






技术领域technical field
本发明属于组织工程领域,涉及一种胶原基质,特别涉及一种纳米微晶纤维素增强胶原复合基质的制备与应用。The invention belongs to the field of tissue engineering and relates to a collagen matrix, in particular to the preparation and application of a nano-microcrystalline cellulose-reinforced collagen composite matrix.
背景技术Background technique
胶原(collagen)是细胞外基质的主要成分,也是人体中含量最丰富的一种结构蛋白,约占机体总蛋白的25%~35%,主要存在于结缔组织中。因为含有高含量的胶原蛋白,结缔组织具有一定的结构与机械力学性质,如张力强度、拉力、弹力等以达到支撑、保护的功能。Collagen is the main component of the extracellular matrix and the most abundant structural protein in the human body, accounting for about 25% to 35% of the total protein in the body, mainly found in connective tissue. Because of the high content of collagen, connective tissue has certain structural and mechanical properties, such as tensile strength, tension, elasticity, etc., to achieve the functions of support and protection.
胶原具有良好的生物相容性、营养性、修复性、保湿性、配伍性和亲和性,所以被广泛应用于生物医学材料、化妆品、食品及保健品等功能性产品。胶原蛋白具有美容(防皱、保湿、美白、减肥、丰胸)、预防骨质疏松、改善关节健康、改善血液循环、健胃、提高人体免疫力等功效。Collagen has good biocompatibility, nutrition, repair, moisturizing, compatibility and affinity, so it is widely used in functional products such as biomedical materials, cosmetics, food and health products. Collagen has the functions of beauty (anti-wrinkle, moisturizing, whitening, weight loss, breast enhancement), preventing osteoporosis, improving joint health, improving blood circulation, strengthening stomach, and improving human immunity.
皮肤是人体最大的器官,约占人体重量的16%,由表及里可依次分为表皮层、真皮层以及皮下组织三个部分。真皮层是一种致密的结缔组织,厚约0.6~3mm,主要是由胶原、弹性蛋白、以及蛋白多糖等物质构成。真皮层对皮肤的弹性和机械完整性具有重要作用。由于各种各样的损伤造成的皮肤真皮层的缺损,使得组织中的胶原也大量流失,因此以胶原为原料制备各种伤口敷料和组织工程皮肤引起了人们的极大关注。已经商品化的人工皮肤Integra、Apligraft等都含有胶原成分。基础研究表明为创面提供合适的湿润环境有利于伤口的愈合。研究还表明人工皮肤具有类似天然皮肤的机械性能,可以促进伤口的愈合。因此新型基质应该具有和人体皮肤类似的机械性能,同时又可以保持创面的湿润。纯胶原基质具有生物相容性好、易加工、可塑形并能促进细胞吸附、增殖等优点,但也存在力学性能差,含水时难以塑形,无法支撑组织重建等不足。The skin is the largest organ of the human body, accounting for about 16% of the body weight. It can be divided into three parts: the epidermis, the dermis and the subcutaneous tissue. The dermis is a dense connective tissue with a thickness of about 0.6-3 mm, mainly composed of collagen, elastin, and proteoglycan. The dermis plays an important role in the elasticity and mechanical integrity of the skin. Due to the defect of the dermal layer of the skin caused by various injuries, a large amount of collagen in the tissue is also lost. Therefore, the preparation of various wound dressings and tissue engineered skin using collagen as a raw material has attracted great attention. Already commercialized artificial skin Integra, Apligraft, etc. contain collagen components. Basic studies have shown that providing a suitable moist environment for wounds is beneficial to wound healing. Research has also shown that artificial skin has mechanical properties similar to natural skin and can promote wound healing. Therefore, the new matrix should have similar mechanical properties to human skin while keeping the wound moist. Pure collagen matrix has the advantages of good biocompatibility, easy processing, plasticity, and the ability to promote cell adsorption and proliferation, but it also has poor mechanical properties, is difficult to shape when it contains water, and cannot support tissue reconstruction.
基础研究表明胶原基质为创面提供合适的湿润环境有利于伤口的愈合。研究还表明胶原基质具有类似天然皮肤的机械性能,可以促进伤口的愈合。因此新型基质应该具有和人体皮肤类似的机械性能,同时又可以保持创面的湿润。纯胶原基质制备的组织工程皮肤具有生物相容性好、易加工、可塑形并能促进细胞吸附、增殖等优点,但也存在力学性能差,含水时难以塑形,无法支撑组织重建等不足。Basic studies have shown that collagen matrix provides a suitable moist environment for wounds, which is beneficial to wound healing. Studies have also shown that collagen matrices have mechanical properties similar to natural skin and can promote wound healing. Therefore, the new matrix should have similar mechanical properties to human skin while keeping the wound moist. Tissue engineered skin prepared from pure collagen matrix has the advantages of good biocompatibility, easy processing, shapeability, and the ability to promote cell adsorption and proliferation.
日常生活中胶原的老化是皮肤出现皱纹的主要原因,胶原的补充对改善老化皮肤机能方面有着不可替代的作用。目前,补充胶原的方式主要有口服、透皮和注射三种,其中口服主要通过食品途径摄入以保健品为主,在美容上面膜是透皮使用,注射主要用于高端美容。面膜以涂覆和贴敷为主,其中涂覆的胶原持续时间短,贴敷使用的主要有纯胶原膜和复合胶原膜。由于纯胶原膜成本较高,因此寻找性能优异成本低的复合胶原膜显得尤为重要。The aging of collagen in daily life is the main cause of skin wrinkles. The supplement of collagen plays an irreplaceable role in improving the function of aging skin. At present, there are three main methods of collagen supplementation: oral administration, transdermal administration and injection. Among them, oral administration is mainly through food intake and health care products are the main methods. For beauty, facial masks are used transdermally, and injections are mainly used for high-end beauty treatment. Masks are mainly coated and applied, and the coated collagen lasts for a short time, and pure collagen films and composite collagen films are mainly used for application. Due to the high cost of pure collagen membranes, it is particularly important to find composite collagen membranes with excellent performance and low cost.
近年来,用具有再生能力的材料增强复合物的机械强度引起了人们的极大关注,特别是纳米微晶纤维素(cellulose nanocrystals,CNCs),因为具有可再生性、生物降解性和显著的机械性能而成为研究的热点。CNCs一般是由天然纤维素通过化学、生物、物理等方法制备的。CNCs既具有纤维素的基本结构与性能又具有纳米微粒的一些特性,同时又具有很多优异的性能:如生物可降解性、高结晶度、高强度、高亲水性、高模量、超精细结构、无毒性等,在生物医用领域具有广阔的应用前景。In recent years, enhancing the mechanical strength of composites with materials with regenerative capabilities has attracted great attention, especially nanocrystalline cellulose (CNCs) because of their renewability, biodegradability and remarkable mechanical strength. performance has become a research hotspot. CNCs are generally prepared from natural cellulose through chemical, biological, physical and other methods. CNCs not only have the basic structure and properties of cellulose but also have some characteristics of nanoparticles, and at the same time have many excellent properties: such as biodegradability, high crystallinity, high strength, high hydrophilicity, high modulus, ultrafine Structure, non-toxic, etc., has broad application prospects in the field of biomedicine.
发明内容Contents of the invention
本发明的首要目的在于克服现有技术的缺点与不足,提供一种纳米微晶纤维素增强胶原复合基质的制备方法。将胶原与纳米微晶纤维素两种天然有机高分子材料进行复合,不仅能增强材料的强度和生物活性,还可以充分发挥生物纳米效应,有效地弥补纯胶原在应用上的局限性。The primary purpose of the present invention is to overcome the shortcomings and deficiencies of the prior art, and provide a method for preparing a nano-microcrystalline cellulose-reinforced collagen composite matrix. Combining collagen and nano-microcrystalline cellulose, two natural organic polymer materials, can not only enhance the strength and biological activity of the material, but also give full play to the bio-nano effect, effectively making up for the limitations of pure collagen in application.
本发明的另一目的在于提供通过上述制备方法制备得到的纳米微晶纤维素增强胶原复合基质。Another object of the present invention is to provide the nano-microcrystalline cellulose-reinforced collagen composite matrix prepared by the above preparation method.
本发明的再一目的在于提供上述纳米微晶纤维素增强胶原复合基质的应用。Another object of the present invention is to provide the application of the above-mentioned nano-microcrystalline cellulose reinforced collagen composite matrix.
本发明的目的通过下述技术方案实现:一种纳米微晶纤维素增强胶原复合基质的制备方法,包括如下步骤:The object of the present invention is achieved through the following technical solutions: a preparation method of nano-microcrystalline cellulose reinforced collagen composite matrix, comprising the steps of:
(1)以纤维素为原料通过硫酸水解法制备纳米微晶纤维素。(1) Using cellulose as raw material to prepare nanocrystalline cellulose by sulfuric acid hydrolysis.
(2)配制质量浓度为1%~10%的纳米微晶纤维素溶液和质量浓度为1%~10%的胶原溶液。(2) Prepare a nanocrystalline cellulose solution with a mass concentration of 1% to 10% and a collagen solution with a mass concentration of 1% to 10%.
(3)将上述纳米微晶纤维素溶液和胶原溶液配制成纳米微晶纤维素与胶原质量比≤1:10的纳米微晶纤维素/胶原混合溶液,将纳米微晶纤维素/胶原混合溶液倒入模具中,成型后即得到纳米微晶纤维素增强胶原复合基质。(3) The above-mentioned nano-microcrystalline cellulose solution and collagen solution are prepared into a nano-microcrystalline cellulose/collagen mixed solution with a mass ratio of nano-microcrystalline cellulose to collagen ≤ 1:10, and the nano-microcrystalline cellulose/collagen mixed solution Pour it into a mold, and get the nano-microcrystalline cellulose-reinforced collagen composite matrix after molding.
步骤(1)中所述的纤维素为植物纤维素或微生物纤维素。The cellulose described in step (1) is plant cellulose or microbial cellulose.
步骤(1)中所述的硫酸水解法的条件优选为:将5~15g纤维素加入到90~150mL浓硫酸中进行反应,然后加入去离子水终止反应,冷却后超声分散,再透析至pH稳定(pH7.0左右),干燥后即得到纳米微晶纤维素。所述的硫酸优选为质量浓度为35%~64%的硫酸;所述的反应优选为45~50℃恒温水浴下机械搅拌反应4~6h;所述的去离子水的量优选为800~1000mL;所述的超声分散的条件优选为25~35kHz超声分散30min;所述的透析优选为使用去离子水透析;所述的干燥优选为冷冻干燥,其条件优选为:在-10~-20℃下冷冻过夜,然后放入冻干机中冻干12~24小时。The conditions of the sulfuric acid hydrolysis method described in step (1) are preferably as follows: add 5-15g of cellulose to 90-150mL of concentrated sulfuric acid for reaction, then add deionized water to terminate the reaction, ultrasonically disperse after cooling, and then dialyze to pH It is stable (pH about 7.0), and nanocrystalline cellulose can be obtained after drying. The sulfuric acid is preferably sulfuric acid with a mass concentration of 35% to 64%; the reaction is preferably a mechanical stirring reaction in a constant temperature water bath at 45 to 50°C for 4 to 6 hours; the amount of deionized water is preferably 800 to 1000mL The condition of the ultrasonic dispersion is preferably 25 ~ 35kHz ultrasonic dispersion for 30min; the dialysis is preferably deionized water dialysis; the drying is preferably freeze drying, and the conditions are preferably: at -10 ~ -20 ° C Freeze overnight, and then freeze-dry in a freeze dryer for 12-24 hours.
步骤(2)中所述的纳米微晶纤维素溶液和胶原溶液均优选使用乙酸溶液为溶剂进行配制;所述的乙酸溶液的质量浓度优选为0.3%~1%。Both the nanocrystalline cellulose solution and the collagen solution described in step (2) are preferably prepared using acetic acid solution as a solvent; the mass concentration of the acetic acid solution is preferably 0.3%-1%.
步骤(2)中所述的纳米微晶纤维素溶液的质量浓度优选为1%~3%。The mass concentration of the nanocrystalline cellulose solution described in step (2) is preferably 1%-3%.
步骤(2)中所述的胶原溶液的质量浓度优选为1%~3%。The mass concentration of the collagen solution described in step (2) is preferably 1%-3%.
步骤(3)中所述的混匀优选为通过机械搅拌1~3h混匀。The mixing described in step (3) is preferably performed by mechanical stirring for 1-3 hours.
步骤(3)中所述的模具的材质优选为玻璃、不锈钢、耐溶剂塑料或聚四氟乙烯。The material of the mold described in step (3) is preferably glass, stainless steel, solvent-resistant plastic or polytetrafluoroethylene.
步骤(3)中所述的成型的方法优选为溶剂蒸发法或冷冻干燥法;所述的溶剂蒸发法优选为使用30~40℃的烘箱进行蒸发,所述的冷冻干燥法的条件优选为在-10~-20℃下冷冻过夜,然后放入冻干机中冻干12~24小时。The molding method described in step (3) is preferably a solvent evaporation method or a freeze-drying method; the solvent evaporation method is preferably evaporated using an oven at 30-40°C, and the conditions of the freeze-drying method are preferably at Freeze at -10~-20°C overnight, and then freeze-dry in a freeze dryer for 12-24 hours.
一种纳米微晶纤维素增强胶原复合基质通过上述制备方法制备得到。A nano-microcrystalline cellulose-reinforced collagen composite matrix is prepared through the above-mentioned preparation method.
上述纳米微晶纤维素增强胶原复合基质能够更好地促进伤口的愈合,可应用于伤口敷料、组织诱导再生膜、软组织补片、组织工程皮肤及面膜等领域。The nano-microcrystalline cellulose-reinforced collagen composite matrix can better promote wound healing, and can be applied to fields such as wound dressings, tissue-induced regeneration membranes, soft tissue patches, tissue-engineered skins, and facial masks.
本发明相对于现有技术具有如下的优点及效果:Compared with the prior art, the present invention has the following advantages and effects:
(1)本发明所制备的纳米微晶纤维素增强胶原复合基质,其突出特点是采用纳米微晶纤维素增强胶原基质,制备复合基质,通过改变纳米微晶纤维素的质量百分比和成型方法,可以得到具有特定机械强度、宏观结构(三维支架、膜)和微结构(孔径、孔隙率等)的复合基质;(1) The nano-microcrystalline cellulose-reinforced collagen composite matrix prepared by the present invention is characterized in that it uses nano-microcrystalline cellulose to strengthen the collagen matrix to prepare a composite matrix. By changing the mass percentage and molding method of nano-microcrystalline cellulose, Composite matrices with specific mechanical strength, macrostructure (3D scaffolds, membranes) and microstructure (pore size, porosity, etc.) can be obtained;
(2)溶胀性能测试表明纳米微晶纤维素增强胶原复合基质具有优异的液体吸收能力,吸水率高达500%;机械性能测试表明该复合基质的机械强度与纯胶原支架相比有显著的提高(30%);细胞实验结果表明该复合基质能够有效地促进成纤维细胞的粘附和增殖,具有良好的细胞相容性。(2) The swelling performance test shows that the nano-microcrystalline cellulose reinforced collagen composite matrix has excellent liquid absorption capacity, and the water absorption rate is as high as 500%. The mechanical property test shows that the mechanical strength of the composite matrix is significantly improved compared with the pure collagen scaffold ( 30%); the results of cell experiments showed that the composite matrix can effectively promote the adhesion and proliferation of fibroblasts, and has good cytocompatibility.
(3)本发明制备工艺简单,材料来源广泛,生产效率高,适合于不同需求的纳米微晶纤维素增强胶原复合基质的工业生产。(3) The preparation process of the present invention is simple, the source of materials is wide, and the production efficiency is high, which is suitable for the industrial production of nano-microcrystalline cellulose-reinforced collagen composite matrix with different needs.
附图说明Description of drawings
图1是5wt%CNCs增强胶原复合膜的宏观形貌图。Figure 1 is the macroscopic morphology of 5wt%CNCs reinforced collagen composite film.
图2是5wt%CNCs增强胶原复合膜的扫描电镜图,a为表面的扫描电镜图,b为断面形貌的扫描电镜图。Figure 2 is the scanning electron micrograph of 5wt%CNCs reinforced collagen composite film, a is the scanning electron micrograph of the surface, and b is the scanning electron micrograph of the cross-sectional morphology.
图3是10wt%CNCs增强胶原复合支架的宏观形貌图。Fig. 3 is the macroscopic morphology of 10wt% CNCs reinforced collagen composite scaffold.
图4是10wt%CNCs增强胶原复合支架的扫描电镜图,a为表面的扫描电镜图,b为断面形貌的扫描电镜图。Figure 4 is the scanning electron micrograph of 10wt% CNCs reinforced collagen composite scaffold, a is the scanning electron micrograph of the surface, and b is the scanning electron micrograph of the cross-sectional morphology.
图5是不同百分比CNCs增强胶原复合膜溶胀性能曲线图。Fig. 5 is a graph showing the swelling properties of different percentages of CNCs-enhanced collagen composite membranes.
图6是不同百分比CNCs增强胶原复合膜的应力-应变图。Fig. 6 is the stress-strain diagram of different percentage CNCs reinforced collagen composite membranes.
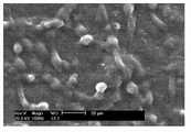
图7是成纤维细胞(3T3)在5wt%CNCs增强胶原复合膜上培养3天的后的SEM图。Figure 7 is the SEM image of fibroblasts (3T3) cultured on 5wt% CNCs reinforced collagen composite membrane for 3 days.
图8是不用材质模具制备的复合膜扫描电镜图。Fig. 8 is a scanning electron micrograph of a composite film prepared without a material mold.
具体实施方式Detailed ways
下面结合实施例及附图对本发明作进一步详细的描述,但本发明的实施方式不限于此。The present invention will be further described in detail below in conjunction with the embodiments and the accompanying drawings, but the embodiments of the present invention are not limited thereto.
实施例1Example 1
将15g棉花纤维素加入到150mL 64%w/w的浓硫酸中,在45℃的恒温水浴中,机械搅拌反应6小时,加入800mL去离子水终止反应,冷却后超声(35kHz)分散30min,去离子水透析3天后,在-20℃下冷冻过夜,然后放入冻干机中冻干12小时即制得纳米微晶纤维素(cellulose nanocrystals,CNCs)。使用质量浓度为0.3%的醋酸溶液为溶剂配制质量浓度均为1%的CNCs溶液和胶原溶液;取0.5g上述CNCs溶液滴入到9.5g上述胶原溶液中,机械搅拌2小时得到CNCs溶液含量为5%w/w的CNCs/胶原混合溶液,然后将混合液倒入聚四氟乙烯模具中,放入35℃的烘箱,溶剂蒸发成型后即制得5wt%CNCs增强胶原复合膜。该CNCs增强胶原复合膜的宏观形貌图如图1所示,其表面及断面形貌的扫描电镜图如图2所示。Add 15g of cotton cellulose to 150mL of 64%w/w concentrated sulfuric acid, in a constant temperature water bath at 45°C, mechanically stir the reaction for 6 hours, add 800mL of deionized water to terminate the reaction, after cooling, ultrasonically (35kHz) disperse for 30min, remove After 3 days of dialysis with ionized water, freeze overnight at -20°C, and then freeze-dry in a freeze dryer for 12 hours to prepare nanocrystalline cellulose (CNCs). Use the 0.3% acetic acid solution as the solvent to prepare the CNCs solution and the collagen solution with a mass concentration of 1%; get 0.5 g of the above CNCs solution and drop it into the 9.5 g of the above collagen solution, and mechanically stir for 2 hours to obtain the CNCs solution with a content of 5% w/w CNCs/collagen mixed solution, then pour the mixed solution into a polytetrafluoroethylene mold, put it in an oven at 35°C, and make a 5wt% CNCs-reinforced collagen composite film after the solvent is evaporated and formed. The macroscopic morphology of the CNCs reinforced collagen composite film is shown in Figure 1, and the scanning electron microscope images of its surface and cross-sectional morphology are shown in Figure 2.
实施例2Example 2
将市售细菌纤维素用清水多次冲洗,除去膜表面培养基及杂质,再将膜浸泡于0.5mol/L的NaOH溶液,90℃煮20min或以上,冷却,放置在去离子水中反复浸泡至中性,冷冻干燥后得到细菌纤维素固体。取5g干燥的细菌纤维素,加入到100mL质量百分比35%的硫酸中,50℃恒温水浴反应4小时,加入800mL去离子水终止反应,冷却后超声(35kHz)分散30min,去离子水透析3天,干燥后即得到纳米微晶纤维素(cellulose nanocrystals,CNCs)。使用质量浓度为1%的醋酸溶液为溶剂配制质量浓度均为3%的CNCs溶液和胶原溶液;取1g上述CNCs溶液滴入到9g上述胶原溶液中,机械搅拌2小时得到CNCs溶液含量为10%w/w的CNCs/胶原混合溶液,然后把混合液加入到不锈钢模具中,-10℃冷冻过夜,然后放入冻干机中冻干36h,得到10wt%CNCs增强胶原复合支架。该CNCs增强胶原复合支架的宏观形貌图如图3所示,其表面及断面形貌的扫描电镜图如图4所示。Rinse the commercially available bacterial cellulose with clean water several times to remove the culture medium and impurities on the surface of the membrane, then soak the membrane in 0.5mol/L NaOH solution, cook at 90°C for 20min or more, cool, place in deionized water and soak repeatedly until Neutral, bacterial cellulose solid was obtained after freeze-drying. Take 5g of dried bacterial cellulose, add it to 100mL of sulfuric acid with a mass percentage of 35%, react in a constant temperature water bath at 50°C for 4 hours, add 800mL of deionized water to terminate the reaction, and after cooling, disperse with ultrasonic (35kHz) for 30min, and dialyze with deionized water for 3 days After drying, the nanocrystalline cellulose (cellulose nanocrystals, CNCs) is obtained. Use acetic acid solution with a mass concentration of 1% as a solvent to prepare CNCs solution and collagen solution with a mass concentration of 3%; take 1g of the above CNCs solution and drop it into 9g of the above collagen solution, and mechanically stir for 2 hours to obtain a CNCs solution with a content of 10%. w/w CNCs/collagen mixed solution, and then the mixed solution was added to a stainless steel mold, frozen overnight at -10°C, and then placed in a freeze dryer for 36 hours to obtain a 10wt% CNCs-reinforced collagen composite scaffold. The macroscopic topography of the CNCs-reinforced collagen composite scaffold is shown in Figure 3, and the scanning electron micrographs of its surface and cross-sectional topography are shown in Figure 4.
实施例3Example 3
采取实施例1中硫酸降解棉花纤维素的方法制得纳米微晶纤维素(cellulosenanocrystals,CNCs)。用质量浓度为0.5%的醋酸溶液为溶剂配制质量浓度均为2%的CNCs溶液和胶原溶液;分别取不同体积的上述CNCs溶液滴入到上述胶原溶液中,机械搅拌2小时得到CNCs溶液含量分别为1wt%、3wt%、5wt%、7wt%和10wt%的CNCs/胶原混合溶液,然后将混合液倒入聚四氟乙烯模具中,放入40℃的烘箱,溶剂蒸发成型后即制得1wt%、3wt%、5wt%、7wt%和10wt%CNCs增强胶原复合膜。采用称重法测定复合膜的溶胀率,结果如图5所示。采用力学强度试验机(Instron5543),每组5个平行样,测定复合膜的应力-应变曲线,结果如图6所示。The method of degrading cotton cellulose with sulfuric acid in Example 1 was used to prepare nanocrystalline cellulose (cellulosenanocrystals, CNCs). Use acetic acid solution with a mass concentration of 0.5% as a solvent to prepare CNCs solution and collagen solution with a mass concentration of 2%; respectively take different volumes of the above CNCs solution and drop them into the above collagen solution, and mechanically stir for 2 hours to obtain the CNCs solution. 1wt%, 3wt%, 5wt%, 7wt% and 10wt% CNCs/collagen mixed solution, then pour the mixed solution into a polytetrafluoroethylene mold, put it in an oven at 40°C, and evaporate the solvent to make 1wt %, 3wt%, 5wt%, 7wt% and 10wt% CNCs reinforced collagen composite membranes. The swelling rate of the composite membrane was measured by weighing method, and the results are shown in Figure 5. The mechanical strength testing machine (Instron5543) was used to measure the stress-strain curve of the composite membrane with 5 parallel samples in each group, and the results are shown in Figure 6.
将上述一系列CNCs增强胶原复合膜采用75%乙醇消毒,放在超净台上晾干,然后放入24孔板中加入1mL培养基过夜,第二天将培养基吸去,每孔加入5×104成纤维细胞(3T3),加入培养基培养1、3、5、7天后考察3T3细胞在不同膜上的粘附和增殖行为,结果表明CNCs增强的胶原复合膜能够有效地促进成纤维细胞的粘附和增殖,具有良好的细胞相容性。图7是3T3成纤维细胞在5wt%CNCs增强胶原复合膜表面培养3天的后的SEM图。Sterilize the above series of CNCs-enhanced collagen composite membranes with 75% ethanol, put them on an ultra-clean table to dry, then put 1 mL of culture medium into a 24-well plate overnight, absorb the culture medium the next day, and add 5 ×104 fibroblasts (3T3), adding culture medium for 1, 3, 5, 7 days to investigate the adhesion and proliferation behavior of 3T3 cells on different membranes, the results show that the collagen composite membrane enhanced by CNCs can effectively promote fibrogenesis Adhesion and proliferation of cells, with good cytocompatibility. Figure 7 is a SEM image of 3T3 fibroblasts cultured on the surface of 5wt% CNCs enhanced collagen composite membrane for 3 days.
实施例4Example 4
采取实施例1中硫酸降解棉花纤维素的方法制得纳米微晶纤维素(cellulosenanocrystals,CNCs)。用质量浓度为0.3%的醋酸溶液为溶剂配制质量浓度均为1%的CNCs溶液和胶原溶液;取0.3mL上述CNCs溶液滴入到9.7mL上述胶原溶液中,机械搅拌2小时,得到CNCs溶液含量为3%的CNCs/胶原混合溶液,然后将混合液倒入不同材质的模具中,放入30℃的烘箱,溶剂蒸发成型后即制得3wt%CNCs增强胶原复合膜。通过电镜观察(图8表示不同材质模具制备的复合膜扫描电镜图,a聚四氟乙烯模具、b玻璃模具、c不锈钢模具),可以看到与玻璃模具和聚四氟乙烯模具相比,不锈钢模具制备的胶原复合膜孔较大;用聚四氟乙烯模具制得的复合膜表面较为平整光滑。The method of degrading cotton cellulose with sulfuric acid in Example 1 was used to prepare nanocrystalline cellulose (cellulosenanocrystals, CNCs). Use acetic acid solution with a mass concentration of 0.3% as a solvent to prepare CNCs solution and collagen solution with a mass concentration of 1%; take 0.3mL of the above CNCs solution and drop it into 9.7mL of the above collagen solution, and mechanically stir for 2 hours to obtain the content of the CNCs solution. It is a 3% CNCs/collagen mixed solution, and then the mixed solution is poured into molds of different materials, put into an oven at 30°C, and the 3wt% CNCs-reinforced collagen composite film is obtained after the solvent is evaporated and formed. Observation by electron microscope (Figure 8 shows the scanning electron micrographs of composite films prepared by molds of different materials, a polytetrafluoroethylene mold, b glass mold, c stainless steel mold), it can be seen that compared with glass molds and polytetrafluoroethylene molds, stainless steel The collagen composite membrane prepared by the mold has larger pores; the surface of the composite membrane prepared by the polytetrafluoroethylene mold is relatively flat and smooth.
实施例5Example 5
将市售细菌纤维素用清水多次冲洗,除去膜表面培养基及杂质,再将膜浸泡于0.5mol/L的NaOH溶液,90℃煮20min或以上,冷却,放置在去离子水中反复浸泡至中性,冷冻干燥后得到细菌纤维素固体。取5g干燥的细菌纤维素,加入到100mL质量百分比35%的硫酸中,50℃恒温水浴反应4小时,加入800mL去离子水终止反应,冷却后超声(35kHz)分散30min,去离子水透析3天,干燥后即得到纳米微晶纤维素(cellulose nanocrystals,CNCs)。使用质量浓度为1%的醋酸溶液为溶剂配制质量浓度均为3%的CNCs溶液和胶原溶液;取0.5g上述CNCs溶液滴入到9.5g上述胶原溶液中,机械搅拌2小时得到CNCs溶液含量为5wt%的CNCs/胶原混合溶液,然后把混合液加入到不锈钢模具中,-20℃冷冻过夜,然后放入冻干机中冻干36h,得到5wt%CNCs增强胶原复合支架。将上述复合支架采用75%乙醇消毒,放在超净台上晾干,备用。将该复合支架植入大鼠背部创面模型,体内实验结果显示复合支架可以促进创面愈合。Rinse the commercially available bacterial cellulose with clean water several times to remove the culture medium and impurities on the surface of the membrane, then soak the membrane in 0.5mol/L NaOH solution, cook at 90°C for 20min or more, cool, place in deionized water and soak repeatedly until Neutral, bacterial cellulose solid was obtained after freeze-drying. Take 5g of dried bacterial cellulose, add it to 100mL of sulfuric acid with a mass percentage of 35%, react in a constant temperature water bath at 50°C for 4 hours, add 800mL of deionized water to terminate the reaction, and after cooling, disperse with ultrasonic (35kHz) for 30min, and dialyze with deionized water for 3 days After drying, the nanocrystalline cellulose (cellulose nanocrystals, CNCs) is obtained. Use the 1% acetic acid solution as the solvent to prepare the CNCs solution and the collagen solution with a mass concentration of 3%; get 0.5 g of the above CNCs solution and drop it into the 9.5 g of the above collagen solution, and mechanically stir for 2 hours to obtain the CNCs solution with a content of 5wt% CNCs/collagen mixed solution, and then the mixed solution was added to a stainless steel mold, frozen overnight at -20°C, and then placed in a lyophilizer for 36 hours to obtain a 5wt% CNCs-reinforced collagen composite scaffold. The above-mentioned composite brackets were sterilized with 75% ethanol, placed on an ultra-clean table to dry, and set aside. The composite scaffold was implanted into the back wound model of rats, and the in vivo experimental results showed that the composite scaffold could promote wound healing.
上述实施例为本发明较佳的实施方式,但本发明的实施方式并不受上述实施例的限制,其他的任何未背离本发明的精神实质与原理下所作的改变、修饰、替代、组合、简化,均应为等效的置换方式,都包含在本发明的保护范围之内。The above-mentioned embodiment is a preferred embodiment of the present invention, but the embodiment of the present invention is not limited by the above-mentioned embodiment, and any other changes, modifications, substitutions, combinations, Simplifications should be equivalent replacement methods, and all are included in the protection scope of the present invention.
| Application Number | Priority Date | Filing Date | Title | 
|---|---|---|---|
| CN201210356539.1ACN102886063B (en) | 2012-09-21 | 2012-09-21 | Preparation and application of cellulose nanocrystals (CNCs)-reinforced collagen compound substrate | 
| Application Number | Priority Date | Filing Date | Title | 
|---|---|---|---|
| CN201210356539.1ACN102886063B (en) | 2012-09-21 | 2012-09-21 | Preparation and application of cellulose nanocrystals (CNCs)-reinforced collagen compound substrate | 
| Publication Number | Publication Date | 
|---|---|
| CN102886063Atrue CN102886063A (en) | 2013-01-23 | 
| CN102886063B CN102886063B (en) | 2015-04-22 | 
| Application Number | Title | Priority Date | Filing Date | 
|---|---|---|---|
| CN201210356539.1AExpired - Fee RelatedCN102886063B (en) | 2012-09-21 | 2012-09-21 | Preparation and application of cellulose nanocrystals (CNCs)-reinforced collagen compound substrate | 
| Country | Link | 
|---|---|
| CN (1) | CN102886063B (en) | 
| Publication number | Priority date | Publication date | Assignee | Title | 
|---|---|---|---|---|
| CN103285427A (en)* | 2013-04-26 | 2013-09-11 | 中国国旅贸易有限责任公司 | Artificial bone material and preparation method thereof | 
| CN103756990A (en)* | 2014-01-08 | 2014-04-30 | 华南理工大学 | Papain preparation and immobilization method thereof | 
| CN104726517A (en)* | 2015-03-25 | 2015-06-24 | 东华大学 | Method for preparing cellulose nanocrystallines by using bacterial nano cellulose as raw material | 
| CN105521525A (en)* | 2015-12-16 | 2016-04-27 | 广州创赛生物医用材料有限公司 | Porous composite scaffold for bone tissue engineering and preparation method therefor | 
| CN107349466A (en)* | 2017-06-29 | 2017-11-17 | 武汉枫霖科技有限公司 | The preparation method of three-dimensional cell support based on collagen sponge nano-cellulose | 
| CN107412862A (en)* | 2017-07-24 | 2017-12-01 | 武汉理工大学 | A kind of porous artificial neuron support and preparation method thereof | 
| CN107673730A (en)* | 2017-11-07 | 2018-02-09 | 长春工业大学 | The preparation method of cellulose toughness reinforcing aerosil | 
| CN107987233A (en)* | 2017-11-21 | 2018-05-04 | 安徽北马科技有限公司 | A kind of preparation method of styrene-grafted modified collagen albumen-sulfonated cellulose composite material | 
| CN108030954A (en)* | 2017-12-13 | 2018-05-15 | 义乌市中科院兰州化物所功能材料中心 | One kind includes nanometer polysaccharide medical wound dressing | 
| CN108047811A (en)* | 2017-12-27 | 2018-05-18 | 成都新柯力化工科技有限公司 | It is a kind of to improve Nano silver grain method dispersed in aqueous, environmental protective ink | 
| CN105622991B (en)* | 2016-03-28 | 2018-08-31 | 台州浩展婴儿用品有限公司 | Nano micro crystal cellulose enhances the preparation method of chitosan/guar gum composite membrane | 
| CN108807794A (en)* | 2018-06-19 | 2018-11-13 | 佛山腾鲤新能源科技有限公司 | A kind of preparation method of high mechanical properties fiber base lithium battery diaphragm material | 
| CN109125807A (en)* | 2018-08-09 | 2019-01-04 | 暨南大学 | A kind of compound rest and its preparation method and application | 
| CN110511409A (en)* | 2019-08-19 | 2019-11-29 | 华南理工大学 | A kind of preparation method of collagen-based cellulose nanocrystal composite membrane | 
| CN110522560A (en)* | 2019-08-16 | 2019-12-03 | 华南理工大学 | A kind of natural antibacterial gauze and its preparation method and application | 
| CN111848996A (en)* | 2020-07-23 | 2020-10-30 | 青岛科技大学 | A nanocellulose film with better photothermal stability | 
| CN113244454A (en)* | 2021-04-23 | 2021-08-13 | 杭州协合医疗用品有限公司 | Collagen-reinforced scaffold based on cellulose nanowhiskers and preparation method thereof | 
| CN115998941A (en)* | 2022-12-09 | 2023-04-25 | 陕西科技大学 | Medical dressing based on CNCs-COL and preparation and application methods thereof | 
| CN116549706A (en)* | 2023-05-10 | 2023-08-08 | 长沙聚源医疗科技有限公司 | PH-sensitive recombinant collagen sponge dressing and preparation method thereof | 
| CN116640356A (en)* | 2023-06-05 | 2023-08-25 | 上海瑞邦生物材料有限公司 | Preparation method of enhanced bovine collagen sponge | 
| CN117024609A (en)* | 2023-09-07 | 2023-11-10 | 湖州展望药业有限公司 | Crosslinked esterified modified microcrystalline cellulose and preparation method thereof | 
| CN119236185A (en)* | 2024-12-05 | 2025-01-03 | 天津赛路思生物科技有限公司 | Nano bacterial cellulose and collagen composite material and preparation method and application thereof | 
| Publication number | Priority date | Publication date | Assignee | Title | 
|---|---|---|---|---|
| US6015844A (en)* | 1993-03-22 | 2000-01-18 | Johnson & Johnson Medical, Inc. | Composite surgical material | 
| CN102190894A (en)* | 2011-03-25 | 2011-09-21 | 郑州大学 | Method for preparing collagen-based composite material | 
| CN102344685A (en)* | 2010-08-05 | 2012-02-08 | 中国科学院化学研究所 | Method for preparing nano cellulose microfibril reinforced polymer composite material | 
| Publication number | Priority date | Publication date | Assignee | Title | 
|---|---|---|---|---|
| US6015844A (en)* | 1993-03-22 | 2000-01-18 | Johnson & Johnson Medical, Inc. | Composite surgical material | 
| CN102344685A (en)* | 2010-08-05 | 2012-02-08 | 中国科学院化学研究所 | Method for preparing nano cellulose microfibril reinforced polymer composite material | 
| CN102190894A (en)* | 2011-03-25 | 2011-09-21 | 郑州大学 | Method for preparing collagen-based composite material | 
| Title | 
|---|
| 《CELLULOSE》 19980331 XM Dong etal. "Effect of microcrystallite preparation conditions on the formation of colloid crystals of cellulose" 第19-32页 1-9 第5卷, 第1期* | 
| 《Journal of the mechanical behavior of biomedical materials》 20110922 Parisa Pooyana etal. "Mechanical behavior of a cellulose-reinforced scaffold in vascular tissue engineering" 第50-59页 1-8 第7卷,* | 
| 《材料研究与应用》 20081231 石光等 "壳聚糖/纳米微晶纤维素复合膜的制备及性能研究" 第405-408页 1-8 第2卷, 第4期* | 
| PARISA POOYANA ETAL.: ""Mechanical behavior of a cellulose-reinforced scaffold in vascular tissue engineering"", 《JOURNAL OF THE MECHANICAL BEHAVIOR OF BIOMEDICAL MATERIALS》* | 
| XM DONG ETAL.: ""Effect of microcrystallite preparation conditions on the formation of colloid crystals of cellulose"", 《CELLULOSE》* | 
| 石光等: ""壳聚糖/纳米微晶纤维素复合膜的制备及性能研究"", 《材料研究与应用》* | 
| Publication number | Priority date | Publication date | Assignee | Title | 
|---|---|---|---|---|
| CN103285427A (en)* | 2013-04-26 | 2013-09-11 | 中国国旅贸易有限责任公司 | Artificial bone material and preparation method thereof | 
| CN103756990A (en)* | 2014-01-08 | 2014-04-30 | 华南理工大学 | Papain preparation and immobilization method thereof | 
| CN104726517A (en)* | 2015-03-25 | 2015-06-24 | 东华大学 | Method for preparing cellulose nanocrystallines by using bacterial nano cellulose as raw material | 
| CN104726517B (en)* | 2015-03-25 | 2018-12-04 | 东华大学 | A method of Cellulose nanocrystal is prepared by raw material of Nano bacteria cellulose | 
| CN105521525A (en)* | 2015-12-16 | 2016-04-27 | 广州创赛生物医用材料有限公司 | Porous composite scaffold for bone tissue engineering and preparation method therefor | 
| CN105622991B (en)* | 2016-03-28 | 2018-08-31 | 台州浩展婴儿用品有限公司 | Nano micro crystal cellulose enhances the preparation method of chitosan/guar gum composite membrane | 
| CN107349466A (en)* | 2017-06-29 | 2017-11-17 | 武汉枫霖科技有限公司 | The preparation method of three-dimensional cell support based on collagen sponge nano-cellulose | 
| CN107412862A (en)* | 2017-07-24 | 2017-12-01 | 武汉理工大学 | A kind of porous artificial neuron support and preparation method thereof | 
| CN107412862B (en)* | 2017-07-24 | 2020-02-18 | 武汉理工大学 | A kind of porous artificial nerve scaffold and preparation method thereof | 
| CN107673730A (en)* | 2017-11-07 | 2018-02-09 | 长春工业大学 | The preparation method of cellulose toughness reinforcing aerosil | 
| CN107673730B (en)* | 2017-11-07 | 2020-08-28 | 长春工业大学 | Preparation method of cellulose toughened silica aerogel | 
| CN107987233A (en)* | 2017-11-21 | 2018-05-04 | 安徽北马科技有限公司 | A kind of preparation method of styrene-grafted modified collagen albumen-sulfonated cellulose composite material | 
| CN108030954A (en)* | 2017-12-13 | 2018-05-15 | 义乌市中科院兰州化物所功能材料中心 | One kind includes nanometer polysaccharide medical wound dressing | 
| CN108047811A (en)* | 2017-12-27 | 2018-05-18 | 成都新柯力化工科技有限公司 | It is a kind of to improve Nano silver grain method dispersed in aqueous, environmental protective ink | 
| CN108807794A (en)* | 2018-06-19 | 2018-11-13 | 佛山腾鲤新能源科技有限公司 | A kind of preparation method of high mechanical properties fiber base lithium battery diaphragm material | 
| CN109125807A (en)* | 2018-08-09 | 2019-01-04 | 暨南大学 | A kind of compound rest and its preparation method and application | 
| CN110522560A (en)* | 2019-08-16 | 2019-12-03 | 华南理工大学 | A kind of natural antibacterial gauze and its preparation method and application | 
| CN110511409A (en)* | 2019-08-19 | 2019-11-29 | 华南理工大学 | A kind of preparation method of collagen-based cellulose nanocrystal composite membrane | 
| CN111848996A (en)* | 2020-07-23 | 2020-10-30 | 青岛科技大学 | A nanocellulose film with better photothermal stability | 
| CN113244454A (en)* | 2021-04-23 | 2021-08-13 | 杭州协合医疗用品有限公司 | Collagen-reinforced scaffold based on cellulose nanowhiskers and preparation method thereof | 
| CN115998941A (en)* | 2022-12-09 | 2023-04-25 | 陕西科技大学 | Medical dressing based on CNCs-COL and preparation and application methods thereof | 
| CN116549706A (en)* | 2023-05-10 | 2023-08-08 | 长沙聚源医疗科技有限公司 | PH-sensitive recombinant collagen sponge dressing and preparation method thereof | 
| CN116640356A (en)* | 2023-06-05 | 2023-08-25 | 上海瑞邦生物材料有限公司 | Preparation method of enhanced bovine collagen sponge | 
| CN117024609A (en)* | 2023-09-07 | 2023-11-10 | 湖州展望药业有限公司 | Crosslinked esterified modified microcrystalline cellulose and preparation method thereof | 
| CN119236185A (en)* | 2024-12-05 | 2025-01-03 | 天津赛路思生物科技有限公司 | Nano bacterial cellulose and collagen composite material and preparation method and application thereof | 
| Publication number | Publication date | 
|---|---|
| CN102886063B (en) | 2015-04-22 | 
| Publication | Publication Date | Title | 
|---|---|---|
| CN102886063B (en) | Preparation and application of cellulose nanocrystals (CNCs)-reinforced collagen compound substrate | |
| Zhang et al. | Layered nanofiber sponge with an improved capacity for promoting blood coagulation and wound healing | |
| Wang et al. | Asymmetric composite wound dressing with hydrophobic flexible bandage and tissue-adhesive hydrogel for joints skin wound healing | |
| CN103341209B (en) | Silk fibroin nanofiber membrane and preparation method thereof | |
| CN113769156B (en) | Hybrid fiber sponge with functions of hemostasis and wound repair and preparation method thereof | |
| CN114276567B (en) | Bionic hydrogel scaffold for tissue engineering skin construction and preparation method thereof | |
| CN111303449B (en) | Degradable electroactive bacterial cellulose/MXene composite hydrogel and its preparation and application | |
| CN104013995B (en) | Oxidation chitosan graft modification pig dermis collagen micro-nano fiber film and preparation method thereof | |
| CN108404209B (en) | Collagen-fibroin co-assembled sponge material, co-assembled artificial skin and preparation method thereof | |
| Zhang et al. | Water-retaining and separable adhesive hydrogel dressing for wound healing without secondary damage | |
| CN111825859A (en) | A kind of bionic electronic skin medical stent material with self-healing function and preparation method thereof | |
| Cai et al. | Multifunctional fish-skin collagen-based hydrogel sealant with dual-dynamic-bond cross-linked for rapid hemostasis and accelerated wound healing | |
| Dong et al. | Electrospun nanofibrous membranes of recombinant human collagen type III promote cutaneous wound healing | |
| CN106860916B (en) | A kind of GO/nHA/collagen composite bone repair material and preparation method thereof | |
| CN105435300A (en) | Nano-silk-fibroin-containing antibacterial medical dressing | |
| CN102526808B (en) | Artificial skin and preparation method thereof | |
| CN110585474A (en) | Preparation method of marine organism polysaccharide-based composite sponge, composite sponge and application | |
| CN102294048A (en) | Preparation method for polyurethane and sericin medical composite membrane with properties of water absorption and moisture permeation | |
| CN107556377A (en) | Recombination human source collagen and its medical nano tunica fibrosa | |
| CN111793899A (en) | Biomimetic nanofiber material and its preparation method and application | |
| CN115177778A (en) | Composite wound dressing, preparation method and application | |
| CN102552985A (en) | Silk fibroin/calcium phosphate bone cement-based porous composite material and preparation method thereof | |
| CN101264337B (en) | Preparation of collagen base biological medical material | |
| CN105457107B (en) | A kind of bifunctional layer oral restoration film and preparation method thereof | |
| CN103212108A (en) | Collagen wound healing film and preparation method thereof | 
| Date | Code | Title | Description | 
|---|---|---|---|
| C06 | Publication | ||
| PB01 | Publication | ||
| C10 | Entry into substantive examination | ||
| SE01 | Entry into force of request for substantive examination | ||
| C14 | Grant of patent or utility model | ||
| GR01 | Patent grant | ||
| CF01 | Termination of patent right due to non-payment of annual fee | Granted publication date:20150422 | |
| CF01 | Termination of patent right due to non-payment of annual fee |