




本発明は、特殊な形状を有する高周波電極を使用し、溶液中に熱、電界、ラジカル種、紫外線の複合化したプラズマ状態を発生する装置、および、このプラズマ状態によって原料化合物を溶媒に溶解又は分散した反応液からナノ材料を製造する方法に関する。 The present invention uses a high-frequency electrode having a special shape and generates a plasma state in which a heat, electric field, radical species, and ultraviolet light are combined in a solution, and a raw material compound is dissolved or dissolved in the solvent by the plasma state. The present invention relates to a method for producing a nanomaterial from a dispersed reaction solution.
近年の電源ならびに電極構造の開発の進展に伴い、大気圧あるいはそれ近傍における高圧ガス雰囲気および、水溶液などの溶液中においてプラズマあるいは放電を発生させる技術が盛んに提唱されている。気相中でのこれら現象を大気圧プラズマ、液相中でのこれら現象は溶液プラズマと呼ばれている。しかし、それらの多くは高電圧な直流を利用したいわゆるコロナ放電あるいは、ナノ〜ミクロ秒程度のパルス幅を有するパルス電源によるストリーマー放電を利用したものである。それらは、簡単な構造を有する有機物質(例えばメタン、一酸化窒素など)の分解や、低融点の有機化合物の表面構造の破壊などによる表面処理などに応用されている。 Along with the development of power supply and electrode structure in recent years, techniques for generating plasma or discharge in a high-pressure gas atmosphere at or near atmospheric pressure and a solution such as an aqueous solution have been actively proposed. These phenomena in the gas phase are called atmospheric pressure plasma, and these phenomena in the liquid phase are called solution plasma. However, most of them use so-called corona discharge using high-voltage direct current or streamer discharge by a pulse power source having a pulse width of about nano to microseconds. They are applied to surface treatments such as decomposition of organic substances having a simple structure (for example, methane, nitric oxide, etc.) and destruction of the surface structure of low melting point organic compounds.
  大気圧プラズマによる表面洗浄の例としては、平行平板電極への直流の印加による放電現象による低融点の有機物の分解と、フローされたガスによる吹き飛ばし効果の相乗効果による表面洗浄が提案されている(特許文献1参照)。しかし、一般にこれらの放電現象においては、主としてプラズマのエネルギー密度が低いことに起因し、簡単な分解反応しか起こすことが出来ない。このように、直流またはパルス電源を利用した大気圧プラズマあるいは溶液プラズマにおいては、その応用範囲は主として物質の分解を基本とした現象の利用にとどまっている。
一方、材料自体に関しては、近年、工業技術の発展に伴い、フラーレン、金属ナノ粒子又は薄膜、無機ナノ粒子又は薄膜と呼ばれる、直径1nm〜1μm程度の微粒子又はこれが堆積することで形成せられた粒子状または膜状物質の製造が可能となっている。特に、これらの中で結晶粒径が10nm未満の物質はシングルナノレベル材料と呼ばれており、二次電子放出材料、発光体、吸熱体、触媒、エネルギー貯蔵、電池の電極、分離分級のためのフィルター又は吸着物質などとして広範な適用が試みられている。これらの多くは、その表面を他の材料で修飾することができれば大幅な機能の向上を図ることができる。ところが、このような微細な構造を有する材料の製造は、核形成とその成長過程を厳密に制御せしめる必要があるため、極めて困難であることが知られている。 On the other hand, with respect to the material itself, with the development of industrial technology in recent years, fine particles having a diameter of about 1 nm to 1 μm or particles formed by depositing the particles, called fullerenes, metal nanoparticles or thin films, inorganic nanoparticles or thin films. It is possible to produce a film-like or film-like substance. In particular, substances with a crystal grain size of less than 10 nm are called single nano-level materials, and are used for secondary electron emission materials, illuminants, endotherms, catalysts, energy storage, battery electrodes, and separation classification. A wide range of applications such as filters or adsorbents have been attempted. Many of these can significantly improve their functions if their surfaces can be modified with other materials. However, it is known that the production of a material having such a fine structure is extremely difficult because it is necessary to strictly control the nucleation and the growth process.
例えば、金属塩を水に溶解させ、これを乾燥、仮焼又は還元雰囲気中での焼成を経ることにより、1〜10nm程度の微粒子を製造できることが知られている。ところが、このような溶液法においては溶液の濃度が高まるにつれ、形成した核の密度ならびにそのサイズが大きくなるため、最終的に得られる粒子が大きくなる。したがって、一般的にはシングルナノレベル材料を得るためには、金属濃度としてo.o1mol/l 以下程度の極めて希薄な溶液中での製造が必要である。このため、溶液法においてシングルナノレベル材料を得るためには、大量の溶媒が必要となり、装置もスケールアップせざるを得ない。また、場合によってはpH調整剤や還元剤などを添加する必要があるが、一般的にこれらの添加剤は人体に有害な場合が多いため、溶液をそのまま排水することは出来ない。これらのことが本質的には安価な手法であるはずの溶液法のコストを上昇させてしまうことにつながっている。 For example, it is known that fine particles having a size of about 1 to 10 nm can be produced by dissolving a metal salt in water and subjecting the metal salt to drying, calcination, or firing in a reducing atmosphere. However, in such a solution method, as the concentration of the solution increases, the density and size of the formed nuclei increase, so that the finally obtained particles increase. Therefore, in general, in order to obtain a single nano-level material, it is necessary to manufacture in a very dilute solution with a metal concentration of about o.o1 mol / l or less. For this reason, in order to obtain a single nano-level material in the solution method, a large amount of solvent is required, and the apparatus must be scaled up. In some cases, it is necessary to add a pH adjuster or a reducing agent. Generally, these additives are often harmful to the human body, so the solution cannot be drained as it is. These have led to an increase in the cost of the solution method, which should be essentially an inexpensive method.
  また、気相法と称して、金属を減圧下で蒸発することにより、シングルナノレベル材料を作製する試みも多数報告されている。加熱の方法などにより様々な材料系の製造が報告されているが、これらの何れもが、真空装置などを必要とするため、大量の製造を行うためには高額な装置を必要としている。このことが、気相法のコストを大幅に向上させてしまうことにつながっている。
  溶液法により安価にシングルナノレベル材料を製造するための試みとして、シングルナノレベルのシリカ粒子を製造するための溶液法が提案されているが(特許文献2参照)、この場合には、アルカリ調整剤としてアンモニアを添加する必要があるため、廃液をそのまま排水することは出来ない。
  また、気相法により安価にシングルナノレベル材料を製造するための試みとしては、レーザーアブレーション法を用いたナノ粒子製造の例があるが(特許文献3参照)、反応容器内を不活性ガス、または酸素、オゾン、水蒸気、アンモニア雰囲気にするために真空装置を要するため、高価な装置が必要となる問題がある。
  このように、シングルナノレベル材料の製造方法に関しては、コスト面や有害廃棄物発生の問題が存在している。
 As an attempt to produce a single nano-level material at low cost by the solution method, a solution method for producing single nano-level silica particles has been proposed (see Patent Document 2). Since it is necessary to add ammonia as an agent, the waste liquid cannot be drained as it is.
 In addition, as an attempt to produce a single nano-level material at a low cost by a gas phase method, there is an example of nanoparticle production using a laser ablation method (see Patent Document 3). Alternatively, since a vacuum apparatus is required to create an oxygen, ozone, water vapor, or ammonia atmosphere, there is a problem that an expensive apparatus is required.
 As described above, the production method of a single nano-level material has problems of cost and generation of hazardous waste.
従って、本発明はこれら従来技術の問題点を解消して、高周波電源を用いた溶液プラズマを利用することにより、低コストで有害廃棄物の発生を防止しながらナノ材料を効率良く製造する方法及びその装置を提供することを主な目的とする。 Therefore, the present invention eliminates these problems of the prior art and uses a solution plasma using a high-frequency power source to efficiently produce nanomaterials while preventing the generation of hazardous waste at low cost and The main purpose is to provide such a device.
本発明者は、上記従来技術の問題点に鑑みて鋭意研究を重ねた結果、ガス導入管及びその周囲に配置した高周波電源に接続する柱状の電極部からなるプラズマ発生電極を採用することによって上記目的を達成できることを見出し、本発明を完成するに至った。
  すなわち、本発明は次の1〜12の構成を採用するものである。
1.原料化合物を溶媒に溶解又は分散させた反応液を収容する溶液反応槽、及び前記溶液反応槽内にプラズマ発生電極を装置の垂直方向に移動可能に設けた溶液プラズマ反応装置において、前記プラズマ発生電極を下端部にプラズマ化されたガスの出口を有するガス導入管及びその周囲に配置した高周波電源に接続する柱状の電極部により構成すると共に、前記プラズマ発生電極の中心部において前記ガス導入管の周囲に冷却媒体導入部及び空洞部を設け、前記空洞部には高周波電源から高周波を印加する高周波入力端子を設置したことを特徴とする溶液プラズマ反応装置。
2.さらに、溶液反応槽内に他のエネルギー発生源を設けたことを特徴とする1に記載の溶液プラズマ反応装置。
3.他のエネルギー発生源が超音波発生源であることを特徴とする2に記載の溶液プラズマ反応装置。
4.1〜3のいずれかに記載された溶液プラズマ反応装置内で、原料化合物を溶媒に溶解又は分散した反応液にガス導入管からガスのプラズマを導入することを特徴とするナノ材料の製造方法。
5.前記反応液が、有機金属錯体、金属アルコキシド及び金属塩から選択された少なくとも1種の化合物を、水、油、アルコールから選択された溶媒に溶解又は分散した反応液であることを特徴とする4に記載のナノ材料の製造方法。
6.前記ガス導入管から導入されるガスが、水蒸気、水素、アンモニア、ヘリウム、アルゴン、窒素、酸素、炭化水素から選択された少なくとも1種のガスであることを特徴とする4又は5に記載のナノ材料の製造方法。
7.溶液プラズマ反応装置のプラズマ発生電極を反応液中に浸漬させた状態で反応液にガスのプラズマを導入することを特徴とする4〜6のいずれかに記載のナノ材料の製造方法。
8.溶液プラズマ反応装置のプラズマ発生電極を反応液の液面から上方に離間した状態で反応液にガスのプラズマを導入することを特徴とする4〜6のいずれかに記載のナノ材料の製造方法。
9.前記反応液にプラズマとともに他のエネルギーを照射することを特徴とする4〜8のいずれかに記載のナノ材料の製造方法。
10.他のエネルギーが超音波であることを特徴とする9に記載のナノ材料の製造方法。
11.ナノ材料が、平均粒径1nm〜10μmの微粒子であることを特徴とする4〜10のいずれかに記載のナノ材料の製造方法。
12.反応液中に配置した基材の表面に平均粒径1nm〜10μmの微粒子からなる被膜を形成することを特徴とする4〜10のいずれかに記載のナノ材料の製造方法。
As a result of intensive studies in view of the problems of the above prior art, the present inventor has adopted the above-described plasma generation electrode comprising a columnar electrode portion connected to a gas introduction tube and a high-frequency power source disposed around the gas introduction tube. The inventors have found that the object can be achieved and have completed the present invention.
 That is, the present invention employs the following
 1.In a solution reaction tank containing a reaction solution in which a raw material compound is dissolved or dispersed in a solvent, and in a solution plasma reaction apparatus in which a plasma generating electrode is provided in the solution reaction tank so as to be movable in the vertical direction of the apparatus, the plasma generating electrode together constituting a columnar electrode portion connected to the high-frequency power source arranged gas inlet tube and around the an outlet of plasma gas to the lower portion,Oite the gas inlet tube in the center of the plasma generating electrodeA solution plasma reaction apparatus characterized in that a cooling medium introduction part and a cavity part are providedaround and a high frequency input terminal for applying a high frequency from a high frequency power source is installed in the cavity part.
 2. 2. The solution plasma reaction apparatus according to 1, wherein another energy generation source is provided in the solution reaction tank.
 3. 3. The solution plasma reaction apparatus according to 2, wherein the other energy generation source is an ultrasonic generation source.
 4. Production of nanomaterials characterized by introducing gas plasma from a gas introduction tube into a reaction solution in which a raw material compound is dissolved or dispersed in a solvent in the solution plasma reactor described in any one of 4.1 to 3 Method.
 5. The reaction solution is a reaction solution in which at least one compound selected from an organometallic complex, a metal alkoxide, and a metal salt is dissolved or dispersed in a solvent selected from water, oil, and alcohol. The manufacturing method of nanomaterial as described in any one of.
 6). The nano gas according to 4 or 5, wherein thegas introduced from the gas introduction pipe is at least one gas selected from water vapor, hydrogen, ammonia, helium, argon, nitrogen, oxygen, and hydrocarbon. Material manufacturing method.
 7). 7. The method for producing a nanomaterial according to any one of 4 to 6, wherein a gas plasma is introduced into the reaction liquid in a state where the plasma generating electrode of the solution plasma reactor is immersed in the reaction liquid.
 8). 7. The method for producing a nanomaterial according to any one of 4 to 6, wherein a plasma of gas is introduced into the reaction liquid in a state where the plasma generating electrode of the solution plasma reaction apparatus is spaced upward from the liquid surface of the reaction liquid.
 9. The method for producing a nanomaterial according to any one of 4 to 8, wherein the reaction solution is irradiated with other energy together with plasma.
 10. 10. The method for producing a nanomaterial according to 9, wherein the other energy is ultrasonic.
 11. The nanomaterial production method according to any one of 4 to 10, wherein the nanomaterial is fine particles having an average particle diameter of 1 nm to 10 µm.
 12 11. The method for producing a nanomaterial according to any one of 4 to 10, wherein a film composed of fine particles having an average particle diameter of 1 nm to 10 [mu] m is formed on the surface of a substrate disposed in the reaction solution.
  本発明によれば、次のような優れた効果を得ることができる。
(1)本発明の装置では、高周波電源を用い、特異な電極構造を有するプラズマ発生電極を用いることで高いエネルギー密度から成るプラズマを発生させ、これを反応液中へ導入することにより溶液プラズマを効率良く発生させることができる。その際に、プラズマ発生電極の位置を垂直方向に移動させることにより、高いエネルギーを有するプラズマを直接又は離して反応液に導入することが出来る。
  また、電極の中心部に冷却媒体導入部を設けたことによって、電極の加熱による損傷を防止することが出来る。さらに、装置の構成が簡単で低コスト化に寄与するほか、装置の自由度が高くなり、他のエネルギー照射源(レーザー、外部加熱、超音波、マイクロ波など)との併用が容易となる。
(2)本発明の製造方法においては、その反応はプラズマから供給される放電、電磁波、熱、ラジカル、紫外線などによって完了するため、通常の溶液法で必要なpH調整剤や酸化剤、還元剤などが不要である。このために廃液の処理が容易となり、クリーンな方法となっている。
  そして、通常の気相法で必須とされている真空装置を必要とせず、また加熱温度による制約あるいは材料選択性の厳しい条件に拘束されることもなく、実質的にあらゆる原料からのシングルナノレベル材料を製造することが可能である。
  また、溶液中でのプロセスであり、例えば水中においては本質的に温度は100度以下となるため、成膜に使用する基材として幅広い材質や形状を有するものを選択することが可能となる。従って、金属材料はもとより、エンジニアリングプラスチック、セラミックス誘電材料又は圧電材料、半導体材料、触媒等の製造にも適用できる。
  以上のように、本発明は簡単な工程により低コストでシングルナノレベルの結晶粒子からなる金属、合金又は無機化合物の調製を可能とするものであり、電気電子分野から農業分野までの種々の産業界、医療分野あるいは各種の生活環境に幅広く応用することができる。According to the present invention, the following excellent effects can be obtained.
 (1) In the apparatus of the present invention, a plasma having a high energy density is generated by using a high-frequency power source and a plasma generating electrode having a unique electrode structure, and this is introduced into a reaction solution to generate a solution plasma. It can be generated efficiently. At that time, by moving the position of the plasma generating electrode in the vertical direction, plasma having high energy can be introduced directly or separated into the reaction solution.
 In addition, by providing the cooling medium introduction portion at the center of the electrode, damage due to heating of the electrode can be prevented. Furthermore, the configuration of the apparatus is simple and contributes to cost reduction, and the degree of freedom of the apparatus is increased, and the combined use with other energy irradiation sources (laser, external heating, ultrasonic wave, microwave, etc.) becomes easy.
 (2) In the production method of the present invention, the reaction is completed by discharge, electromagnetic waves, heat, radicals, ultraviolet rays, etc. supplied from plasma, so that the pH adjusting agent, oxidizing agent, reducing agent required in the usual solution method Etc. are unnecessary. For this reason, it becomes easy to process the waste liquid and it is a clean method.
 In addition, it does not require a vacuum device, which is essential for ordinary vapor phase processes, and is not restricted by heating temperature or severe material selectivity conditions. It is possible to produce a material.
 In addition, since the process is in solution, for example, in water, the temperature is essentially 100 ° C. or lower, so it is possible to select a substrate having a wide range of materials and shapes for use in film formation. Therefore, it can be applied not only to metal materials, but also to the production of engineering plastics, ceramic dielectric materials or piezoelectric materials, semiconductor materials, catalysts and the like.
 As described above, the present invention enables preparation of metals, alloys or inorganic compounds composed of single nano-level crystal particles at a low cost by a simple process, and can be used in various industries from the electrical and electronic fields to the agricultural field. It can be widely applied to the world, medical field or various living environments.
  つぎに、本発明の好適な実施形態について図面を参照しながら説明するが、以下の具体例は本発明を限定するものではない。
  図1及び図2は、本発明の溶液プラズマ反応装置の一例を示す断面模式図である。この反応装置は、溶液反応槽1及び該反応槽1内に配置されるプラズマ発生電極2を具備するもので、プラズマ発生電極2は、中心部に配置したガス導入管3及びその周囲に配置した円柱状の電極部4により構成される。プラズマ発生電極2は、プラズマ発生により高温に加熱されるため、電極部4の中心には冷却媒体導入部5が設置されており、空冷もしくは水冷等により冷却可能となっている。また、電極部4には高周波電源(図示せず)から高周波を印加する高周波入力端子6が、電極部4の外側から電極部4の中心部の空洞9に達するように設けられている。
  反応液8を収容した反応槽1内には、プラズマとともに照射する他のエネルギー発生源として、超音波発生装置7が設置されている。なお、この超音波発生装置7は、省略することもできる。Next, preferred embodiments of the present invention will be described with reference to the drawings, but the following specific examples do not limit the present invention.
 1 and 2 are schematic cross-sectional views showing an example of the solution plasma reaction apparatus of the present invention. This reaction apparatus comprises a
 An
    このプラズマ発生電極2は、図1にみられるように電極2の下端部を反応液8中に浸漬させた状態と、図2にみられるように電極2の下端部を反応液8の液面から離間させた状態との間で、駆動装置(図示せず)により垂直方向に移動可能となるように構成されている。
  図1の状態で、ガス導入管3からガスを導入しながら、プラズマ発生電極2に高周波入力端子6から高周波を印加すると、ガス導入管3から入ったガスが高周波入力端子6から導入された電場によりプラズマ化し、このプラズマが反応槽1内の反応液8に導入され、反応液の一部が直接プラズマ化して溶液プラズマを形成する。これをダイレクト溶液プラズマと呼ぶ。ダイレクト溶液プラズマでは、放電、ラジカル、熱の効果を直接かつ効果的に反応液に伝えることが出来る。The
 In the state of FIG. 1, when a high frequency is applied from the high
  一方、図2の状態でプラズマ発生電極2に高周波を印加すると、反応液8は入力された高周波では直接プラズマ化せず、導入されたガスによるプラズマを介して間接的にプラズマ化する。これをリモート溶液プラズマと呼ぶ。この際、プラズマ発生電極2の下端部と反応液表面との距離は、通常は0.1mm〜5cm程度、好ましくは0.1mm〜1cm程度である。リモート溶液プラズマでは、電極や治具に触れないことから反応液の純度を保つことが出来る。  On the other hand, when a high frequency is applied to the
  また、高周波入力端子6と電極2の下端部までの長さLをギャップ長と呼ぶ(図2参照)。このギャップ長Lは、1mm程度〜10cm程度の範囲で適宜選択することができるが、通常は1cm〜5cm程度とすることが好ましい。
  ギャップ長Lが10cmを超えると、効率的にプラズマが溶液に伝播しなくなる。また、Lが1mm以下では、高周波の漏れ電場が急激に大きくなるため、周辺に電磁波シールドが必要となり実用上問題が生じる。Moreover, the length L to the lower end part of the high
 When the gap length L exceeds 10 cm, the plasma does not efficiently propagate to the solution. On the other hand, when L is 1 mm or less, the high-frequency leakage electric field is rapidly increased, so that an electromagnetic wave shield is required in the periphery, which causes a practical problem.
  プラズマ発生電極2を構成する各部材の材質や寸法は、金属、セラミックス等通常用いられる材料を使用して任意に選択することが出来る。例えば、電極部4としてはアルミニウム、真鍮等の熱伝導性の良い金属類が好適に用いられ、高周波入力端子6としてはステンレス等の剛性の高い金属類を使用することができる。そして、ガス導入管3としては石英、アルミナ等の耐熱性セラミックスが好適に用いられ、その直径としては、通常は100μm〜50cm程度とすることが好ましい。
  また、入力する高周波には反応液を効率的にプラズマ化するために、最適な高周波出力と周波数がある。これらは、ガス導入管3の直径、導入するガス種と流量及び、溶媒の種類と量に応じて選択されるが、出力としては1W〜10kW程度、好ましくは100W〜6kWで程度あり、その周波数は1kHz〜100GHz程度、好ましくは20MHz〜10GHz程度である。また、プラズマ発生電極の電界密度は1×105V/m以上、特に1×107〜1×109V/m程度とすることが好ましい。The material and dimensions of each member constituting the
 Further, the input high frequency has an optimal high frequency output and frequency in order to efficiently convert the reaction liquid into plasma. These are selected according to the diameter of the
  つぎに、本発明の溶液プラズマ製造装置を使用して、ナノ材料を製造する方法について説明する。
  ナノ材料の原料となる好ましい反応液としては、各種の有機金属錯体、金属アルコキシド及び金属塩等から選択された、金属を含有する少なくとも1種の化合物を、水、油(例えば、ケロシン、ベンゼン、トルエン等の炭化水素系油)、アルコール(例えば、メタノール、エタノール等の脂肪族アルコール)から選択された溶媒に溶解又は分散したものを使用することができる。
  このような化合物としては、有機金属錯体、金属アルコキシド及び金属塩の少なくとも1種を用いることが好ましい。これらの化合物は、分解温度が通常は20℃〜1000℃程度、特に20〜350℃の範囲にあるものを用いるのが適当である。これらのうち、蒸気圧が高く、分解温度が低い化合物をより好ましく使用することができる。また、これら化合物の溶解性が低い場合は分散性を高めるために処理中に溶液を撹拌する。Next, a method for producing a nanomaterial using the solution plasma production apparatus of the present invention will be described.
 As a preferable reaction solution used as a raw material of the nanomaterial, at least one compound containing metal selected from various organometallic complexes, metal alkoxides, metal salts, and the like, water, oil (for example, kerosene, benzene, It is possible to use those dissolved or dispersed in a solvent selected from hydrocarbon oils such as toluene) and alcohols (for example, aliphatic alcohols such as methanol and ethanol).
 As such a compound, it is preferable to use at least one of an organometallic complex, a metal alkoxide, and a metal salt. It is appropriate to use those compounds whose decomposition temperature is usually in the range of about 20 ° C to 1000 ° C, particularly 20 to 350 ° C. Of these, compounds having a high vapor pressure and a low decomposition temperature can be more preferably used. In addition, when the solubility of these compounds is low, the solution is stirred during the treatment in order to enhance dispersibility.
有機金属錯体としては限定的ではないが、特にβジケトン類が好ましい。とりわけ、アセチルアセトナト配位子(acac)、ジピバロイルメタナト配位子(DPM)、ジイソブチルメタナト配位子(DIBM)、2,2,6,6−テトラメチル−3,5−オクタンジオナト配位子(TMOD)及び6−エチル−2,2−ジメチル−3,5−オクタンジオナト配位子(EDMOD)の少なくとも1種の配位子を有する錯体を好適に用いることができる。より具体的には、Pd(acac)2、Pt(acac)2、Ni(acac)2、Fe(acac)2、Sn(acac)2、In(acac)2、Cu(acac)2、Mg(DPM)2、La(DPM)3、Zr(DPM)4、Ti(DPM)2(O−iso-C3H7)2等が挙げられる。The organometallic complex is not limited, but β diketones are particularly preferred. Among them, acetylacetonato ligand (acac), dipivaloylmethanato ligand (DPM), diisobutylmethanato ligand (DIBM), 2,2,6,6-tetramethyl-3,5-octane A complex having at least one kind of ligand such as diato ligand (TMOD) and 6-ethyl-2,2-dimethyl-3,5-octane dionato ligand (EDMOD) can be suitably used. . More specifically, Pd (acac)2 , Pt (acac)2 , Ni (acac)2 , Fe (acac)2 , Sn (acac)2 , In (acac)2 , Cu (acac)2 , Mg (DPM) 2, La (DPM) 3, Zr (DPM) 4, Ti (DPM) 2 (O-iso-C 3 H 7) 2 and the like.
  金属アルコキシドとしては、例えばSi(OC2H5)5、Sb(OCH2O5)3、Ti(OC3H7)4、Zr(O−iso-C3H7)4、Al(O−iso-C3H7)3等を挙げることができる。
  また、金属塩としては、塩化物、臭化物などの金属ハロゲン化物を好適に用いることが出来る。より具体的には、塩化鉄、塩化白金、塩化ニッケル、HAuCl4, K2PtCl4, Na2PdCl4等を挙げることができる。
  これらの中でも、生成物中に残渣が残らないという点で、有機金属錯体を用いるのが好ましい。Examples of the metal alkoxide include Si (OC2 H5 )5 , Sb (OCH2 O5 )3 , Ti (OC3 H7 )4 , Zr (O-iso-C3 H7 )4 , Al (O— iso-C3 H7 )3 and the like.
 As the metal salt, metal halides such as chlorides and bromides can be preferably used. More specifically, iron chloride, platinum chloride, nickel chloride, HAuCl4 , K2 PtCl4 , Na2 PdCl4 and the like can be mentioned.
 Among these, it is preferable to use an organometallic complex in that no residue remains in the product.
  上記化合物中の金属の種類としては特に制限されず、触媒特性、発光特性、その他の各種の所望の性能に応じて適宜選択することができる。例えば、金、銀、銅、白金、パラジウム、ニッケル、鉄、アルミニウム、マグネシウム等が例示される。これらは1種又は2種以上を組合わせて用いることができる。2種以上を用いる場合は、合金又は金属間化合物からなるナノ粒子又は被膜を形成することも可能である。この場合、互いに金属種のみ異なる第2相供給源を2種以上用いても良いし、あるいは互いに金属種及び有機部位の双方が異なる第2相供給源を2種以上使用しても良い。
  使用する化合物の純度は特に限定されないが、97%以上の純度をもつものが好ましく利用される。これらの化合物の反応液中の濃度は適宜選択することができるが、通常は0.01〜40重量%程度、好ましくは0.1〜20重量%程度である。The type of metal in the compound is not particularly limited, and can be appropriately selected according to catalyst characteristics, light emission characteristics, and other various desired performances. For example, gold, silver, copper, platinum, palladium, nickel, iron, aluminum, magnesium and the like are exemplified. These can be used alone or in combination of two or more. When using 2 or more types, it is also possible to form the nanoparticle or film which consists of an alloy or an intermetallic compound. In this case, two or more second-phase supply sources that differ only in metal species may be used, or two or more second-phase supply sources that differ in both metal species and organic sites may be used.
 The purity of the compound to be used is not particularly limited, but a compound having a purity of 97% or more is preferably used. The concentration of these compounds in the reaction solution can be appropriately selected, but is usually about 0.01 to 40% by weight, preferably about 0.1 to 20% by weight.
  これらの化合物を含有する反応液からナノ材料を製造するには、はじめに、反応液8を本発明の溶液プラズマ反応装置の溶液反応槽1内に収容する。ついで、ガス導入管3から、水蒸気、水素、アンモニア、ヘリウム、アルゴン、窒素、酸素、炭化水素から選択された少なくとも1種のガスを20mL/分〜50L/分程度、好ましくは100mL/分〜5L/分程度導入し、高周波入力端子6から高周波を印加してプラズマを発生させ、これを溶液反応槽1に導入することで溶液プラズマを形成させる。  In order to produce a nanomaterial from a reaction solution containing these compounds, first, the
  この溶液プラズマによって、反応液中の金属原料が分解、還元又は加熱されることにより凝集し、粒子径が1nm〜10μm程度の粒子が形成される。このようなナノ粒子の構造は透過型電子顕微鏡などにより容易に確認することが出来る。
  ナノ粒子からなる被膜を形成するには、反応液中に例えば板状体のような基材を配置し、溶液プラズマを発生させることによって、基材表面にナノ粒子からなる被膜を形成することができる。By this solution plasma, the metal raw material in the reaction solution is decomposed, reduced or heated to aggregate, and particles having a particle diameter of about 1 nm to 10 μm are formed. The structure of such nanoparticles can be easily confirmed with a transmission electron microscope or the like.
 In order to form a film made of nanoparticles, a film made of nanoparticles is formed on the surface of the substrate by placing a substrate such as a plate-like body in the reaction solution and generating solution plasma. it can.
本発明によれば、反応液がダイレクト溶液プラズマまたはリモート溶液プラズマに晒されることによって、プラズマにより発生する放電、水素ラジカルを初めとした活性種、熱、紫外線などの効果により原料化合物が単に分解されるだけでなく、更に還元析出するとともに、溶液と反応することによって、金属、合金或いは無機化合物を含有するナノ粒子又は被膜が形成される。 According to the present invention, when the reaction solution is exposed to direct solution plasma or remote solution plasma, the raw material compound is simply decomposed by the effects of discharge generated by the plasma, active species such as hydrogen radicals, heat, and ultraviolet rays. In addition to reduction deposition, the nanoparticle or coating containing a metal, alloy or inorganic compound is formed by reacting with the solution.
本発明では、反応液中にダイレクト溶液プラズマ又はリモート溶液プラズマを形成するものであるため、反応の自由度が高くなる。特に、リモート溶液プラズマにおいては、反応液部の構成の自由度が高く、例えば図1、2にみられるように、超音波等の他のエネルギーを同時に印加することが可能となる。このエネルギーの種類としては、熱、光(赤外線、紫外線、レーザーを含む)、超音波、電磁場(マイクロ波、テラヘルツ波を含む)などの何れもが利用可能である。特に、超音波を照射した際には、得られた粒子の分散性が向上するので好ましい。この超音波の周波数としては、10kHz〜1MHzのものを用いることが出来るが、分散を目的とした場合には20〜100kHzが好ましい。また、この際の超音波発生方法としては、ホーン式、ランジュバン振動子式などが挙げられるが、溶液タンクの形状に併せて適宜利用すればよい。 In the present invention, since direct solution plasma or remote solution plasma is formed in the reaction solution, the degree of freedom in the reaction is increased. In particular, in the remote solution plasma, the degree of freedom of the configuration of the reaction liquid portion is high, and other energy such as ultrasonic waves can be simultaneously applied as seen in FIGS. As this energy type, any of heat, light (including infrared rays, ultraviolet rays, and lasers), ultrasonic waves, electromagnetic fields (including microwaves and terahertz waves) can be used. In particular, irradiation with ultrasonic waves is preferable because the dispersibility of the obtained particles is improved. As the frequency of this ultrasonic wave, a frequency of 10 kHz to 1 MHz can be used, but 20 to 100 kHz is preferable for the purpose of dispersion. In addition, examples of the ultrasonic wave generation method at this time include a horn type and a Langevin vibrator type, and may be appropriately used in accordance with the shape of the solution tank.
  以下、実施例により本発明をさらに具体的に説明するが、本発明はこれらの具体例に限定されるものではない。
(実施例1)
  図2に示される溶液プラズマ反応装置を使用し、プラズマ発生電極2に2.45GHz、最大出力6kWからなる高周波電源を接続した。その際に、ギャップ長Lを3cmとし、電極2の下端部と液面との距離は1mmに固定した。また、プラズマ発生ガスとしてヘリウム(純度99.99%)を使用した。反応液8としては、溶媒として水(50mL)を使用し、金属供給源としてテトラクロロ金酸(HAuCl4)を0.5mM/Lとなるよう秤量した後、水と混合し、十分に撹拌することで水溶液を調製し溶液反応槽1にセットした。
  この反応液に対して、ヘリウム流量1L/分にて出力500Wで高周波を印加し、得られたヘリウムのプラズマを反応液8内に導入して、10分間保持した。EXAMPLES Hereinafter, the present invention will be described more specifically with reference to examples, but the present invention is not limited to these specific examples.
 Example 1
 The solution plasma reactor shown in FIG. 2 was used, and a high frequency power source consisting of 2.45 GHz and a maximum output of 6 kW was connected to the
 A high frequency was applied to the reaction solution at an output of 500 W at a helium flow rate of 1 L / min, and the resulting helium plasma was introduced into the
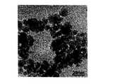
得られた溶液をコロジオン膜に滴下し、乾燥後に透過型電子顕微鏡により観察した結果を図3に示す。図3に示すように、平均粒径7nmの金粒子からなるナノ材料が得られていることが確認された。また、テトラクロロ金酸(HAuCl4)の濃度を増すことにより、その粒径は若干大きくなることが明らかとなった。The obtained solution is dropped on the collodion film, and the result of observation with a transmission electron microscope after drying is shown in FIG. As shown in FIG. 3, it was confirmed that a nanomaterial composed of gold particles having an average particle diameter of 7 nm was obtained. It was also found that the particle size slightly increased by increasing the concentration of tetrachloroauric acid (HAuCl4 ).
(実施例2)
  図2に示される溶液プラズマ反応装置を使用し、プラズマ発生電極2に2.45GHz、最大出力6kWからなる高周波電源を接続した。その際に、ギャップ長Lを3cmとし、電極2の下端部と液面との距離は1mmに固定した。この例では、ランジュバン振動子式で周波数40kHz、出力90Wの超音波発生装置7を反応槽1内に設置して、超音波照射を行った。
  また、プラズマ発生ガスとしてヘリウム(純度99.99%)を使用した。反応液8としては、溶媒として水(50mL)を使用し、金属供給源として、テトラクロロ金酸を0.5mM/Lとなるよう秤量した後、溶媒である水と混合し、十分に撹拌することで水溶液を調製し溶液反応槽1にセットした。この反応液8に対して、ヘリウム流量1L/分にて出力500Wで高周波を印加し、得られたヘリウムのプラズマを反応液内に導入して、超音波を同時に照射しながら10分間保持した。得られた溶液をコロジオン膜に滴下し、乾燥後に透過型電子顕微鏡により観察した結果を図4に示す。図4に示すように、平均粒径7nmの金粒子からなるナノ材料が得られていることが確認された。この例では、粒子が凝集している実施例1とは異なり、ほぼ単分散状態の粒子が得られていることが確認された。(Example 2)
 The solution plasma reactor shown in FIG. 2 was used, and a high frequency power source consisting of 2.45 GHz and a maximum output of 6 kW was connected to the
 Further, helium (purity 99.99%) was used as a plasma generating gas. As the
(実施例3)
    実施例2において、金属供給源としてテトラクロロ 白金(II)酸カリウム(K2PtCl4)を用いた以外は、実施例2と同様にして溶液プラズマ反応を行った。得られた溶液をコロジオン膜に滴下し、乾燥後に透過型電子顕微鏡により観察した結果を図5に示す。図5に示すように、平均粒径6nmからなる白金粒子からなるナノ材料が得られていることが確認された。この例でも、実施例2と同様に、ほぼ単分散状態の粒子が得られていることが確認された。(Example 3)
 In Example 2, a solution plasma reaction was performed in the same manner as in Example 2 except that potassium tetrachloroplatinate (II) (K2 PtCl4 ) was used as the metal supply source. The obtained solution was dropped on the collodion film, and the result of observation with a transmission electron microscope after drying was shown in FIG. As shown in FIG. 5, it was confirmed that a nanomaterial composed of platinum particles having an average particle diameter of 6 nm was obtained. Also in this example, as in Example 2, it was confirmed that substantially monodispersed particles were obtained.
  実施例2及び3で得られたナノ材料を、1nm以下の分解能を有する透過型電子顕微鏡で観察しても、金、もしくは白金粒子以外の不純物は確認されず、超音波を併用する本発明の方法が極めて清浄なナノ材料の製造方法であることを確認した。
  上記の通り、本発明の新規な電極構造を有する溶液プラズマ発生装置を用いることによって、真空系のような制約の多い手段を必要とせずに、しかも溶液中への汚染等のおそれや材料選択についての制限を受けずに、簡便な工程によって、微細な形態を有するナノ材料を低コストで効率良く製造することができる。Even when the nanomaterials obtained in Examples 2 and 3 were observed with a transmission electron microscope having a resolution of 1 nm or less, impurities other than gold or platinum particles were not confirmed, and ultrasonic waves were used together. It was confirmed that the method is a method of producing a very clean nanomaterial.
 As described above, by using the solution plasma generator having the novel electrode structure of the present invention, there is no need for a highly restrictive means such as a vacuum system, and there is a risk of contamination into the solution and material selection. Without being restricted, nanomaterials having a fine form can be efficiently produced at low cost by a simple process.
  1          溶液反応槽
  2          プラズマ発生電極
  3          ガス導入管
  4          電極部
  5          冷却媒体導入部
  6          高周波入力端子
  7          超音波発生装置
  8          反応液
  9          空洞DESCRIPTION OF
| Application Number | Priority Date | Filing Date | Title | 
|---|---|---|---|
| JP2006250221AJP5286517B2 (en) | 2006-09-15 | 2006-09-15 | Solution plasma reactor and method for producing nanomaterials using the device | 
| Application Number | Priority Date | Filing Date | Title | 
|---|---|---|---|
| JP2006250221AJP5286517B2 (en) | 2006-09-15 | 2006-09-15 | Solution plasma reactor and method for producing nanomaterials using the device | 
| Publication Number | Publication Date | 
|---|---|
| JP2008071656A JP2008071656A (en) | 2008-03-27 | 
| JP5286517B2true JP5286517B2 (en) | 2013-09-11 | 
| Application Number | Title | Priority Date | Filing Date | 
|---|---|---|---|
| JP2006250221AActiveJP5286517B2 (en) | 2006-09-15 | 2006-09-15 | Solution plasma reactor and method for producing nanomaterials using the device | 
| Country | Link | 
|---|---|
| JP (1) | JP5286517B2 (en) | 
| Publication number | Priority date | Publication date | Assignee | Title | 
|---|---|---|---|---|
| US9288886B2 (en) | 2008-05-30 | 2016-03-15 | Colorado State University Research Foundation | Plasma-based chemical source device and method of use thereof | 
| US8994270B2 (en) | 2008-05-30 | 2015-03-31 | Colorado State University Research Foundation | System and methods for plasma application | 
| JP5369576B2 (en)* | 2008-09-24 | 2013-12-18 | 株式会社豊田中央研究所 | Metal nanoparticle, method for producing the same, and metal nanoparticle production apparatus | 
| JP5408605B2 (en)* | 2008-11-21 | 2014-02-05 | 国立大学法人 東京大学 | Nanoparticle production apparatus and nanoparticle production method | 
| JP5472601B2 (en)* | 2009-09-11 | 2014-04-16 | 国立大学法人北海道大学 | In-liquid plasma processing apparatus, metal nanoparticle manufacturing method, and metal carrier manufacturing method | 
| CA2794895A1 (en)* | 2010-03-31 | 2011-10-06 | Colorado State University Research Foundation | Liquid-gas interface plasma device | 
| JP5817960B2 (en)* | 2011-02-28 | 2015-11-18 | 国立大学法人北海道大学 | Metal recovery method and metal recovery apparatus | 
| JP5875413B2 (en)* | 2012-03-06 | 2016-03-02 | 株式会社アルバック | Method for producing metal fine particles | 
| KR101406588B1 (en) | 2012-09-21 | 2014-06-11 | 제주대학교 산학협력단 | Method for preparing linear metal nanoparticles | 
| JP6143260B2 (en)* | 2013-02-12 | 2017-06-07 | 学校法人東京理科大学 | Method and apparatus for producing composite nanoparticles | 
| JP6112508B2 (en)* | 2013-02-13 | 2017-04-12 | 国立大学法人名古屋大学 | Method for producing metal nanoparticles | 
| US9532826B2 (en) | 2013-03-06 | 2017-01-03 | Covidien Lp | System and method for sinus surgery | 
| US9555145B2 (en) | 2013-03-13 | 2017-01-31 | Covidien Lp | System and method for biofilm remediation | 
| US9475710B2 (en) | 2013-03-14 | 2016-10-25 | North Carolina State University | Very high frequency (VHF) driven atmospheric plasma sources and point of use fertigation of irrigation water utilizing plasma production of nitrogen bearing species | 
| US10368939B2 (en) | 2015-10-29 | 2019-08-06 | Covidien Lp | Non-stick coated electrosurgical instruments and method for manufacturing the same | 
| US10441349B2 (en) | 2015-10-29 | 2019-10-15 | Covidien Lp | Non-stick coated electrosurgical instruments and method for manufacturing the same | 
| JP6823233B2 (en)* | 2016-08-24 | 2021-02-03 | 国立大学法人北海道大学 | Manufacturing method of metal particles | 
| US11432869B2 (en) | 2017-09-22 | 2022-09-06 | Covidien Lp | Method for coating electrosurgical tissue sealing device with non-stick coating | 
| US10709497B2 (en) | 2017-09-22 | 2020-07-14 | Covidien Lp | Electrosurgical tissue sealing device with non-stick coating | 
| CN108405873A (en)* | 2018-04-26 | 2018-08-17 | 白西燕 | A kind of nanometer metal micropowder preparation method and its preparation system | 
| JP7126195B2 (en)* | 2018-09-05 | 2022-08-26 | 日本メナード化粧品株式会社 | Method for producing gold nanoparticle-supported powder | 
| US11207124B2 (en) | 2019-07-08 | 2021-12-28 | Covidien Lp | Electrosurgical system for use with non-stick coated electrodes | 
| US11369427B2 (en) | 2019-12-17 | 2022-06-28 | Covidien Lp | System and method of manufacturing non-stick coated electrodes | 
| JP7551076B2 (en)* | 2020-04-25 | 2024-09-17 | 日本メナード化粧品株式会社 | Method for producing gold nanoparticle-supported powder | 
| CN113318795B (en)* | 2021-06-24 | 2023-07-14 | 大连海事大学 | Device and method for preparing liquid metal catalyst by plasma | 
| CN114477362B (en)* | 2022-02-24 | 2023-03-17 | 西安电子科技大学 | A Plasma Activation Water Device Based on Piezoelectric Material | 
| CN116043256B (en)* | 2022-11-11 | 2024-05-07 | 石河子大学 | A method for preparing oxyhydroxide by in-situ synthesis of solution plasma | 
| Publication number | Priority date | Publication date | Assignee | Title | 
|---|---|---|---|---|
| JPH07130493A (en)* | 1993-11-04 | 1995-05-19 | Mitsubishi Heavy Ind Ltd | Method and device for cooling microwave discharge tube | 
| JP4041224B2 (en)* | 1998-09-25 | 2008-01-30 | 正之 佐藤 | Liquid processing method and liquid processing apparatus | 
| JP2004306029A (en)* | 2003-03-27 | 2004-11-04 | Techno Network Shikoku Co Ltd | Chemical reactor and decomposing method of toxic substance | 
| JP4446030B2 (en)* | 2003-09-30 | 2010-04-07 | 国立大学法人愛媛大学 | Liquid plasma generator and liquid plasma generation method | 
| JP4560621B2 (en)* | 2004-09-21 | 2010-10-13 | 国立大学法人山梨大学 | Method for producing fine particle catalyst, alloy fine particle catalyst or composite oxide fine particle catalyst, apparatus therefor, and method for using the same | 
| JP4577684B2 (en)* | 2005-01-24 | 2010-11-10 | 国立大学法人名古屋大学 | Plasma generator and method for optimizing its power supply efficiency | 
| JP4022590B2 (en)* | 2005-03-25 | 2007-12-19 | 株式会社エーイーティー | Microwave plasma generator | 
| Publication number | Publication date | 
|---|---|
| JP2008071656A (en) | 2008-03-27 | 
| Publication | Publication Date | Title | 
|---|---|---|
| JP5286517B2 (en) | Solution plasma reactor and method for producing nanomaterials using the device | |
| Saito et al. | Nanomaterial synthesis using plasma generation in liquid | |
| Lin et al. | Microplasma: a new generation of technology for functional nanomaterial synthesis | |
| KR102230714B1 (en) | Seed member particles with carbon allotropes | |
| Kharisov et al. | Handbook of less-common nanostructures | |
| Ayuk et al. | A review on synthetic methods of nanostructured materials | |
| Levchenko et al. | Lightning under water: Diverse reactive environments and evidence of synergistic effects for material treatment and activation | |
| CN103862031B (en) | Composite nano metal materials prepared in combination with ordered porous support or rough surface and method thereof | |
| JP5472601B2 (en) | In-liquid plasma processing apparatus, metal nanoparticle manufacturing method, and metal carrier manufacturing method | |
| Lebedev | Microwave discharges in liquids: fields of applications | |
| Bulychev | Obtaining nanosized materials in plasma discharge and ultrasonic cavitation | |
| Alexandrescu et al. | Combining resonant/non-resonant processes: Nanometer-scale iron-based material preparation via CO2 laser pyrolysis | |
| JP6090773B2 (en) | Method for producing alloy nanoparticles | |
| Patil et al. | Sonochemistry: a greener protocol for nanoparticles synthesis | |
| Burakov et al. | Synthesis and modification of molecular nanoparticles in electrical discharge plasma in liquids | |
| Lin et al. | Synthesis of Ni nanoparticles with controllable magnetic properties by atmospheric pressure microplasma assisted process | |
| CN102909388A (en) | Gold-silver alloy nano particle prepared with assistant of atmospheric pressure micro-plasma fluid phase | |
| Kawamura et al. | TiO2-supported Au144 nanoclusters for enhanced sonocatalytic performance | |
| Kranz et al. | Size-dependent threshold of the laser-induced phase transition of colloidally dispersed copper oxide nanoparticles | |
| KR101406588B1 (en) | Method for preparing linear metal nanoparticles | |
| Heng et al. | Plasma‐Assisted Material Preparation Strategies and Property Optimization | |
| JP2014097476A (en) | Method for producing noble metal carrying photocatalyst particle | |
| Er | Synthesis of silver nanoparticles using a plasma-liquid process | |
| KR20030024382A (en) | Methods for Preparation of Nano-Sized Metal Colloid | |
| RU2618484C1 (en) | Method of metal-carbon compounds forming on basis of shungite, gold and silver nanoparticles | 
| Date | Code | Title | Description | 
|---|---|---|---|
| A621 | Written request for application examination | Free format text:JAPANESE INTERMEDIATE CODE: A621 Effective date:20090725 | |
| A977 | Report on retrieval | Free format text:JAPANESE INTERMEDIATE CODE: A971007 Effective date:20110912 | |
| A131 | Notification of reasons for refusal | Free format text:JAPANESE INTERMEDIATE CODE: A131 Effective date:20111004 | |
| A521 | Written amendment | Free format text:JAPANESE INTERMEDIATE CODE: A523 Effective date:20111202 | |
| A131 | Notification of reasons for refusal | Free format text:JAPANESE INTERMEDIATE CODE: A131 Effective date:20120925 | |
| A521 | Written amendment | Free format text:JAPANESE INTERMEDIATE CODE: A523 Effective date:20121122 | |
| TRDD | Decision of grant or rejection written | ||
| A01 | Written decision to grant a patent or to grant a registration (utility model) | Free format text:JAPANESE INTERMEDIATE CODE: A01 Effective date:20130507 | |
| A61 | First payment of annual fees (during grant procedure) | Free format text:JAPANESE INTERMEDIATE CODE: A61 Effective date:20130514 | |
| R150 | Certificate of patent or registration of utility model | Free format text:JAPANESE INTERMEDIATE CODE: R150 |