




技术领域technical field
本发明涉及医疗器械领域,特别是涉及一种药物球囊及其制备方法。The invention relates to the field of medical devices, in particular to a drug balloon and a preparation method thereof.
背景技术Background technique
近年来,药物涂层支架在治疗血管狭窄方面取得了极大的成功。但长期的临床试验结果表明,药物涂层支架会对人体产生由金属构架和多聚物载体造成的副反应及血管内晚期血栓的风险,术后产生的支架内再狭窄也成为了另一棘手的问题。在随后的新器械和治疗技术的研究中,药物洗脱球囊(以下简称“DCB”或“药物球囊”)成为了治疗支架内再狭窄的新兴手段,由于其独特优势而得到了广泛应用。In recent years, drug-eluting stents have achieved great success in the treatment of vascular stenosis. However, the results of long-term clinical trials have shown that drug-coated stents will cause side effects caused by the metal framework and polymer carriers and the risk of late intravascular thrombosis in the human body. In-stent restenosis after surgery has also become another thorny issue. The problem. In the subsequent research on new devices and treatment techniques, drug-eluting balloon (hereinafter referred to as "DCB" or "drug balloon") has become an emerging means of treating in-stent restenosis, and has been widely used due to its unique advantages .
DCB的作用机理是将抗细胞增殖药物均匀涂覆在球囊表面,将其运送到血管病变部位后,通过球囊的短时间扩张撕裂并挤压血管,使得药物快速释放并粘附在血管壁后撤离球囊,药物的短期暴露就能达到较长时间治疗效果的目的。DCB的独特构造避免了由金属构架和多聚物载体造成的副反应。DCB的优点在于将药物均匀涂布于球囊表面,在其扩张过程中将药物均匀释放在血管壁,避免了药物在部分血管壁区域的富集而造成人体的全身毒副作用。目前市场上DCB涂层中药物成分主要使用紫杉醇,紫杉醇基药物球囊导管抑制血管管腔再狭窄的有效性在大量临床研究和上市后研究中得到了高度肯定,但其安全性却存在质疑。鉴于FDA在2019年1月17日、3月15日、6月19日发出紫杉醇药物涂层产品风险警示,“使用紫杉醇药物洗脱球囊和药物洗脱支架治疗下肢动脉疾病患者的晚期死亡率可能增加。”FDA最终对批准上市的产品,要求在其说明书的“警告和预防措施”中增加了:“患者使用紫杉醇涂层球囊和紫杉醇洗脱支架治疗股腘动脉狭窄后,与非药物涂层产品相比,在术后大约2~3年会观察到晚期死亡风险增加的信号。关于晚期死亡风险增加的程度和机制,包括是否来源于其他产品的影响,存在不确定性。医生应该与患者讨论并说明晚期死亡风险增加的可能,以及不同治疗方案的好处和风险。”因此,现在对于下一代的药物涂层器械,药物主要选择是雷帕霉素。The mechanism of action of DCB is to evenly coat the anti-cell proliferation drug on the surface of the balloon, and after delivering it to the vascular lesion site, the short-term expansion of the balloon tears and squeezes the blood vessel, so that the drug is released quickly and adheres to the blood vessel By withdrawing the balloon behind the wall, short-term exposure of the drug can achieve the purpose of longer-term therapeutic effect. The unique structure of DCB avoids side reactions caused by metal framework and polymer support. The advantage of DCB is that the drug is evenly coated on the surface of the balloon, and the drug is evenly released on the blood vessel wall during its expansion, which avoids systemic toxic side effects of the human body caused by the accumulation of the drug in some areas of the blood vessel wall. At present, paclitaxel is mainly used as the drug ingredient in DCB coating on the market. The effectiveness of paclitaxel-based drug balloon catheters in inhibiting vascular lumen restenosis has been highly affirmed in a large number of clinical studies and post-marketing studies, but its safety has been questioned. In light of FDA’s risk alerts for paclitaxel drug-coated products on January 17, March 15, and June 19, 2019, “Late mortality in patients with lower extremity arterial disease treated with paclitaxel drug-eluting balloons and drug-eluting stents may increase.” The FDA finally added the following to the “Warnings and Precautions” of the product labeling for approved products: “Paclitaxel-coated balloons and paclitaxel-eluting stents are used in patients with femoropopliteal artery stenosis, and non-drug Signs of an increased risk of late death compared with coated products are observed approximately 2 to 3 years after surgery. Uncertainty exists regarding the extent and mechanism of the increased risk of late death, including whether it is derived from the effects of other products. Physicians should Discuss with the patient and explain the potential for increased risk of late mortality, and the benefits and risks of different treatment options." So now for the next generation of drug-coated devices, the main drug of choice is rapamycin.
雷帕霉素对比紫杉醇优缺点明显,雷帕霉素在抑制平滑肌细胞和内膜增生上作用与紫杉醇相近,在加速细胞凋亡、安全剂量、抗再狭窄等方面明显优于紫杉醇。但是其缺点在于组织吸收慢,在血管壁上滞留时间短。因此设计一款高转载(药物涂层转载于血管壁),缓释放(药物在血管壁上的滞留时间)的药物涂层是雷帕霉素基涂层球囊成功的关键。Compared with paclitaxel, rapamycin has obvious advantages and disadvantages. Rapamycin is similar to paclitaxel in inhibiting smooth muscle cells and intimal hyperplasia, and is significantly better than paclitaxel in accelerating cell apoptosis, safe dose, and anti-restenosis. However, its disadvantages are slow tissue absorption and short residence time on the vessel wall. Therefore, it is the key to the success of the rapamycin-based coated balloon to design a drug coating with high transfer (the drug coating is transferred to the blood vessel wall) and slow release (the residence time of the drug on the blood vessel wall).
发明内容Contents of the invention
基于此,有必要提供一种药物球囊的制备方法,该制备方法制备的药物球囊至少具有高转载和缓释放的优点。Based on this, it is necessary to provide a preparation method of a drug balloon, the drug balloon prepared by the preparation method at least has the advantages of high transfer and sustained release.
一种药物球囊的制备方法,包括以下步骤:A preparation method of a drug balloon, comprising the following steps:
将药物、载体和溶剂进行混合得到混合液,其中,所述载体选自乳化剂,乳化剂与凝胶的两者的组合,或者乳化剂、凝胶与生物粘合剂三者的组合中的一种,所述药物的质量与所述载体的质量之比的范围为100:(10~50),所述药物的质量与所述溶剂的质量之比的范围为(0.1~5):100;Mix the drug, carrier and solvent to obtain a mixed solution, wherein the carrier is selected from emulsifiers, a combination of emulsifiers and gels, or a combination of emulsifiers, gels and bioadhesives One, the range of the ratio of the mass of the drug to the mass of the carrier is 100:(10-50), the range of the ratio of the mass of the drug to the mass of the solvent is (0.1-5):100 ;
将所述混合液喷涂在裸球囊上,放置于恒温恒湿条件下,在裸球囊表面形成药物涂层,从而形成所述药物球囊。The mixed solution is sprayed on the bare balloon, placed under constant temperature and humidity conditions, and a drug coating is formed on the surface of the bare balloon, thereby forming the drug balloon.
进一步地,所述乳化剂选自失水山梨醇单油酸酯、山梨醇酐单油酸酯、十六醇、十八醇、月桂酸、脂肪酸甘油酯中的至少一种;所述凝胶选自硫代核聚糖、聚乙烯吡咯烷酮、海藻酸钠、羧甲基纤维素钠、羧基乙烯共聚物中的至少一种;生物粘合剂选自氰基丙烯酸异丁酯、淀粉、蛋白质、动物胶、虫胶、聚丙烯酸中的至少一种。Further, the emulsifier is selected from at least one of sorbitan monooleate, sorbitan monooleate, cetyl alcohol, stearyl alcohol, lauric acid, fatty acid glyceride; the gel At least one selected from thioribose, polyvinylpyrrolidone, sodium alginate, sodium carboxymethylcellulose, carboxyvinyl copolymer; bioadhesives selected from isobutyl cyanoacrylate, starch, protein, At least one of animal glue, shellac, polyacrylic acid.
进一步地,所述溶剂选自四氢呋喃、乙酸乙酯、乙醇、乙腈、甲醇、丙酮、苯、正庚烷、甲苯、二甲苯、环己酮、二氧六环、水中的至少一种。Further, the solvent is at least one selected from tetrahydrofuran, ethyl acetate, ethanol, acetonitrile, methanol, acetone, benzene, n-heptane, toluene, xylene, cyclohexanone, dioxane, and water.
进一步地,所述将药物、载体和溶剂进行混合得到混合液包括以下步骤:将所述药物溶于所述溶剂后震荡,得到药物溶液;将所述载体溶于所述溶剂后震荡,得到载体溶液;混合所述药物溶液和所述载体溶液得到所述混合液。Further, the mixing of the drug, the carrier and the solvent to obtain the mixed solution includes the following steps: dissolving the drug in the solvent and shaking to obtain a drug solution; dissolving the carrier in the solvent and shaking to obtain a carrier solution; mixing the drug solution and the carrier solution to obtain the mixed solution.
进一步地,所述将所述混合液喷涂在裸球囊上采用的是药物球囊喷涂机进行喷涂,其中,所述喷涂超声雾化功率的范围为1~5W,所述喷涂流量的范围为0.01~1ml/min,所述喷涂高度的范围为10~60mm,所述喷涂气压的范围为0.05~0.1Mpa。Further, the spraying of the mixed solution on the bare balloon is carried out by a drug balloon spraying machine, wherein the spraying ultrasonic atomization power ranges from 1 to 5W, and the spraying flow rate ranges from 0.01-1ml/min, the range of the spraying height is 10-60mm, and the range of the spraying air pressure is 0.05-0.1Mpa.
进一步地,所述放置在所述恒温恒湿条件中的时间范围为6~24h,在所述恒温恒湿条件中,所述温度范围为20~40℃,所述湿度范围为40~70%RH。Further, the time range for placing in the constant temperature and humidity conditions is 6-24 hours, and in the constant temperature and humidity conditions, the temperature range is 20-40°C, and the humidity range is 40-70% RH.
进一步地,当所述载体为所述乳化剂时,形成的所述药物涂层为纳米微球结晶药物涂层;当所述载体为所述乳化剂与所述凝胶的两者的组合时,形成的所述药物涂层中,纳米微球结晶药物束缚于凝胶网的孔隙中;当所述载体为所述乳化剂、所述凝胶与所述生物粘合剂三者的组合,形成的所述药物涂层中,纳米微球结晶药物束缚于凝胶网的孔隙中,并且在所述药物涂层的表面有一层光滑的生物粘合剂膜。Further, when the carrier is the emulsifier, the drug coating formed is a nanosphere crystalline drug coating; when the carrier is a combination of the emulsifier and the gel , in the formed drug coating, the nano-microsphere crystalline drug is bound in the pores of the gel network; when the carrier is a combination of the emulsifier, the gel and the bioadhesive, In the formed drug coating, the nano-microsphere crystalline drug is bound in the pores of the gel network, and there is a layer of smooth bioadhesive film on the surface of the drug coating.
进一步地,当所述载体为所述乳化剂与所述凝胶的两者的组合时,所述乳化剂与所述凝胶之间的质量比例范围1:(0.5~1);当所述载体为所述乳化剂、所述凝胶与所述生物粘合剂三者的组合,所述乳化剂、所述凝胶与所述生物粘合剂三者的质量比例范围1:(0.5~1):(0.6~1)。Further, when the carrier is a combination of the emulsifier and the gel, the mass ratio between the emulsifier and the gel ranges from 1: (0.5 to 1); when the The carrier is a combination of the emulsifier, the gel and the bioadhesive, and the mass ratio of the emulsifier, the gel and the bioadhesive is in the range of 1:(0.5~ 1): (0.6~1).
进一步地,所述药物球囊的制备方法还包括:将所述药物球囊分瓣卷取,并套上保护套,其中所述分瓣数的范围为3~6瓣,分瓣卷取的温度范围为40~70℃。Further, the preparation method of the drug balloon further includes: rolling the drug balloon in separate parts and putting on a protective cover, wherein the number of divided parts ranges from 3 to 6 parts, and the number of parts rolled up in divided parts is The temperature range is 40-70°C.
一种由上述的药物球囊的制备方法所制备的药物球囊。A drug balloon prepared by the above method for preparing a drug balloon.
上述药物球囊的制备方法,采用的是选择不同的载体,控制药物、载体及溶剂之间的配比,一步喷涂的方式,该制备方法简单,易操作,得到的药物球囊药物转载率较高,保留时间较长,缓释效果好,能够满足临床需求。在该药物球囊的制备过程中,不需要对球囊本身进行物理或化学改性,有效保持了球囊本身的机械性能和使用寿命,而且操作简单、不需要特殊的加工设备,相比其他类似技术生产成本大大降低。The preparation method of the above-mentioned drug balloon adopts the method of selecting different carriers, controlling the ratio between the drug, carrier and solvent, and spraying in one step. The preparation method is simple and easy to operate, and the drug transfer rate of the obtained drug balloon is relatively low. High, long retention time, good sustained-release effect, and can meet clinical needs. In the preparation process of the drug balloon, there is no need to physically or chemically modify the balloon itself, effectively maintaining the mechanical properties and service life of the balloon itself, and the operation is simple and does not require special processing equipment. Compared with other The production cost of similar technology is greatly reduced.
附图说明Description of drawings
图1为实施例1提供的药物球囊涂层的扫描电镜图。FIG. 1 is a scanning electron micrograph of the drug balloon coating provided in Example 1.
图2为实施例2提供的药物球囊涂层的扫描电镜图。FIG. 2 is a scanning electron micrograph of the drug balloon coating provided in Example 2.
图3为实施例3提供的药物球囊涂层的扫描电镜图。3 is a scanning electron micrograph of the drug balloon coating provided in Example 3.
图4为对比例1提供的药物球囊涂层的扫描电镜图。4 is a scanning electron micrograph of the drug balloon coating provided in Comparative Example 1.
图5为对比例2提供的药物球囊涂层的扫描电镜图。5 is a scanning electron micrograph of the drug balloon coating provided in Comparative Example 2.
具体实施方式Detailed ways
为使本发明的上述目的、特征和优点能够更加明显易懂,下面结合附图对本发明的具体实施方式做详细的说明。在下面的描述中阐述了很多具体细节以便于充分理解本发明。但是本发明能够以很多不同于在此描述的其它方式来实施,本领域技术人员可以在不违背本发明内涵的情况下做类似改进,因此本发明不受下面公开的具体实施的限制。In order to make the above objects, features and advantages of the present invention more comprehensible, specific implementations of the present invention will be described in detail below in conjunction with the accompanying drawings. In the following description, numerous specific details are set forth in order to provide a thorough understanding of the present invention. However, the present invention can be implemented in many other ways different from those described here, and those skilled in the art can make similar improvements without departing from the connotation of the present invention, so the present invention is not limited by the specific implementations disclosed below.
除非另有定义,本文所使用的所有的技术和科学术语与属于本发明的技术领域的技术人员通常理解的含义相同。本文中在本发明的说明书中所使用的术语只是为了描述具体的实施例的目的,不是旨在于限制本发明。Unless otherwise defined, all technical and scientific terms used herein have the same meaning as commonly understood by one of ordinary skill in the technical field of the invention. The terms used herein in the description of the present invention are for the purpose of describing specific embodiments only, and are not intended to limit the present invention.
本发明实施例提供一种药物球囊的制备方法,该制备方法包括以下步骤:The embodiment of the present invention provides a preparation method of a drug balloon, the preparation method comprising the following steps:
步骤一,将药物、载体和溶剂进行混合得到混合液,其中,载体选自乳化剂,乳化剂与凝胶的两者的组合,或者乳化剂、凝胶与生物粘合剂三者的组合中的一种,药物的质量与载体的质量之比的范围为100:(10~50),药物的质量与溶剂的质量之比的范围为(0.1~5):100。Step 1, mixing the drug, carrier and solvent to obtain a mixed solution, wherein the carrier is selected from an emulsifier, a combination of an emulsifier and a gel, or a combination of an emulsifier, a gel and a bioadhesive The range of the ratio of the mass of the drug to the mass of the carrier is 100:(10-50), and the range of the ratio of the mass of the drug to the mass of the solvent is (0.1-5):100.
步骤二,将混合液喷涂在裸球囊上,放置于恒温恒湿条件下,在裸球囊表面形成药物涂层,从而形成药物球囊。Step 2: Spray the mixed solution on the bare balloon and place it under constant temperature and humidity conditions to form a drug coating on the surface of the bare balloon, thereby forming a drug balloon.
具体地,在步骤一中,乳化剂选自失水山梨醇单油酸酯、山梨醇酐单油酸酯、十六醇、十八醇、月桂酸、脂肪酸甘油酯中的至少一种;凝胶选自硫代核聚糖、聚乙烯吡咯烷酮、海藻酸钠、羧甲基纤维素钠、羧基乙烯共聚物中的至少一种;生物粘合剂选自氰基丙烯酸异丁酯、淀粉、蛋白质、动物胶、虫胶、聚丙烯酸中的至少一种。Specifically, in step one, the emulsifier is selected from at least one of sorbitan monooleate, sorbitan monooleate, cetyl alcohol, stearyl alcohol, lauric acid, fatty acid glyceride; The glue is selected from at least one of thionucleoglycan, polyvinylpyrrolidone, sodium alginate, sodium carboxymethylcellulose, and carboxyvinyl copolymer; the bioadhesive is selected from isobutyl cyanoacrylate, starch, protein , animal glue, shellac, polyacrylic acid at least one.
溶剂选自四氢呋喃、乙酸乙酯、乙醇、乙腈、甲醇、丙酮、苯、正庚烷、甲苯、二甲苯、环己酮、二氧六环、水中的至少一种。The solvent is at least one selected from tetrahydrofuran, ethyl acetate, ethanol, acetonitrile, methanol, acetone, benzene, n-heptane, toluene, xylene, cyclohexanone, dioxane, and water.
其中,在一实施例中,将药物、载体和溶剂进行混合得到混合液具体包括以下步骤:将药物溶于溶剂后震荡,得到药物溶液;将载体溶于溶剂后震荡,得到载体溶液;混合药物溶液和载体溶液得到混合液。在其他实施例中,可以直接将药物、载体和溶剂三者混合均匀即可。Wherein, in one embodiment, mixing the drug, the carrier and the solvent to obtain the mixed solution specifically includes the following steps: dissolving the drug in the solvent and shaking to obtain a drug solution; dissolving the carrier in the solvent and shaking to obtain a carrier solution; mixing the drug solution and carrier solution to obtain a mixed solution. In other embodiments, the drug, the carrier and the solvent can be directly mixed uniformly.
在本实施例中,药物的质量与载体的质量之比的范围为100:(10~50),药物的质量与溶剂的质量之比的范围为(0.1~5):100。载体量太少不足以起到分散药物和促进药物的结晶及后续的转载和吸收的作用,但是载体量达到一定值后其促进作用不再明显,同时使得含同样药物量的球囊的药物涂层变厚,增加后续折翼后球囊的轮廓外径,大的轮廓外径使得球囊在血管输送过程中难度增大。溶剂太少,溶液浓度高,后续难雾化,不利于喷涂;溶剂太多,药物浓度低,同样药物球囊,喷涂时间延长,不利于生产。In this embodiment, the range of the ratio of the mass of the drug to the mass of the carrier is 100:(10-50), and the range of the ratio of the mass of the drug to the mass of the solvent is (0.1-5):100. Too little amount of carrier is not enough to disperse the drug and promote drug crystallization and subsequent transfer and absorption, but when the amount of carrier reaches a certain value, the promotion effect is no longer obvious, and at the same time, the drug coating of the balloon containing the same amount of drug The layer becomes thicker, which increases the contour outer diameter of the balloon after subsequent wing flaps, and the large contour outer diameter makes it more difficult for the balloon to be delivered in the blood vessel. If there is too little solvent, the concentration of the solution is high, and it is difficult to atomize later, which is not conducive to spraying; if there is too much solvent, the concentration of the drug is low, and the spraying time of the same drug balloon is prolonged, which is not conducive to production.
在步骤二中,将混合液喷涂在裸球囊上采用的是药物球囊喷涂机进行喷涂,其中,喷涂超声雾化功率的范围为1~5W,喷涂流量的范围为0.01~1ml/min,喷涂高度的范围为10~60mm,喷涂气压的范围为0.05~0.1Mpa。喷涂超声雾化功率太小无法雾化溶液,无法喷涂;喷涂超声雾化功率太高,雾化严重,接近汽化,无法控制混合液有效下落至球囊表面,从而不能形成理想涂层。喷涂流量过低,同一时间内堆积在球囊上药物过少不利于结晶微球的形成,同时延长喷涂时间;喷涂流量过高难雾化,无法喷涂。喷涂高度太短,喷涂无法有效覆盖球囊表面,难形成有效涂层;喷涂高度太长,混合液落于球囊表面时溶剂挥发过多,影响药物微球结晶的形成,同时溶液浪费严重。在其他实施例中,还可以采用手动滴涂的方式。In
其中,放置在恒温恒湿条件中的时间的范围为6~24h,在恒温恒湿条件中,温度的范围为20~40℃,湿度的范围为40~70%RH。温度或湿度过高或过低,容易影响溶剂挥发,影响药物结晶。放置在恒温恒湿条件中的时间太短,溶剂残留高,影响涂层的形成。Wherein, the time for placing in the constant temperature and humidity conditions ranges from 6 to 24 hours. In the constant temperature and humidity conditions, the temperature ranges from 20 to 40° C., and the humidity ranges from 40 to 70% RH. If the temperature or humidity is too high or too low, it will easily affect the volatilization of the solvent and the crystallization of the drug. The time placed in constant temperature and humidity conditions is too short, and the solvent residue is high, which affects the formation of the coating.
当载体为乳化剂时,形成的药物涂层为纳米微球结晶药物涂层。纳米微球结晶药物颗粒,可以延长药物的释放时间,转移至血管后能较长时间以所需治疗浓度抑制细胞增生,抑制血管再狭窄。When the carrier is an emulsifier, the formed drug coating is a nano microsphere crystal drug coating. Nano-microsphere crystalline drug particles can prolong the release time of the drug, and after being transferred to the blood vessel, it can inhibit cell proliferation and vascular restenosis at the required therapeutic concentration for a long time.
当载体为乳化剂与凝胶的两者的组合时,形成的药物涂层中,纳米微球结晶药物束缚于凝胶网的孔隙中。纳米微球结晶药物颗粒,可以延缓药物的释放,药物被束缚于凝胶网中,同时可以进一步延长药物的释放时间。待束缚于凝胶网中的纳米微球结晶药物转移至血管后,因纳米微球结晶药物被凝胶网束缚,故其能以所需治疗浓度在较长时间内抑制细胞增生,抑制血管再狭窄。在本实施例中,乳化剂与凝胶之间的质量比例范围1:(0.5~1),其中,凝胶加入过少,不能有效的束缚雷帕霉素药物微球,缓释效果不明显;凝胶加入过多,使雷帕霉素药物微球从涂层中释放困难,无法在药物球囊治疗血管前期达到满意治疗效果。When the carrier is a combination of the emulsifier and the gel, in the formed drug coating, the nano-microsphere crystalline drug is bound in the pores of the gel network. The nano-microsphere crystalline drug particles can delay the release of the drug, and the drug is bound in the gel network, which can further prolong the release time of the drug. After the nano-microsphere crystal drug bound in the gel network is transferred to the blood vessel, because the nano-microsphere crystal drug is bound by the gel network, it can inhibit cell proliferation and revascularization in a long period of time at the required therapeutic concentration. narrow. In this example, the mass ratio between the emulsifier and the gel ranges from 1: (0.5 to 1), wherein, if the gel is added too little, the rapamycin drug microspheres cannot be effectively bound, and the slow-release effect is not obvious If the gel is added too much, it is difficult to release the rapamycin drug microspheres from the coating, and it is impossible to achieve a satisfactory therapeutic effect in the early stage of drug balloon treatment of blood vessels.
当载体为乳化剂、凝胶与生物粘合剂三者的组合,形成的药物涂层中,纳米微球结晶药物束缚于凝胶网的孔隙中,并且在药物涂层的表面有一层光滑的生物粘合剂膜。纳米微球结晶药物颗粒,可以延缓药物的释放,药物被束缚于凝胶网中,同时可以进一步延长药物的释放时间,转移至血管后能较长时间以所需治疗浓度抑制细胞增生,抑制血管再狭窄。生物粘合剂膜能够避免器械在体内输送过程中药物涂层中药物被洗脱,从而减少了药物损失,使其输送到达病灶处时药物涂层更加均匀,同时生物粘合剂膜也增加了药物涂层从器械向血管壁的转移量,这样药物球囊在其扩张过程中药物将更加均匀高效的释放在血管壁上。乳化剂、凝胶与生物粘合剂三者的质量比例范围1:(0.5~1):(0.6~1)若生物粘合剂过少,则在药物涂层向血管壁转移过程中,药物涂层对血管壁的粘附力小,药物涂层转移至血管壁的量少;若生物粘合剂过多,不仅无法进一步提高药物涂层的转移量,而且无法进一步地有效地延缓药物的释放时间,抑制血管再狭窄。When the carrier is a combination of emulsifier, gel, and bioadhesive, in the drug coating formed, the nano-microsphere crystalline drug is bound in the pores of the gel network, and there is a smooth layer on the surface of the drug coating. Bioadhesive film. Nano-microsphere crystalline drug particles can delay the release of drugs, and the drugs are bound in the gel network, which can further prolong the release time of the drugs. After being transferred to blood vessels, they can inhibit cell proliferation and blood vessels at the required therapeutic concentration for a long time. Restenosis. The bioadhesive film can prevent the drug from being eluted in the drug coating during the in vivo delivery of the device, thereby reducing the loss of the drug, making the drug coating more uniform when it is delivered to the lesion, and the bioadhesive film also increases The amount of transfer of the drug coating from the device to the blood vessel wall, so that the drug will be released on the blood vessel wall more uniformly and efficiently during the expansion of the drug balloon. The mass ratio range of emulsifier, gel and bioadhesive is 1: (0.5~1): (0.6~1). If the bioadhesive is too little, the drug will The adhesion of the coating to the blood vessel wall is small, and the amount of drug coating transferred to the blood vessel wall is small; if there are too many bioadhesives, not only the transfer amount of the drug coating cannot be further improved, but also the drug cannot be effectively delayed. Release time, inhibit vascular restenosis.
在一实施例中,药物球囊的制备方法还包括:步骤三,将药物球囊分瓣卷取,并套上保护套。其中分瓣数为3~6瓣,分瓣卷取的温度为40~70℃。球囊分瓣数为3~6瓣是便于将球囊卷后轮廓外径更小,使用是在血管中通过性更好;分瓣卷取的过程实质是球囊再次热定型的过程,温度过低无法软化球囊使其热定型,温度太高软化严重,降低球囊物理性能。In one embodiment, the preparation method of the drug balloon further includes:
本实施例还提供一种由上述药物球囊的制备方法所制备的药物球囊。This embodiment also provides a drug balloon prepared by the above method for preparing a drug balloon.
实施例1Example 1
本实施例提供的药物球囊的制备方法,包括以下步骤:The preparation method of the drug balloon provided in this embodiment comprises the following steps:
步骤一,将药物(雷帕霉素)、载体(乳化剂月桂酸)和溶剂(乙酸乙酯)进行混合得到混合液,其中药物的质量与载体的质量之比为100:10,药物的质量与溶剂的质量之比为0.1:100。Step 1, the drug (rapamycin), carrier (emulsifier lauric acid) and solvent (ethyl acetate) are mixed to obtain a mixed solution, wherein the ratio of the mass of the drug to the mass of the carrier is 100:10, and the mass of the drug The mass ratio to the solvent is 0.1:100.
步骤二,采用药物球囊喷涂机(北京东方金荣超声电器有限公司,型号:UC510)将混合液喷涂在裸球囊上,放置于恒温恒湿条件下,在裸球囊表面形成药物涂层,从而形成药物球囊。其中,喷涂超声雾化功率为5W,喷涂流量为1ml/min,喷涂高度为60mm,喷涂气压为0.05MPa,在恒温恒湿条件下放置时间为24h,温度为20℃,湿度为40%RH。Step 2: Use a drug balloon spraying machine (Beijing Dongfang Jinrong Ultrasonic Electric Co., Ltd., model: UC510) to spray the mixture on the bare balloon, place it under constant temperature and humidity conditions, and form a drug coating on the surface of the bare balloon , thus forming a drug balloon. Among them, the spraying ultrasonic atomization power is 5W, the spraying flow rate is 1ml/min, the spraying height is 60mm, the spraying air pressure is 0.05MPa, the storage time is 24h under constant temperature and humidity conditions, the temperature is 20°C, and the humidity is 40%RH.
步骤三,将药物球囊分瓣卷取,并套上保护套。其中,分瓣数为3瓣;分瓣卷取的温度为40℃。Step 3: Roll up the drug balloon in separate parts and put on a protective cover. Among them, the number of splits is 3; the temperature for splitting and coiling is 40°C.
图1为本实施例药物球囊涂层的扫描电镜图,其中,图1中具有纳米微球结晶药物1,形成的药物涂层为纳米微球结晶药物涂层。Fig. 1 is a scanning electron micrograph of the drug balloon coating of this embodiment, wherein, in Fig. 1, there is a nano-microsphere crystalline drug 1, and the formed drug coating is a nano-microsphere crystalline drug coating.
实施例2Example 2
本实施例提供的药物球囊的制备方法,包括以下步骤:The preparation method of the drug balloon provided in this embodiment comprises the following steps:
步骤一,将药物(雷帕霉素)、载体(凝胶硫代核聚糖和乳化剂月桂酸,两者的质量比为1:1)和溶剂(乙醇)进行混合得到混合液,其中药物的质量与载体的质量之比为100:30,药物的质量与溶剂的质量之比为1:100。Step 1, the drug (rapamycin), carrier (gel thioribosaccharide and emulsifier lauric acid, the mass ratio of the two is 1:1) and solvent (ethanol) are mixed to obtain a mixed solution, wherein the drug The ratio of the mass of the drug to the mass of the carrier is 100:30, and the ratio of the mass of the drug to the mass of the solvent is 1:100.
步骤二,采用药物球囊喷涂机(北京东方金荣超声电器有限公司,型号:UC510)将混合液喷涂在裸球囊上,放置于恒温恒湿条件下,在裸球囊表面形成药物涂层,从而形成药物球囊。其中,喷涂超声雾化功率为2.8W,喷涂流量为0.15ml/min,喷涂高度为40mm,喷涂气压为0.06MPa,在恒温恒湿条件下放置时间为18h,温度为27℃,湿度为60%RH。Step 2: Use a drug balloon spraying machine (Beijing Dongfang Jinrong Ultrasonic Electric Co., Ltd., model: UC510) to spray the mixture on the bare balloon, place it under constant temperature and humidity conditions, and form a drug coating on the surface of the bare balloon , thus forming a drug balloon. Among them, the spraying ultrasonic atomization power is 2.8W, the spraying flow rate is 0.15ml/min, the spraying height is 40mm, the spraying air pressure is 0.06MPa, the storage time is 18h under constant temperature and humidity conditions, the temperature is 27°C, and the humidity is 60%. RH.
步骤三,将药物球囊分瓣卷取,并套上保护套。其中,分瓣数为5瓣;分瓣卷取的温度为65℃。Step 3: Roll up the drug balloon in separate parts and put on a protective cover. Among them, the number of splits is 5; the temperature for splitting and coiling is 65°C.
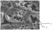
图2为本实施例药物球囊涂层的扫描电镜图,其中,图2中具有纳米微球结晶药物1以及束缚微球结晶药物的凝胶网2。形成的药物涂层中,纳米微球结晶药物1束缚于凝胶网2的孔隙中。Fig. 2 is a scanning electron micrograph of the drug balloon coating in this embodiment, wherein in Fig. 2 there is a nano-microsphere crystalline drug 1 and a
实施例3Example 3
本实施例提供的药物球囊的制备方法,包括以下步骤:The preparation method of the drug balloon provided in this embodiment comprises the following steps:
步骤一,将药物(雷帕霉素)、载体(生物粘合剂氰基丙烯酸异丁酯、凝胶硫代核聚糖和乳化剂月桂酸,三者的质量比为1:1:1)和溶剂(乙醇)进行混合得到混合液,其中药物的质量与载体的质量之比为100:35,药物的质量与溶剂的质量之比为0.9:100。Step 1, drug (rapamycin), carrier (bioadhesive isobutyl cyanoacrylate, gel thioribocan and emulsifier lauric acid, the mass ratio of the three is 1:1:1) Mixing with a solvent (ethanol) to obtain a mixed solution, wherein the mass ratio of the drug to the carrier is 100:35, and the mass ratio of the drug to the solvent is 0.9:100.
步骤二,采用药物球囊喷涂机(北京东方金荣超声电器有限公司,型号:UC510)将混合液喷涂在裸球囊上,放置于恒温恒湿条件下,在裸球囊表面形成药物涂层,从而形成药物球囊。其中,喷涂超声雾化功率为2.8W,喷涂流量为0.20ml/min,喷涂高度为48mm,喷涂气压为0.068MPa,在恒温恒湿条件下放置时间为24h,温度为27℃,湿度为65%RH。Step 2: Use a drug balloon spraying machine (Beijing Dongfang Jinrong Ultrasonic Electric Co., Ltd., model: UC510) to spray the mixture on the bare balloon, place it under constant temperature and humidity conditions, and form a drug coating on the surface of the bare balloon , thus forming a drug balloon. Among them, the spraying ultrasonic atomization power is 2.8W, the spraying flow rate is 0.20ml/min, the spraying height is 48mm, the spraying air pressure is 0.068MPa, the storage time is 24h under constant temperature and humidity conditions, the temperature is 27°C, and the humidity is 65%. RH.
步骤三,将药物球囊分瓣卷取,并套上保护套。其中,分瓣数为3瓣;分瓣卷取的温度为55℃。Step 3: Roll up the drug balloon in separate parts and put on a protective cover. Among them, the number of splits is 3; the temperature for splitting and coiling is 55°C.
图3为本实施例药物球囊涂层的扫描电镜图,其中,图3中具有纳米微球结晶药物1,束缚微球结晶药物的凝胶网2,以及生物粘合剂膜3。形成的药物涂层中,纳米微球结晶药物1束缚于凝胶网2的孔隙中,并且在药物涂层的表面有一层光滑的生物粘合剂膜3。FIG. 3 is a scanning electron micrograph of the drug balloon coating in this embodiment, wherein, in FIG. 3 , there are nano-microsphere crystalline drugs 1 , a
对比例1Comparative example 1
本对比例提供的药物球囊的制备方法,包括以下步骤:The preparation method of the drug balloon provided in this comparative example comprises the following steps:
步骤一,将药物(雷帕霉素)、载体(常用辅料二丁基羟基甲苯)和溶剂(乙酸乙酯和水,二者的比例为1:1)进行混合得到混合液,其中药物的质量与载体的质量之比为100:50,药物的质量与溶剂的质量之比为5:100。Step 1, the drug (rapamycin), carrier (commonly used excipient dibutyl hydroxytoluene) and solvent (ethyl acetate and water, the ratio of the two is 1:1) are mixed to obtain a mixed solution, wherein the mass of the drug The mass ratio of the carrier to the carrier is 100:50, and the mass ratio of the drug to the solvent is 5:100.
步骤二,采用药物球囊喷涂机(北京东方金荣超声电器有限公司,型号:UC510)将混合液喷涂在裸球囊上,放置于恒温恒湿条件下,在裸球囊表面形成药物涂层,从而形成药物球囊。其中,喷涂超声雾化功率为1W,喷涂流量为0.01ml/min,喷涂高度为10mm,喷涂气压为0.1MPa,在恒温恒湿条件下放置时间为6h,温度为40℃,湿度为70%RH。Step 2: Use a drug balloon spraying machine (Beijing Dongfang Jinrong Ultrasonic Electric Co., Ltd., model: UC510) to spray the mixture on the bare balloon, place it under constant temperature and humidity conditions, and form a drug coating on the surface of the bare balloon , thus forming a drug balloon. Among them, the spraying ultrasonic atomization power is 1W, the spraying flow rate is 0.01ml/min, the spraying height is 10mm, the spraying air pressure is 0.1MPa, the storage time is 6h under constant temperature and humidity conditions, the temperature is 40°C, and the humidity is 70%RH .
步骤三,将药物球囊分瓣卷取,并套上保护套。其中,分瓣数为6瓣;分瓣卷取的温度为40℃。Step 3: Roll up the drug balloon in separate parts and put on a protective cover. Among them, the number of splits is 6; the temperature for splitting and coiling is 40°C.
对比例1中,与上述实施例不同的是,采用的载体为常用辅料二丁基羟基甲苯。图4为本对比例药物球囊涂层的扫描电镜图,其中,形成的药物涂层为无定型涂层。In Comparative Example 1, different from the above-mentioned examples, the carrier used is dibutylhydroxytoluene, a commonly used auxiliary material. FIG. 4 is a scanning electron micrograph of the drug balloon coating of the comparative example, wherein the formed drug coating is an amorphous coating.
对比例2Comparative example 2
本对比例提供的药物球囊的制备方法,包括以下步骤:The preparation method of the drug balloon provided in this comparative example comprises the following steps:
步骤一,将药物(雷帕霉素)、载体(乳化剂)和溶剂(乙酸乙酯和乙醇,二者的比例为1:1)进行混合得到混合液,其中药物的质量与载体的质量之比为100:5,药物的质量与溶剂的质量之比为5:100。Step 1, mix the drug (rapamycin), carrier (emulsifier) and solvent (ethyl acetate and ethanol, the ratio of the two is 1:1) to obtain a mixed solution, wherein the mass of the drug and the mass of the carrier The ratio is 100:5, and the ratio of the mass of the drug to the mass of the solvent is 5:100.
步骤二,采用药物球囊喷涂机(北京东方金荣超声电器有限公司,型号:UC510)将混合液喷涂在裸球囊上,放置于恒温恒湿条件下,在裸球囊表面形成药物涂层,从而形成药物球囊。其中,喷涂超声雾化功率为1W,喷涂流量为0.01ml/min,喷涂高度为10mm,喷涂气压为0.1MPa,在恒温恒湿条件下放置时间为6h,温度为40℃,湿度为70%RH。Step 2: Use a drug balloon spraying machine (Beijing Dongfang Jinrong Ultrasonic Electric Co., Ltd., model: UC510) to spray the mixture on the bare balloon, place it under constant temperature and humidity conditions, and form a drug coating on the surface of the bare balloon , thus forming a drug balloon. Among them, the spraying ultrasonic atomization power is 1W, the spraying flow rate is 0.01ml/min, the spraying height is 10mm, the spraying air pressure is 0.1MPa, the storage time is 6h under constant temperature and humidity conditions, the temperature is 40°C, and the humidity is 70%RH .
步骤三,将药物球囊分瓣卷取,并套上保护套。其中,分瓣数为6瓣;分瓣卷取的温度为40℃。Step 3: Roll up the drug balloon in separate parts and put on a protective cover. Among them, the number of splits is 6; the temperature for splitting and coiling is 40°C.
对比例1中,与上述实施例不同的是,药物的质量与载体的质量之比为100:5,造成载体的质量较少。图5为本对比例药物球囊涂层的扫描电镜图,其中,形成的药物涂层也为无定型涂层。In Comparative Example 1, different from the above examples, the ratio of the mass of the drug to the mass of the carrier is 100:5, resulting in less mass of the carrier. Fig. 5 is a scanning electron micrograph of the drug balloon coating of the comparative example, wherein the formed drug coating is also an amorphous coating.
药物转载、缓释效果对比:Comparison of drug transfer and sustained release effects:
将实施例1、实施例2、实施例3以及对比例1制备的药物球囊导管样品(球囊直径4mm,长度40mm)进行兔子动物实验。将实验用新西兰兔固定、麻醉、备皮消毒,从颈动脉穿刺插入导丝,置入鞘管,球囊导管经导丝通过鞘管,开始计时,DSA下输送球囊至球扩位点(腹主动脉)。从球囊进入鞘管至扩张前,时间应控制在70s左右。然后迅速扩张药物球囊至8atm,维持2min,卸压。30min后处死0时刻组别的兔子,近心端胸主开口放血,穿刺股动脉对侧开口,使用注射器从近心端胸主快速推入约10ml生理盐水,重复1至3次,尽可能将血管内壁可能粘附的血液及药物冲走。冲洗完毕,取球扩部位的血管,用纱布蘸干表面水渍。28天组别的兔子,放回饲养间正常饮食喂养,至28天时,按照上述相同的方法先冲洗血管,再截取球扩部位血管。The drug balloon catheter samples prepared in Example 1, Example 2, Example 3 and Comparative Example 1 (balloon diameter 4 mm, length 40 mm) were subjected to rabbit animal experiments. The New Zealand rabbits used in the experiment were fixed, anesthetized, and skin-prepared for disinfection. The guide wire was punctured from the carotid artery, and the sheath was inserted. The balloon catheter was passed through the sheath through the guide wire, and the timing was started. The balloon was delivered to the balloon expansion site under DSA ( abdominal aorta). The time from when the balloon enters the sheath to when it is expanded should be controlled at about 70 seconds. Then rapidly expand the drug balloon to 8atm, maintain it for 2min, and release the pressure. After 30 minutes, the rabbits in the group at time 0 were sacrificed, blood was bled through the main thoracic opening at the proximal end, and the contralateral opening of the femoral artery was punctured, and about 10 ml of normal saline was quickly injected from the main thoracic end of the proximal end with a syringe, and repeated 1 to 3 times, as much as possible. The blood and drugs that may adhere to the inner wall of the blood vessel are washed away. After rinsing, take the blood vessels at the dilated part of the ball, and use gauze to dry the water stains on the surface. Rabbits in the 28-day group were put back into the feeding room to be fed with a normal diet. At the 28th day, the blood vessels were first washed according to the same method as above, and then the blood vessels at the expanded part of the ball were cut.
利用日本岛津LC-20A型高效液相色谱仪测量截取的血管中的药量,测试结果见表1。从表中可以看出,无定型涂层组对比例1转载低,并且药物在血管壁上缓释效果差,28天后几乎没测出药物含量;而表面附有生物粘合剂膜且凝胶包覆的纳米微球结晶涂层实施例3,药物转载最高,保留时间长,缓释效果好,满足雷帕霉素药物球囊的临床需求。The amount of drug in the intercepted blood vessels was measured by Shimadzu LC-20A high performance liquid chromatography, and the test results are shown in Table 1. As can be seen from the table, the reproducibility of the amorphous coating group Comparative Example 1 is low, and the sustained release effect of the drug on the blood vessel wall is poor, and the drug content is hardly detected after 28 days; The coated nano-microsphere crystal coating Example 3 has the highest drug transfer rate, long retention time, and good sustained release effect, which meets the clinical needs of rapamycin drug balloons.
转载率=0时刻组血管含药量/药物球囊总药量;残留率=28天组血管含药量/0时刻组血管含药量。Transfer rate = drug content in blood vessels of the group at time 0/total drug volume of drug balloons; residual rate = drug content in blood vessels of the 28-day group/drug content in blood vessels of the group at time 0.
表1Table 1
以上所述实施例的各技术特征可以进行任意的组合,为使描述简洁,未对上述实施例中的各个技术特征所有可能的组合都进行描述,然而,只要这些技术特征的组合不存在矛盾,都应当认为是本说明书记载的范围。The various technical features of the above-mentioned embodiments can be combined arbitrarily. To make the description concise, all possible combinations of the various technical features in the above-mentioned embodiments are not described. However, as long as there is no contradiction in the combination of these technical features, should be considered as within the scope of this specification.
以上所述实施例仅表达了本发明的几种实施方式,其描述较为具体和详细,但并不能因此而理解为对发明专利范围的限制。应当指出的是,对于本领域的普通技术人员来说,在不脱离本发明构思的前提下,还可以做出若干变形和改进,这些都属于本发明的保护范围。因此,本发明专利的保护范围应以所附权利要求为准。The above-mentioned embodiments only express several implementation modes of the present invention, and the descriptions thereof are relatively specific and detailed, but should not be construed as limiting the patent scope of the invention. It should be pointed out that those skilled in the art can make several modifications and improvements without departing from the concept of the present invention, and these all belong to the protection scope of the present invention. Therefore, the protection scope of the patent for the present invention should be based on the appended claims.
| Application Number | Priority Date | Filing Date | Title |
|---|---|---|---|
| CN202110517558.7ACN115337523B (en) | 2021-05-12 | 2021-05-12 | Medicine saccule and its preparation method |
| Application Number | Priority Date | Filing Date | Title |
|---|---|---|---|
| CN202110517558.7ACN115337523B (en) | 2021-05-12 | 2021-05-12 | Medicine saccule and its preparation method |
| Publication Number | Publication Date |
|---|---|
| CN115337523Atrue CN115337523A (en) | 2022-11-15 |
| CN115337523B CN115337523B (en) | 2024-10-01 |
| Application Number | Title | Priority Date | Filing Date |
|---|---|---|---|
| CN202110517558.7AActiveCN115337523B (en) | 2021-05-12 | 2021-05-12 | Medicine saccule and its preparation method |
| Country | Link |
|---|---|
| CN (1) | CN115337523B (en) |
| Publication number | Priority date | Publication date | Assignee | Title |
|---|---|---|---|---|
| CN117839998A (en)* | 2024-01-15 | 2024-04-09 | 威高奋威健康科技发展(上海)有限公司 | Method for improving firmness of coated medicine and product thereof |
| Publication number | Priority date | Publication date | Assignee | Title |
|---|---|---|---|---|
| US20080118544A1 (en)* | 2006-11-20 | 2008-05-22 | Lixiao Wang | Drug releasing coatings for medical devices |
| US20110008260A1 (en)* | 2009-07-10 | 2011-01-13 | Boston Scientific Scimed, Inc. | Use of Nanocrystals for Drug Delivery from a Balloon |
| CN102784112A (en)* | 2011-05-19 | 2012-11-21 | 东华理工大学 | Preparation method for porous slow-release microsphere of chitosan graft copolymer |
| WO2013079476A1 (en)* | 2011-11-30 | 2013-06-06 | Bayer Materialscience Ag | Drug-coated medical device and method for the production thereof |
| US20140277399A1 (en)* | 2013-03-15 | 2014-09-18 | Abbott Cardiovascular Systems Inc. | Tissue adhesive coatings for drug coated balloon |
| CN104874090A (en)* | 2015-03-20 | 2015-09-02 | 深圳市信立泰生物医疗工程有限公司 | Novel drug eluting balloon catheter |
| CN108620004A (en)* | 2018-05-14 | 2018-10-09 | 河南工业大学 | A kind of starch/PVA complex microspheres and preparation method thereof |
| CN110251738A (en)* | 2019-03-25 | 2019-09-20 | 先健科技(深圳)有限公司 | Preparation method of drug balloon and drug balloon |
| JP2020011096A (en)* | 2019-09-27 | 2020-01-23 | ルトニックス,インコーポレーテッド | Drug release coating for medical device |
| CN111298272A (en)* | 2020-03-11 | 2020-06-19 | 科塞尔医疗科技(苏州)有限公司 | Drug-coated balloon, preparation method thereof and drug-coated balloon dilatation catheter |
| Publication number | Priority date | Publication date | Assignee | Title |
|---|---|---|---|---|
| US20080118544A1 (en)* | 2006-11-20 | 2008-05-22 | Lixiao Wang | Drug releasing coatings for medical devices |
| US20110008260A1 (en)* | 2009-07-10 | 2011-01-13 | Boston Scientific Scimed, Inc. | Use of Nanocrystals for Drug Delivery from a Balloon |
| CN102784112A (en)* | 2011-05-19 | 2012-11-21 | 东华理工大学 | Preparation method for porous slow-release microsphere of chitosan graft copolymer |
| WO2013079476A1 (en)* | 2011-11-30 | 2013-06-06 | Bayer Materialscience Ag | Drug-coated medical device and method for the production thereof |
| US20140277399A1 (en)* | 2013-03-15 | 2014-09-18 | Abbott Cardiovascular Systems Inc. | Tissue adhesive coatings for drug coated balloon |
| CN104874090A (en)* | 2015-03-20 | 2015-09-02 | 深圳市信立泰生物医疗工程有限公司 | Novel drug eluting balloon catheter |
| CN108620004A (en)* | 2018-05-14 | 2018-10-09 | 河南工业大学 | A kind of starch/PVA complex microspheres and preparation method thereof |
| CN110251738A (en)* | 2019-03-25 | 2019-09-20 | 先健科技(深圳)有限公司 | Preparation method of drug balloon and drug balloon |
| JP2020011096A (en)* | 2019-09-27 | 2020-01-23 | ルトニックス,インコーポレーテッド | Drug release coating for medical device |
| CN111298272A (en)* | 2020-03-11 | 2020-06-19 | 科塞尔医疗科技(苏州)有限公司 | Drug-coated balloon, preparation method thereof and drug-coated balloon dilatation catheter |
| Publication number | Priority date | Publication date | Assignee | Title |
|---|---|---|---|---|
| CN117839998A (en)* | 2024-01-15 | 2024-04-09 | 威高奋威健康科技发展(上海)有限公司 | Method for improving firmness of coated medicine and product thereof |
| Publication number | Publication date |
|---|---|
| CN115337523B (en) | 2024-10-01 |
| Publication | Publication Date | Title |
|---|---|---|
| CN1649551B (en) | drug-releasing intravascular stent | |
| CN101869514B (en) | Controlled drug-release composition and drug-releasable medical device | |
| CN101420989B (en) | Coating of polymeric NO-donor prodrug nanofibers for medical devices and therapeutics | |
| CN109985280B (en) | Drug balloon and preparation method thereof | |
| WO2009067862A1 (en) | An arsenic trioxide medical elution scaffold | |
| JPWO2002043799A1 (en) | Vascular stents and materials for vascular stents | |
| CN114796811A (en) | Drug coating balloon, drug balloon system and preparation method thereof | |
| CN105944155A (en) | A drug-eluting stent and its preparation method and application | |
| CN108339159B (en) | Medicine coating and preparation method thereof | |
| WO2016206078A1 (en) | Method for preparing drug balloon | |
| US12290615B2 (en) | Drug coated balloon and preparation method thereof | |
| WO2019119834A1 (en) | Drug-loaded implanted medical device and preparation method therefor | |
| CN115337523A (en) | Drug balloon and preparation method thereof | |
| CN101711710B (en) | Medicament eluting stent and preparation method thereof | |
| CN114599406A (en) | Surface coatings and implantable devices comprising binary steroid prodrugs and uses thereof | |
| CN101007187A (en) | Preparation method of composite drug-eluting stent and its drug coated layer | |
| CN110251738A (en) | Preparation method of drug balloon and drug balloon | |
| US11547702B2 (en) | Use of amlexanox | |
| CN106668952B (en) | Multi-coating biodegradable metal stent and preparation method thereof | |
| CN101309706A (en) | Drug release control composition and drug-releasing medical device | |
| CN116603114A (en) | Medicine balloon and preparation method thereof | |
| CN116115832A (en) | Drug coating, preparation method and drug balloon catheter | |
| CN209060308U (en) | A drug balloon dilatation catheter | |
| CN109954198A (en) | Drug balloon and preparation method thereof | |
| CN107865983B (en) | Medicine stent and preparation method thereof |
| Date | Code | Title | Description |
|---|---|---|---|
| PB01 | Publication | ||
| PB01 | Publication | ||
| SE01 | Entry into force of request for substantive examination | ||
| SE01 | Entry into force of request for substantive examination | ||
| GR01 | Patent grant | ||
| GR01 | Patent grant |