 2008-06-03 | 한국전자통신연구원 | Augmented Reality Content Authoring System and Method Supporting Marker-based User Interaction | 
| KR20110123334A (en)* | 2010-05-07 | 2011-11-15 | (주)코아블루 | Virtual Reality Education System Production Tools and Methods | 
| Publication number | Priority date | Publication date | Assignee | Title | 
|---|---|---|---|---|
| KR20210088907A (en) | 2020-01-07 | 2021-07-15 | 윤준상 | System and Method for Learning Service using simulation | 
| KR20220130070A (en) | 2020-01-07 | 2022-09-26 | 윤준상 | System and method for providing learning service using simulation | 
| Publication number | Publication date | 
|---|---|
| KR20140136713A (en) | 2014-12-01 | 
| Publication | Publication Date | Title | 
|---|---|---|
| US12266273B2 (en) | Augmented reality platform for collaborative classrooms | |
| Clark et al. | Graphics for learning: Proven guidelines for planning, designing, and evaluating visuals in training materials | |
| Freitas et al. | A systematic review of rapid prototyping tools for augmented reality | |
| Zulfiqar et al. | Augmented reality and its applications in education: A systematic survey | |
| KR102082313B1 (en) | Historical experience education system using virtual reality | |
| Videnov et al. | Application of augmented reality in higher education | |
| Tehrani et al. | Heuristic evaluation for Virtual Museum on smartphone | |
| Lu | Mobile augmented reality technology for design and implementation of library document push system | |
| Pantelić et al. | The development of educational augmented reality application: a practical approach | |
| Kounlaxay et al. | Design of Learning Media in Mixed Reality for Lao Education. | |
| Tai | Applications of augmented reality and virtual reality on computer-assisted teaching for analytical sketching of architectural scene and construction | |
| Maguire | An exploration of low-fidelity prototyping methods for augmented and virtual reality | |
| KR101505174B1 (en) | Methods and apparatuses of an learning simulation model using images | |
| Chafiq et al. | Navigating virtual worlds and the metaverse for enhanced E-learning | |
| Liu et al. | Evaluation of the Effectiveness and User Feedback of the AR Vocabulary Card Application for English Vocabulary Learning | |
| Rahman et al. | Authoring edutainment content through video annotations and 3d model augmentation | |
| Chen et al. | Virtual, Augmented and Mixed Reality. Design and Interaction: 12th International Conference, VAMR 2020, Held as Part of the 22nd HCI International Conference, HCII 2020, Copenhagen, Denmark, July 19–24, 2020, Proceedings, Part I | |
| Rintamäki | Gamifying the teaching and neurobiology and EEG basics | |
| Freitas | Enabling Co-Creation for Augmented Reality: A User-Friendly Narrative Editor for Cultural Heritage Experiences | |
| KURBONOVA | CREATING A VIRTUAL GEOGRAPHIC LEARNING ENVIRONMENT AND ITS USER ASSESSMENT | |
| Bishop | Augmented Reality On Display: How might augmented reality technology be used to create meaningful interactive museum exhibits? | |
| Umbelino | street ar t Development of an Augmented Reality Application in the Context of Street Art | |
| Nurjanah et al. | Augmented reality in the perspective of cognitive load theory | |
| da Costa Correia | Street ar t Development of an Augmented Reality Application in the Context of Street Art | |
| Cardoso et al. | Augmented Reality and 3D Technologies: Mapping Case Studies in Education | 
| Date | Code | Title | Description | 
|---|---|---|---|
| A201 | Request for examination | ||
| PA0109 | Patent application | St.27 status event code:A-0-1-A10-A12-nap-PA0109 | |
| PA0201 | Request for examination | St.27 status event code:A-1-2-D10-D11-exm-PA0201 | |
| P11-X000 | Amendment of application requested | St.27 status event code:A-2-2-P10-P11-nap-X000 | |
| P13-X000 | Application amended | St.27 status event code:A-2-2-P10-P13-nap-X000 | |
| P11-X000 | Amendment of application requested | St.27 status event code:A-2-2-P10-P11-nap-X000 | |
| P13-X000 | Application amended | St.27 status event code:A-2-2-P10-P13-nap-X000 | |
| D13-X000 | Search requested | St.27 status event code:A-1-2-D10-D13-srh-X000 | |
| D14-X000 | Search report completed | St.27 status event code:A-1-2-D10-D14-srh-X000 | |
| E902 | Notification of reason for refusal | ||
| PE0902 | Notice of grounds for rejection | St.27 status event code:A-1-2-D10-D21-exm-PE0902 | |
| N231 | Notification of change of applicant | ||
| PN2301 | Change of applicant | St.27 status event code:A-3-3-R10-R13-asn-PN2301 St.27 status event code:A-3-3-R10-R11-asn-PN2301 | |
| E13-X000 | Pre-grant limitation requested | St.27 status event code:A-2-3-E10-E13-lim-X000 | |
| P11-X000 | Amendment of application requested | St.27 status event code:A-2-2-P10-P11-nap-X000 | |
| P13-X000 | Application amended | St.27 status event code:A-2-2-P10-P13-nap-X000 | |
| E701 | Decision to grant or registration of patent right | ||
| PE0701 | Decision of registration | St.27 status event code:A-1-2-D10-D22-exm-PE0701 | |
| PG1501 | Laying open of application | St.27 status event code:A-1-1-Q10-Q12-nap-PG1501 | |
| R17-X000 | Change to representative recorded | St.27 status event code:A-3-3-R10-R17-oth-X000 | |
| GRNT | Written decision to grant | ||
| PR0701 | Registration of establishment | St.27 status event code:A-2-4-F10-F11-exm-PR0701 | |
| PR1002 | Payment of registration fee | St.27 status event code:A-2-2-U10-U11-oth-PR1002 Fee payment year number:1 | |
| PG1601 | Publication of registration | St.27 status event code:A-4-4-Q10-Q13-nap-PG1601 | |
| R18-X000 | Changes to party contact information recorded | St.27 status event code:A-5-5-R10-R18-oth-X000 | |
| P22-X000 | Classification modified | St.27 status event code:A-4-4-P10-P22-nap-X000 | |
| LAPS | Lapse due to unpaid annual fee | ||
| PC1903 | Unpaid annual fee | St.27 status event code:A-4-4-U10-U13-oth-PC1903 Not in force date:20180318 Payment event data comment text:Termination Category : DEFAULT_OF_REGISTRATION_FEE | |
| P22-X000 | Classification modified | St.27 status event code:A-4-4-P10-P22-nap-X000 | |
| PC1903 | Unpaid annual fee | St.27 status event code:N-4-6-H10-H13-oth-PC1903 Ip right cessation event data comment text:Termination Category : DEFAULT_OF_REGISTRATION_FEE Not in force date:20180318 | |
| R18-X000 | Changes to party contact information recorded | St.27 status event code:A-5-5-R10-R18-oth-X000 |